Kučeravosť listov čremchy
Taphrina farlowii
Popis druhu
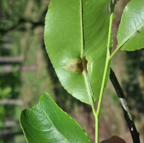
Taphrina farlowii je hubový patogén napádajúci čremchu neskorú (Prunus serotina), kde spôsobuje deformácie listov, kvetov a plodov. Infekcia vyvoláva tvorbu hálok a zdurenín, čo vedie k nadmernému skrúteniu a zhrubnutiu pletív. Napadnuté kvety a plody sú zdeformované a často sa nevyvíjajú správne. Spóry huby sa šíria vzduchom a infikujú mladé pletivá najmä na jar.
Druh bol pravdepodobne zavlečený do Európy spolu so svojím hostiteľom a následne sa v niektorých oblastiach rozšíril. Aj keď spôsobuje prevažne estetické poškodenie, pri silnom napadnutí môže vyvolať predčasný opad listov a odumieranie výhonkov, čím oslabuje vitalitu stromu. V oblastiach s intenzívnym výskytom sa môže podieľať na biologickej regulácii invázneho rozšírenia Prunus serotina.
Symptóm
Na napadnutých stromoch sa vytvárajú hálky a zdureniny na listoch, kvetoch a plodoch, čo vedie k skrúcaniu a zhrubnutiu pletív. Majú často svetlozelené prípadne načervenalú farbu. Infikované listy sú deformované, plody často nedozrievajú, a v ťažkých prípadoch môže dôjsť k odumieraniu mladých výhonkov.
Ohrozené dreviny: Čremcha neskorá
Miesto poškodenia: List/ihlica, Plod/Semeno, Vetva
Významnosť: Významný
Kategória škodcov: Huby
Zistený na Slovensku: Áno
Invázny druh: Áno
Zistený v EÚ: Áno
Pridaj komentár: Kučeravosť listov čremchy
Mapa výskytu: Kučeravosť listov čremchy
Legenda:

Body verifikované expertom

Neverifikované body




