en Prihlásenie | Registrácia | Zoznam prispievateľov

« Späť na výpis

Nosánik dubový

Attelabus nitens

Popis druhu

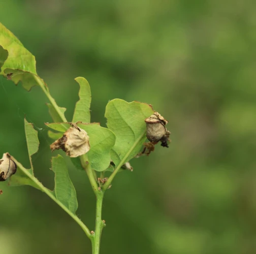
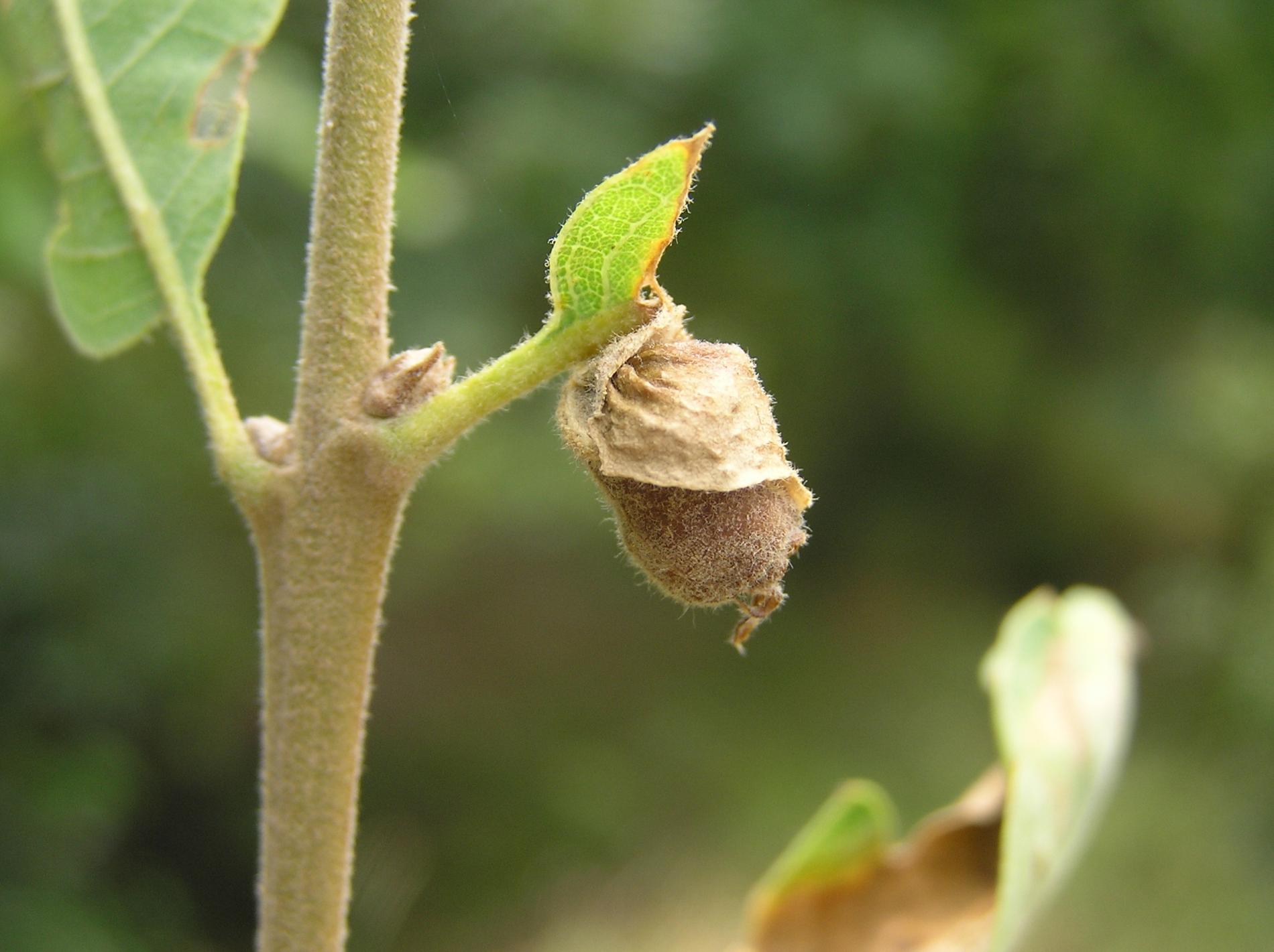
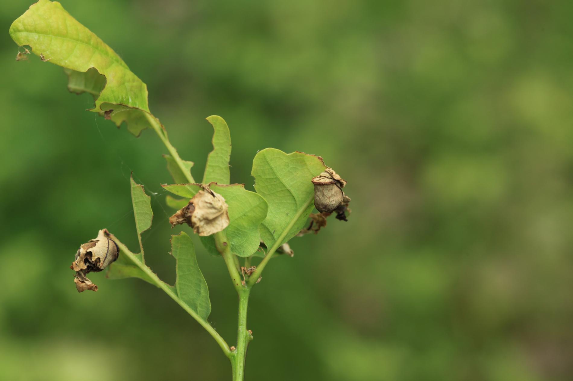
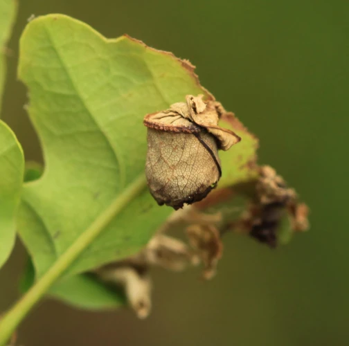
Červený akoby nalakovaný chrobák s čiernou hlavou (4,0 – 6,5 mm). Na listoch vytvára ťažko zameniteľné súdkovité zámotky, do ktorých kladie 1 – 3 vajíčka. Larva sa vyvíja vo vnútri tohto útvaru. Na jeseň zámotky spadnú na zem, larva v nich prezimuje a na jar sa kuklí. Hojný najmä na duboch. Poškodenie nebýva intenzívne.

Symptóm

Koncová časť listu zvinutá do asi 1 cm veľkého súdka. 

Ohrozené dreviny: Dub, Gaštan, Hrab, Jelša, Lieska

Miesto poškodenia: List/ihlica

Významnosť: Málo významný

Kategória škodcov: Hmyz

Zistený na Slovensku: Áno

Invázny druh: Nie

Zistený v EÚ: Áno


Pridaj komentár: Nosánik dubový


Mapa výskytu: Nosánik dubový

náhľad mapy pre tlač

Legenda:

1

Body verifikované expertom

3

Neverifikované body

Pozorovaný užívateľmi na týchto drevinách

 

Najviac pozorovaní druhu


Posledné pozorovania

V systéme je celkom 1 pozorovaní druhu Attelabus nitens

milan

Attelabus nitens Nosánik dubový
milan
Počet hlasov: 0
Uverejnené: 22.5.2025
Drevina: Dub


Podobné poškodenie

Obaľovač Archips xylosteana

Obaľovač Archips xylosteana

Nosánik viničový

Nosánik viničový

Nosánik brezový

Nosánik brezový

Nosánik topoľový

Nosánik topoľový

Návrat hore