en Prihlásenie | Registrácia | Zoznam prispievateľov

« Späť na výpis

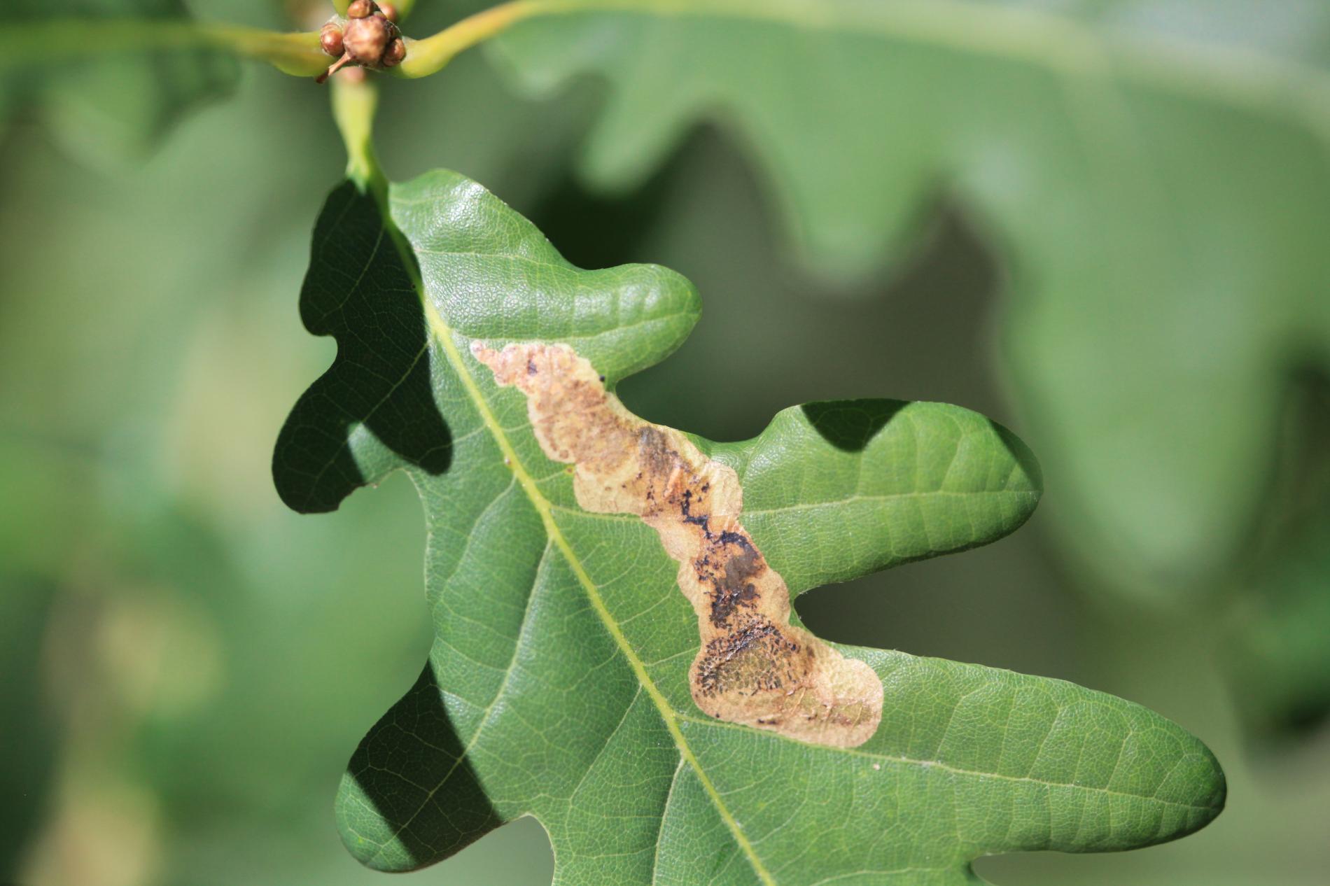
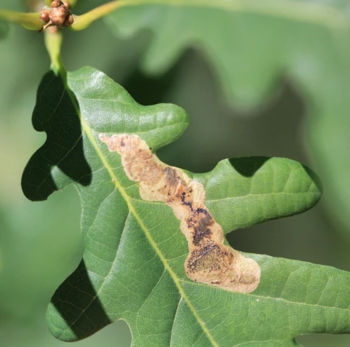
Listárka dubová

Profenusa pygmaea

Popis druhu

Profenusa pygmaea je malý blanokrídlovec, ktoré larvy minujú listy duba (Quercus spp.), zriedkavo aj jedlého gaštana (Castanea sativa). Druh má jednu generáciu do roka, prezimuje v pôde a kuklí sa mimo míny. Samičky kladú vajíčka jednotlivo; v jednej míne je vždy len jedna larva. Larvy vytvárajú veľkú pľuzgierovitú mínu na hornej strane listu, často s úzkym „krkom“ – ktorý vychádza od žilky, trus je rozptýlený v zrnkách, ktoré sa postupne zväčšujú. Larva má tmavé znaky na prothoraxe a tmavé škvrny na brušnej strane hrude. Druh je rozšírený v Európe všade tam, kde rastú duby. Intenzita napadnutia zvyčajne nebýva silná, pri vyššej početnosti znižuje estetický vzhľad listov.

Symptóm

Veľká priesvitná mína na hornej strane listu s úzkym „krkom“, rozptýlený zrnkovitý trus; v každej míne len jedna larva.

Ohrozené dreviny: Dub, Gaštan

Miesto poškodenia: List/ihlica

Významnosť: Málo významný

Kategória škodcov: Hmyz

Zistený na Slovensku: Áno

Invázny druh: Nie

Zistený v EÚ: Áno


Pridaj komentár: Listárka dubová


Mapa výskytu: Listárka dubová

Legenda:

1

Body verifikované expertom

3

Neverifikované body


Podobné poškodenie

Ploskáčik dubinový

Ploskáčik dubinový

Obaľovač dubový

Obaľovač dubový

Listnatka lipová

Listnatka lipová

Môrka dubová

Môrka dubová

Návrat hore