en Prihlásenie | Registrácia | Zoznam prispievateľov

« Späť na výpis

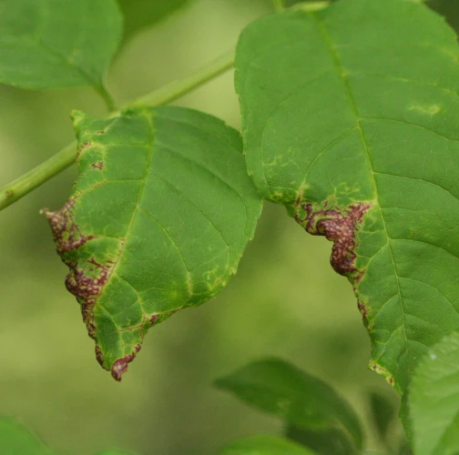
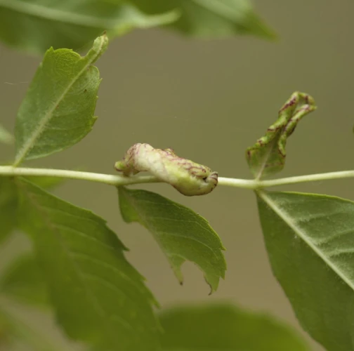
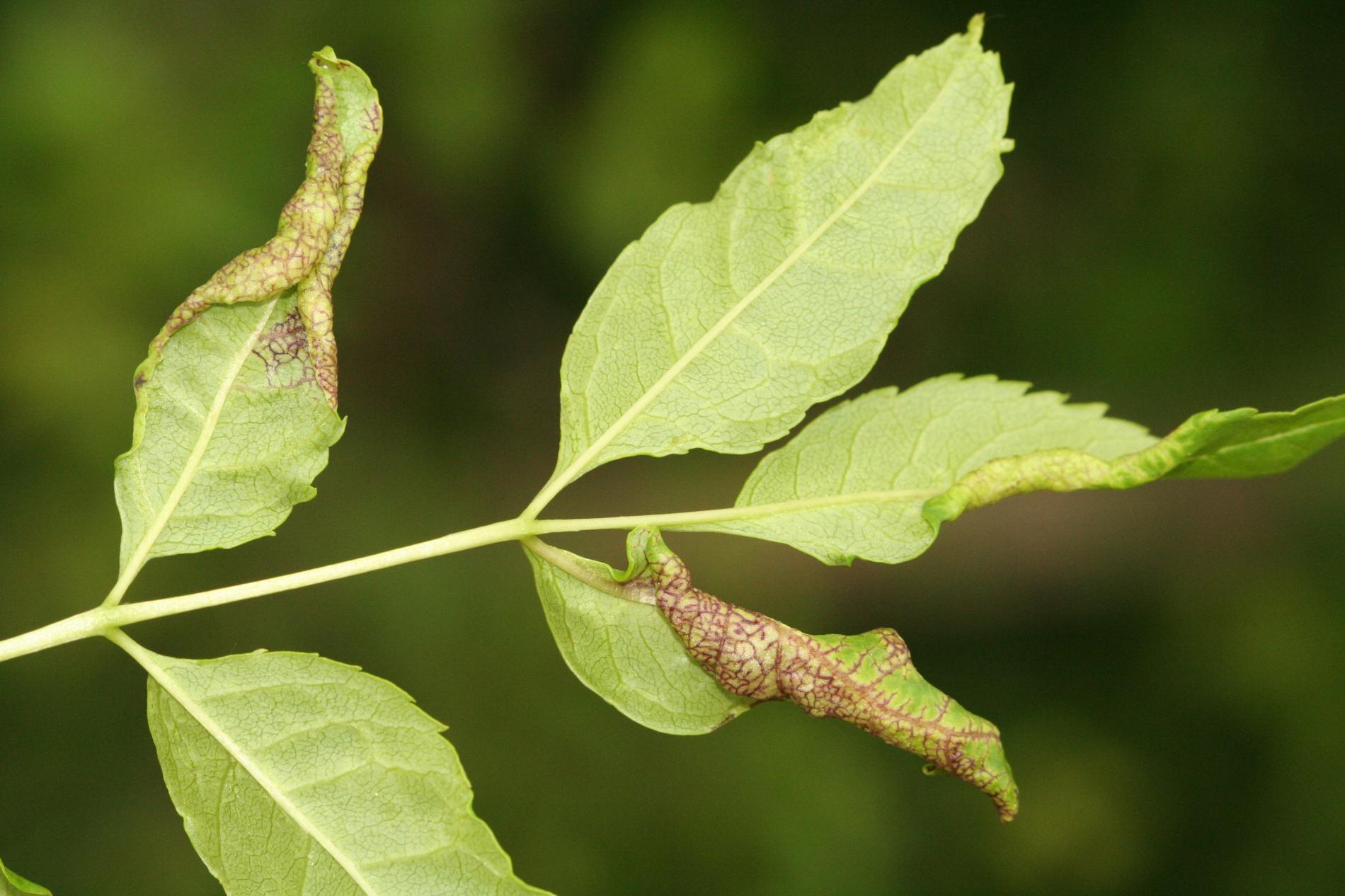
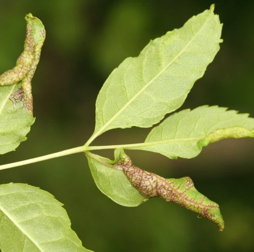
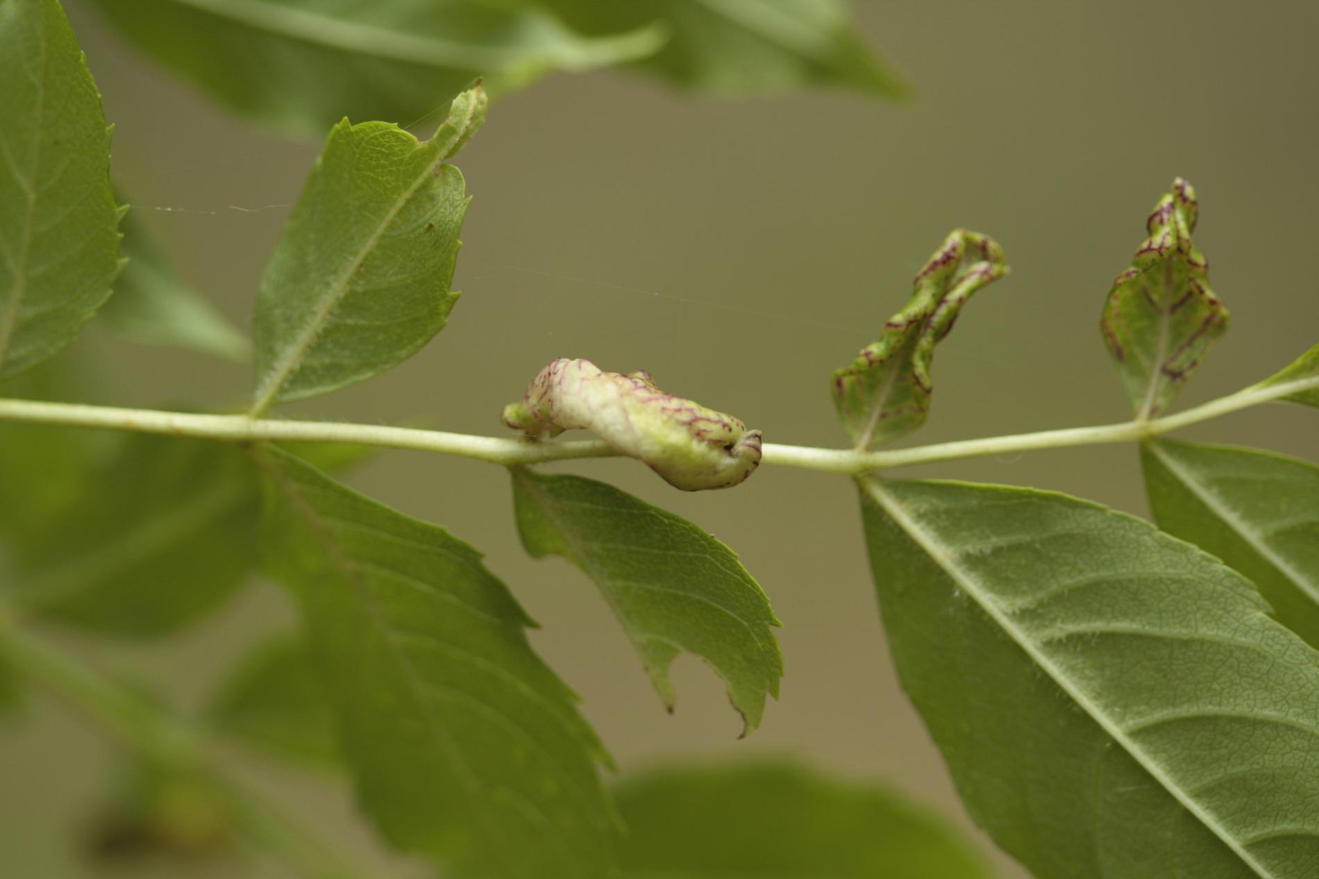
Méra jaseňová

Psyllopsis fraxini

Popis druhu

Okraje listov sú nádorovito, špirálovito stočené, zdurené, mäsovo červeno sfarbené. Poškodenie spôsobuje méra jaseňová. Jedná sa o drobný hmyz veľkosti niekoľkých milimetrov s dvoma pármi blanitých krídel.

Symptóm

Deformácie na okrajoch listov mäsovej farby.

Ohrozené dreviny: Jaseň

Miesto poškodenia: List/ihlica

Významnosť: Málo významný

Kategória škodcov: Hmyz

Zistený na Slovensku: Áno

Invázny druh: Nie

Zistený v EÚ: Áno


Pridaj komentár: Méra jaseňová


Mapa výskytu: Méra jaseňová

náhľad mapy pre tlač

Legenda:

1

Body verifikované expertom

3

Neverifikované body

Pozorovaný užívateľmi na týchto drevinách

 

Najviac pozorovaní druhu


Posledné pozorovania

V systéme je celkom 2 pozorovaní druhu Psyllopsis fraxini

milan

Psyllopsis fraxini Méra jaseňová
milan
Počet hlasov: 0
Uverejnené: 30.5.2025
Drevina: Jaseň

Milan Zúbrik

Psyllopsis fraxini Méra jaseňová
Milan Zúbrik
Počet hlasov: 0
Uverejnené: 23.5.2025
Drevina: Jaseň


Podobné poškodenie

Obaľovač Archips xylosteana

Obaľovač Archips xylosteana

Nosánik topoľový

Nosánik topoľový

Nosánik dubový

Nosánik dubový

Nosánik brezový

Nosánik brezový

Návrat hore