en Prihlásenie | Registrácia | Zoznam prispievateľov

« Späť na výpis

Listomôľka figovníková

Choreutis nemorana

Popis druhu

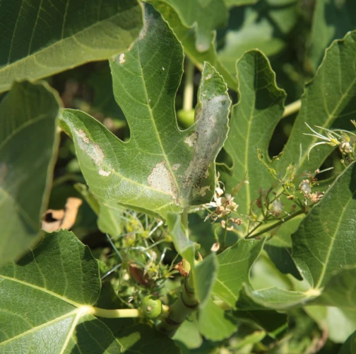
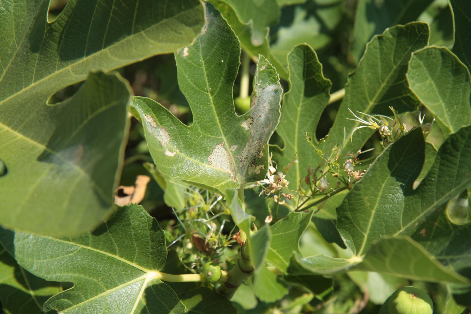
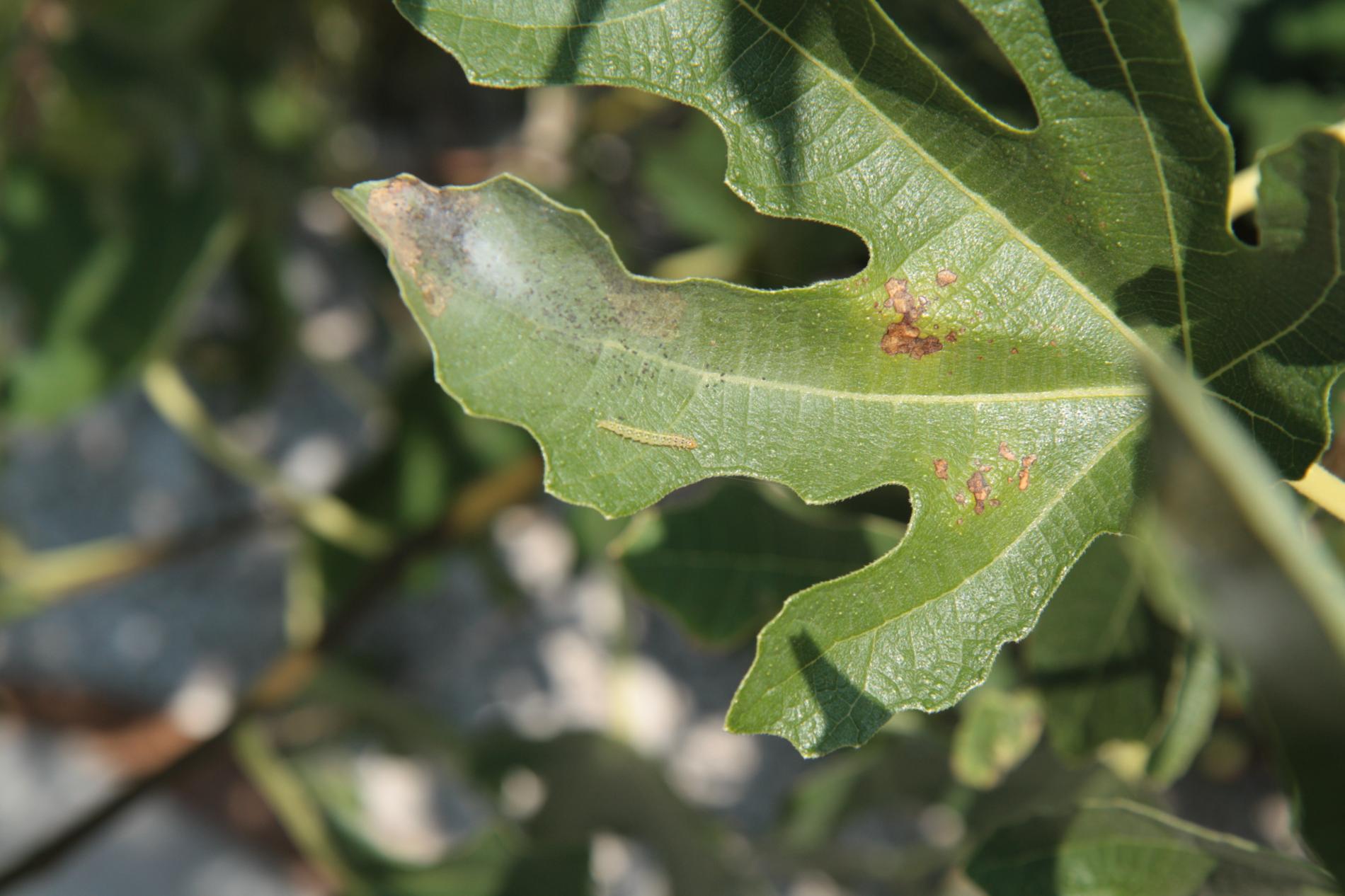
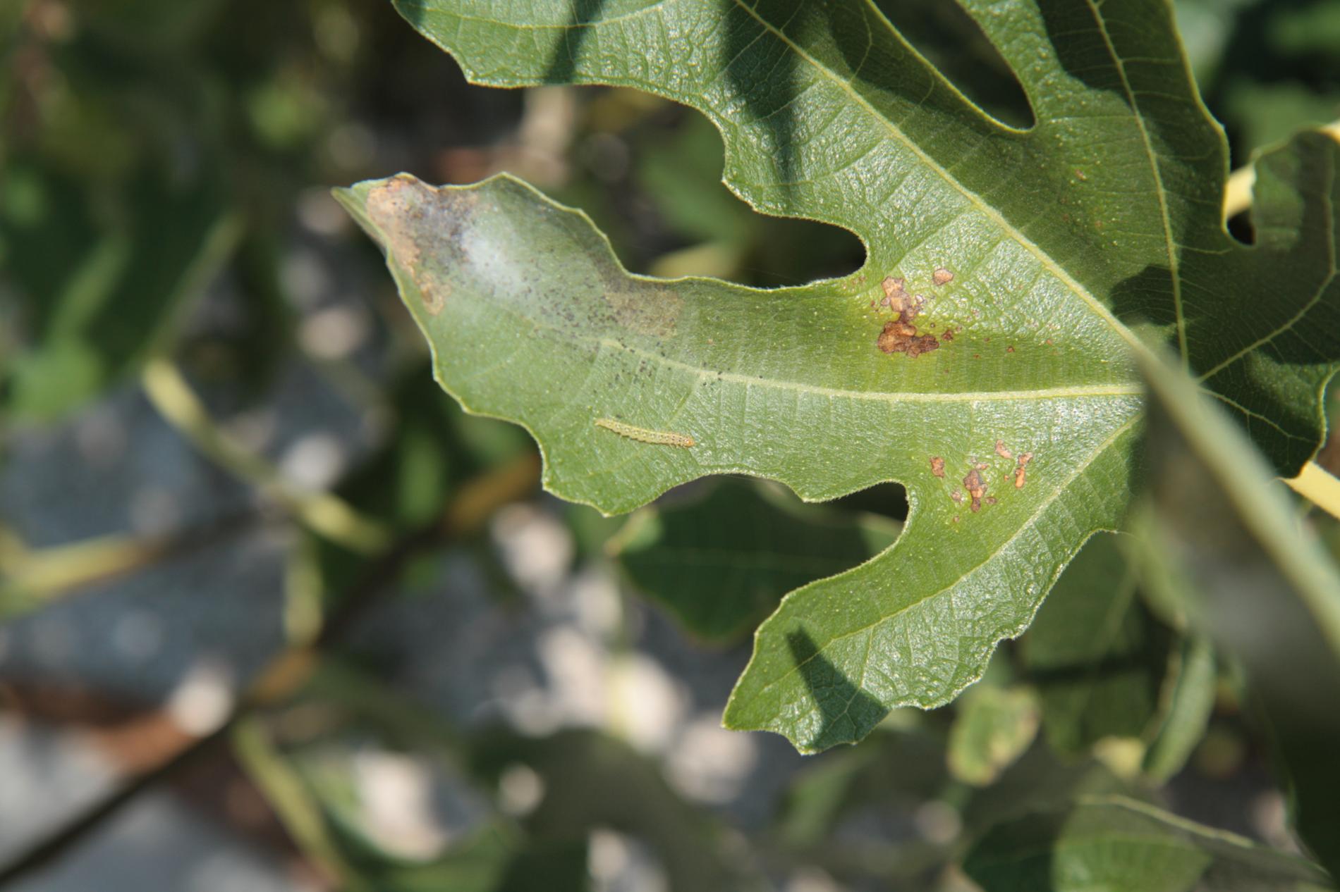
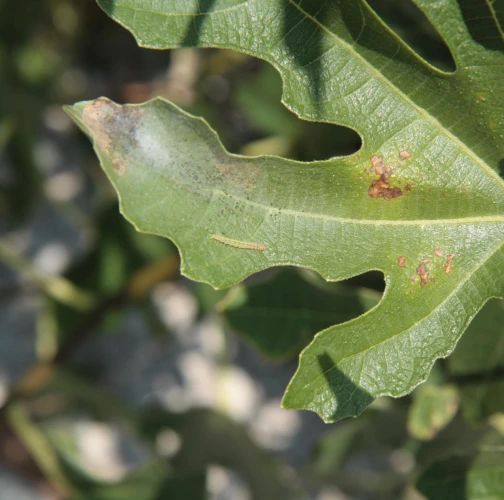
Choreutis nemorana, známa ako listomôlka figovníková, patrí do čeľade Choreutidae. Má rozpätie krídel 16–20 mm s červenkastohnedými prednými krídlami zdobenými bielymi vzormi. Tento druh je monofágny na figovníkoch (Ficus carica), kde húsenice poškodzujú listy. Má dve generácie ročne, pričom dospelé motýle sa objavujú na jar a neskôr v lete. Húsenice si vytvárajú pavučinky na listoch a žijú v nich, následne sa kuklia v zvinutých okrajoch listov.

Je rozšírená v Stredomorí, severnej Afrike a časti Ázie, pričom nedávno expandovala aj do severnejších častí Európy. Poškodenie je zvyčajne mierne, listy sú okienkované a zvinuté, estetická hodnota môže byť znížená.

Symptóm

Na listoch sú viditeľné jemné pavučinky a okienkované miesta. Okraje listov sa stáčajú a slúžia ako úkryt pre húsenice, v ktorých sú biele kukly.

 

Ohrozené dreviny: Figovník

Miesto poškodenia: List/ihlica

Významnosť: Málo významný

Kategória škodcov: Hmyz

Zistený na Slovensku: Áno

Invázny druh: Nie

Zistený v EÚ: Áno


Pridaj komentár: Listomôľka figovníková


Mapa výskytu: Listomôľka figovníková

náhľad mapy pre tlač

Legenda:

1

Body verifikované expertom

3

Neverifikované body

 

Najviac pozorovaní druhu


Posledné pozorovania

V systéme je celkom 1 pozorovaní druhu Choreutis nemorana


Podobné poškodenie

Listovníček citrusový

Listovníček citrusový

Listnatka lipová

Listnatka lipová

Liskavky na malinách

Liskavky na malinách

Listovníček viničový

Listovníček viničový

Návrat hore