Lienka východná
Harmonia axyridis
Popis druhu
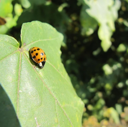
Lienka východná je dravý chrobák pôvodom z východnej Ázie. V roku 2008 sa prvýkrát zaznamenala aj na Slovensku, kde sa počas piatich rokov udomácnila na väčšine územia. Za účelom biologického boja proti fytofágnemu hmyzu, najmä voškám, bola cielene introdukovaná na viacerých kontinentoch vrátane Európy. Na druhej strane sa z nej v mnohých územiach a lokalitách stal nežiaduci kolonizátor vo vysokej početnosti zimujúci v ľudských obydliach. Imága inváznej populácie lienky východnej v Európe majú na zadnej časti kroviek dobre viditeľnú priečnu lištu. Tá odlišuje tento druh lienky od väčšiny našich druhov lienok s absenciou tejto lišty. Dĺžka tela je často nad 5 mm. Lienky v strednej Európe zimujú v štádiu imága, často vo veľkých agregáciách, väčšinou v budovách a rôznych objektoch vytvorených človekom. Jedince zimujúce v teplých budovách opúšťajú agregácie už v januári až marci, pričom v dôsledku nedostatku potravy hladujú a predčasne hynú. Lienka východná opúšťa zimoviská v závislosti na teplote vzduchu v marci až apríli. Vyznačuje sa vysokou fekunditou a dlho pretrvávajúcou fertilitou, tak jediná oplodnená samička kladúca vajíčka v zhlukoch po 20 až 80 kusov môže založiť novú veľkú kolóniu aj bez prístupu samčeka. Na Slovensku má dve, v teplejších polohách sú možné tri generácie.
Symptóm
Najčastejšie ju možno nájsť na listoch pri odpočinku alebo pohybe za potravou, bez symptómov poškodenia hostiteľskej rastliny.
Ohrozené dreviny: Rôzne dreviny
Miesto poškodenia: Plod/Semeno
Významnosť: Nie je škodlivý
Kategória škodcov: Hmyz
Zistený na Slovensku: Áno
Invázny druh: Áno
Zistený v EÚ: Áno
Pridaj komentár: Lienka východná
Mapa výskytu: Lienka východná
náhľad mapy pre tlačLegenda:

Body verifikované expertom

Neverifikované body
Pozorovaný užívateľmi na týchto drevinách
Najviac pozorovaní druhu
Posledné pozorovania
V systéme je celkom 19 pozorovaní druhu Harmonia axyridis





