en Prihlásenie | Registrácia | Zoznam prispievateľov

« Späť na výpis

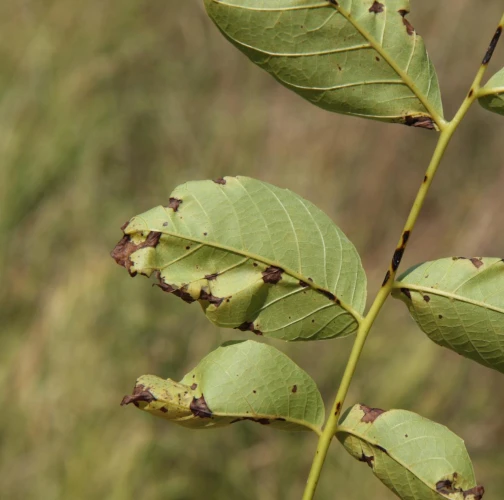
Marsonína orechová

Marssonina juglandis

Popis druhu

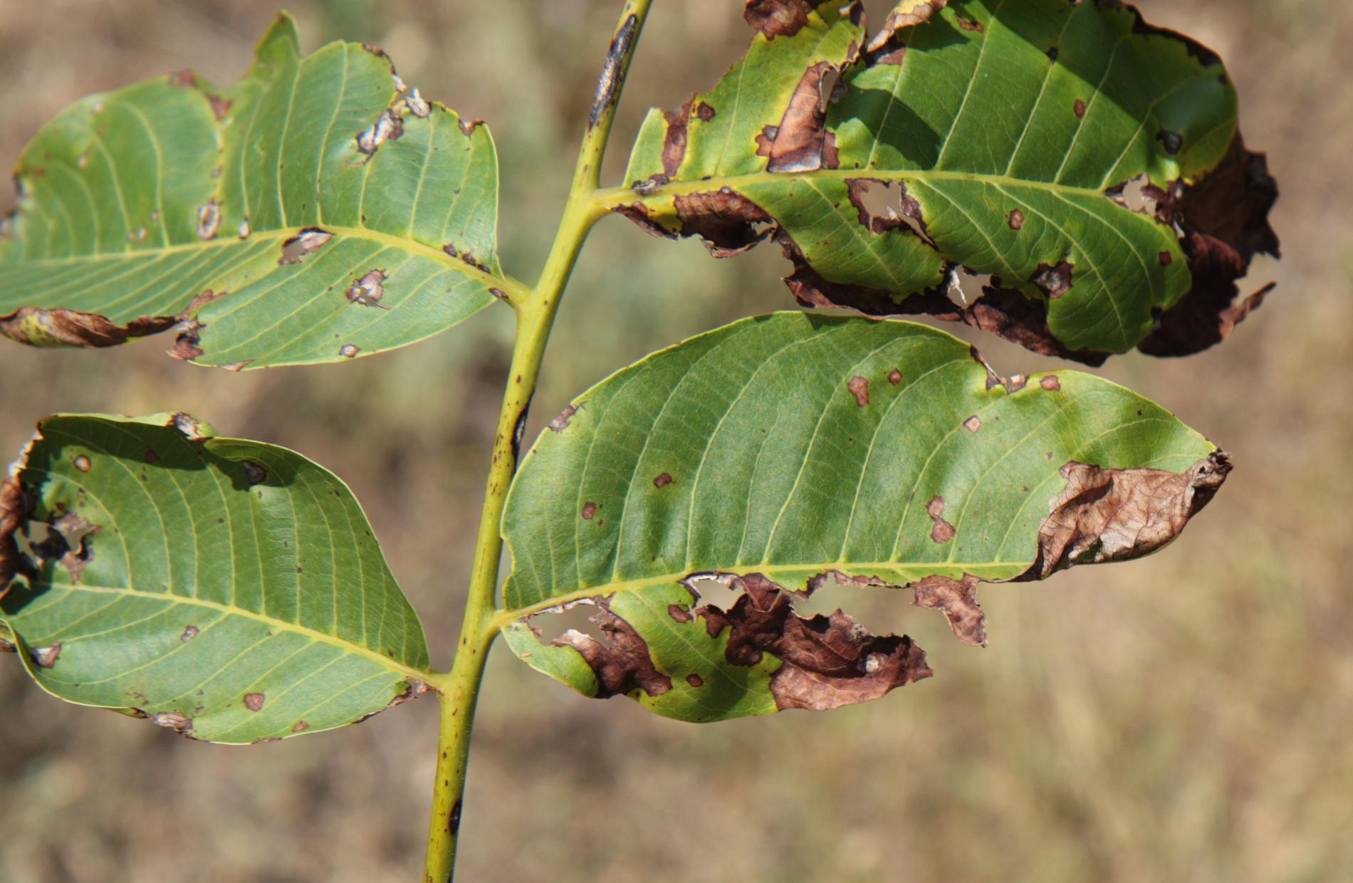
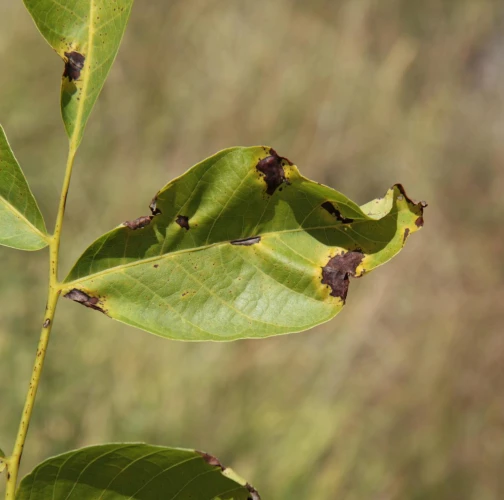
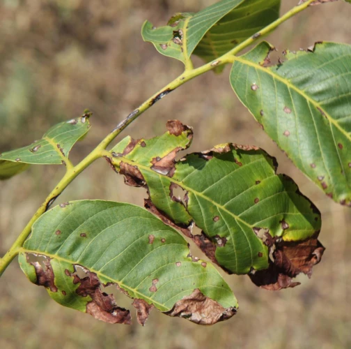
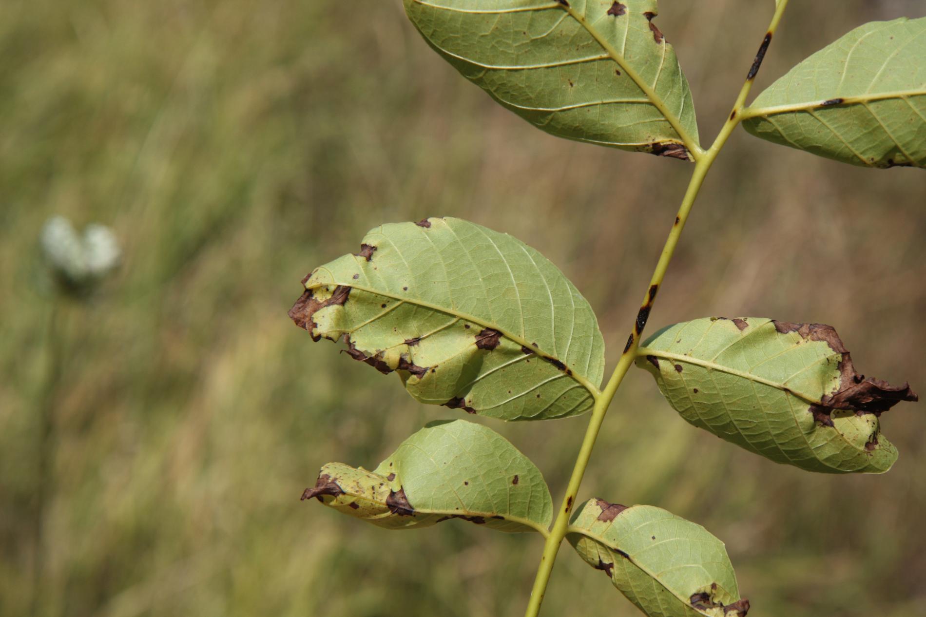
Ide o ochorenie listov (antraknózu), vetvičiek a plodov, ktoré spôsobuje huba Gnomonia leptostyla (Fr.) Ces. Spóry nepohlavného vývojového štádia, Marssonina juglandis (Lib.) Magnus, sa vytvárajú na hnedých škvrnách ešte v tom istom roku, pohlavné štádium sa vyvíja až na jar na opadnutom lístí. Drobné hnedé škvrny na listoch a vetvičkách sa objavujú už od začiatku júna, koncom júla sú už listy značne nekrotizované. Na povrchu oplodia sa vyskytujú čierne postupne vpadnuté škvrny s trhlinami. Huba spôsobuje predčasné opadávanie lístia, znižuje prírastok i plodnosť.

Symptóm

Uschnuté časti listov.

Ohrozené dreviny: Orech

Miesto poškodenia: List/ihlica, Plod/Semeno

Významnosť: Významný

Kategória škodcov: Huby

Zistený na Slovensku: Áno

Invázny druh: Nie

Zistený v EÚ: Áno


Pridaj komentár: Marsonína orechová


Mapa výskytu: Marsonína orechová

náhľad mapy pre tlač

Legenda:

1

Body verifikované expertom

3

Neverifikované body

 

Najviac pozorovaní druhu


Posledné pozorovania

V systéme je celkom 1 pozorovaní druhu Marssonina juglandis


Podobné poškodenie

Marsonína topoľová

Marsonína topoľová

Marsonína vŕbová

Marsonína vŕbová

Marsonína brezová

Marsonína brezová

Antraknóza krivoľaká

Antraknóza krivoľaká

Návrat hore