Kučeravosť listov broskýň
Taphrina deformans
Popis druhu
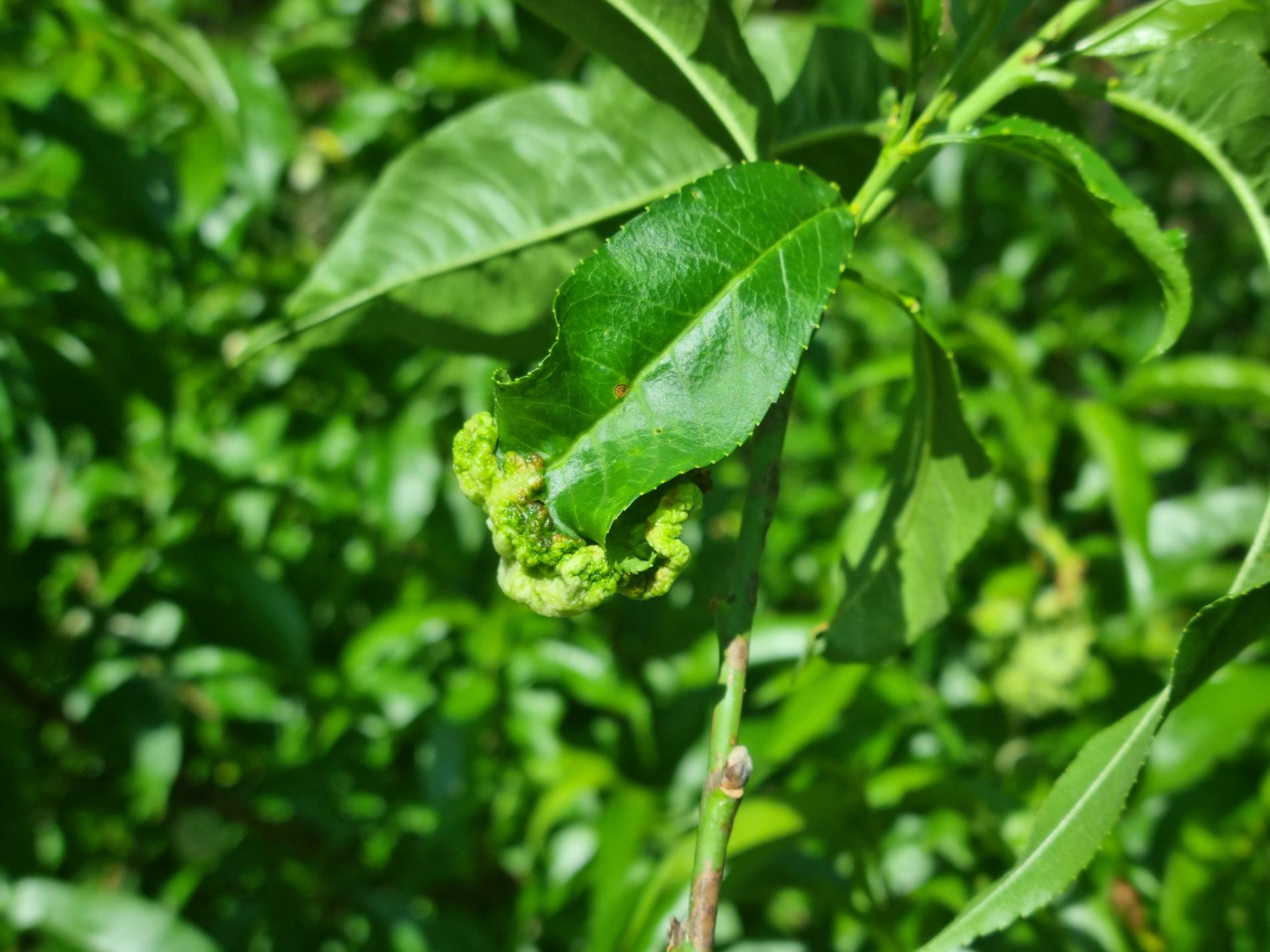
Kučeravosť listov broskýň, spôsobená hubou Taphrina deformans, je jedným z najvýznamnejších ochorení broskýň. Infikuje mladé listy, ktoré už v jarných mesiacoch opadávajú. Strata značnej časti listovej plochy vedie k opadu mladých plodov, čo môže výrazne ohroziť úrodu. Infekciu stromov podporuje daždivé a chladné počasie koncom zimy, v štádiu pučania a v období krátko po vypučaní až do začiatku kvitnutia broskýň. Pôvodca ochorenia prezimuje vo forme napučaných spór (tzv. blastospór) na kôre stromov a pod šupinami púčikov. Tieto spóry sa na jar aktivujú, šíria sa na nové listy a spôsobujú typické príznaky ochorenia, ako sú deformácie, kučeravenie a zmena farby listov.
Prevencia a kontrola tejto choroby zahŕňajú niekoľko opatrení, ako je aplikácia vhodných fungicídov v kritických obdobiach, odstraňovanie infikovaných listov a správny rez stromov na zabezpečenie dobrej cirkulácie vzduchu. Je tiež dôležité sledovať predpovede počasia a reagovať na podmienky, ktoré podporujú šírenie ochorenia. Okrem broskýň môže huba napádať aj ďalšie druhy rodu Prunus, ako sú marhule (Prunus armeniaca) a slivky (Prunus domestica).
Symptóm
Deformácie, kučeravenie a zmena farby listov.
Ohrozené dreviny: Broskyňa, Marhuľa, Slivka
Miesto poškodenia: List/ihlica, Plod/Semeno
Významnosť: Významný
Kategória škodcov: Huby
Zistený na Slovensku: Áno
Invázny druh: Nie
Zistený v EÚ: Áno
Pridaj komentár: Kučeravosť listov broskýň
Mapa výskytu: Kučeravosť listov broskýň
náhľad mapy pre tlačLegenda:

Body verifikované expertom

Neverifikované body
Najviac pozorovaní druhu
Posledné pozorovania
V systéme je celkom 1 pozorovaní druhu Taphrina deformans





