Hrdzavka hlohová
Gymnosporangium clavariiforme
Popis druhu
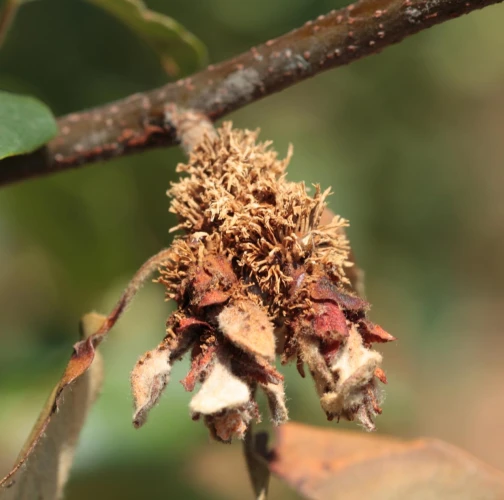
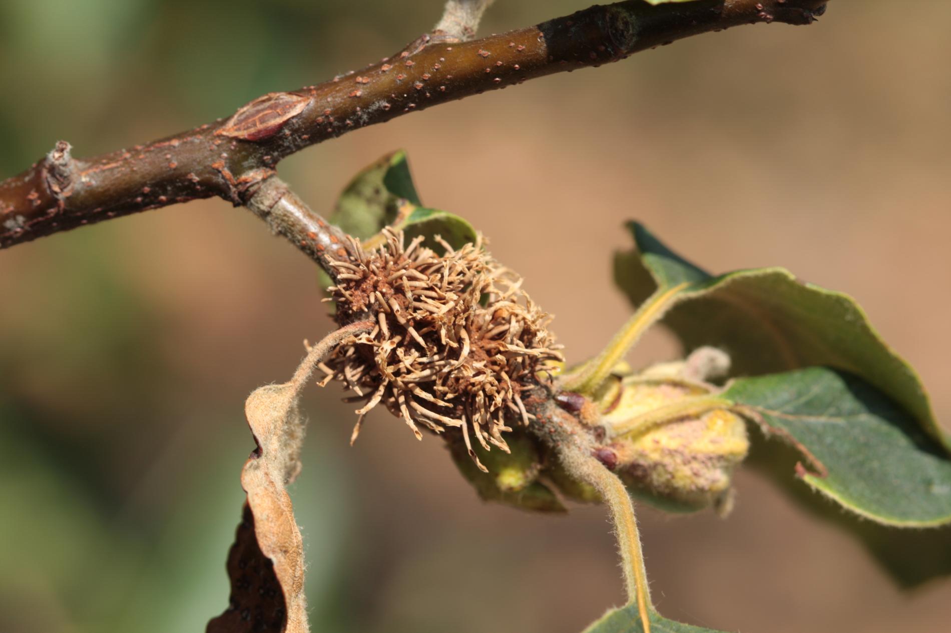
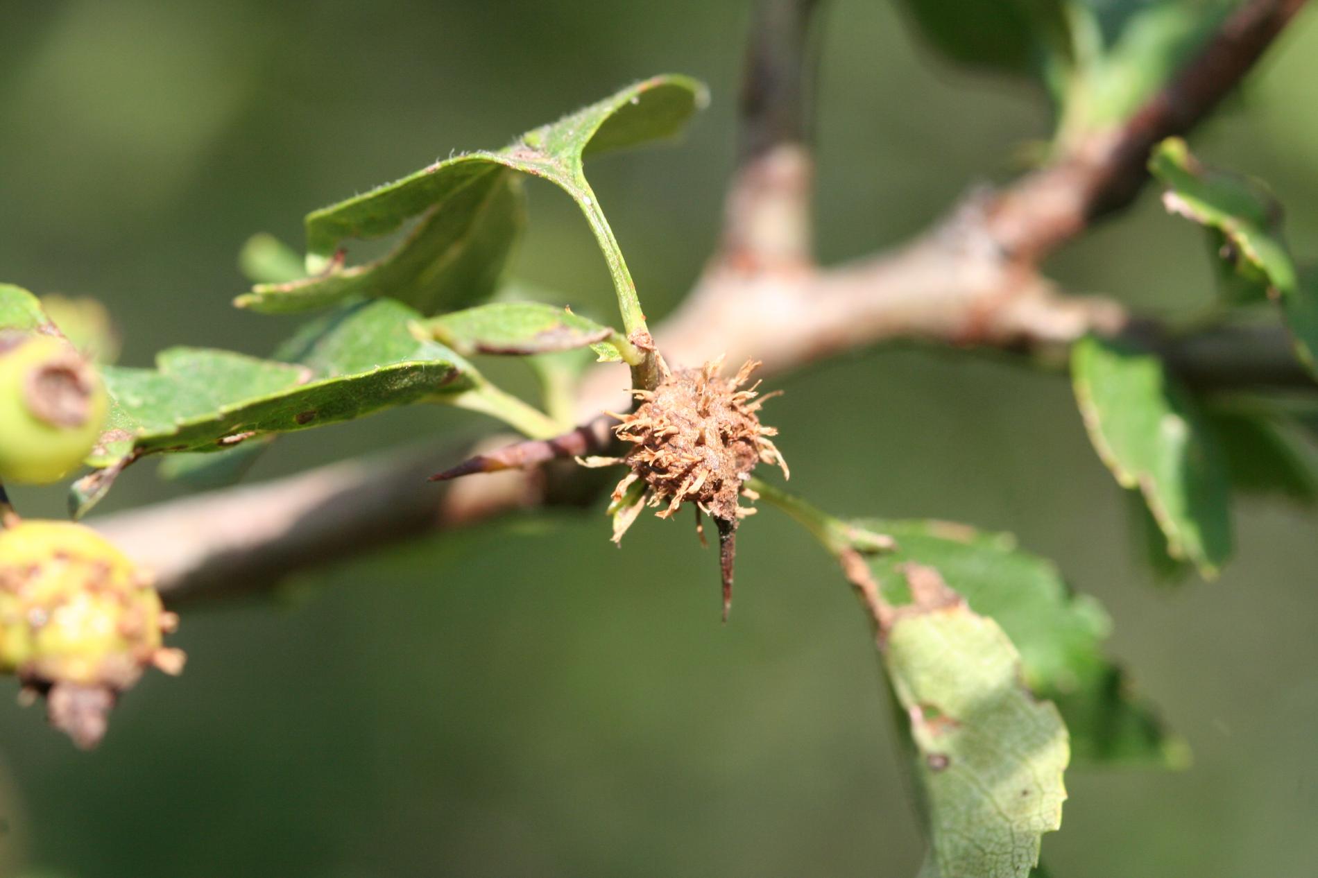
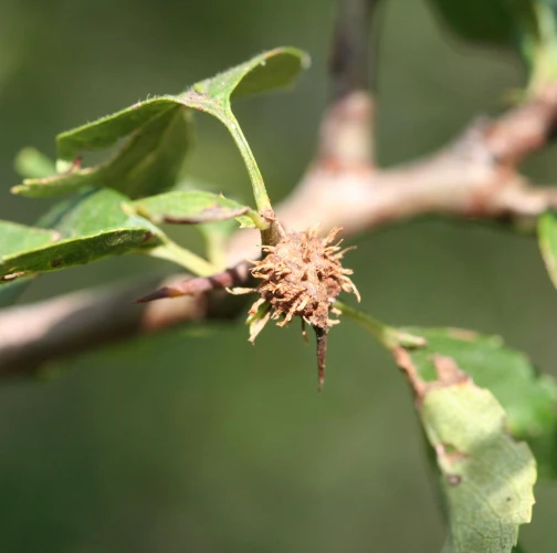
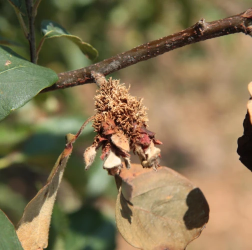
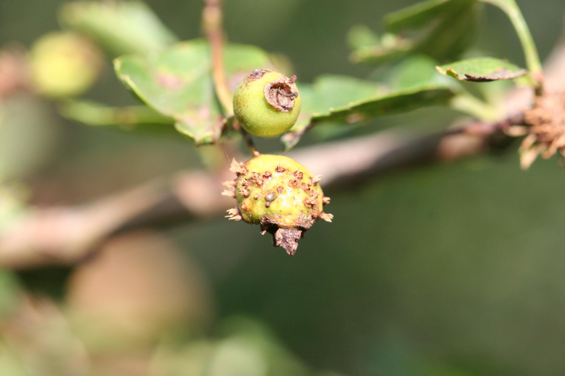
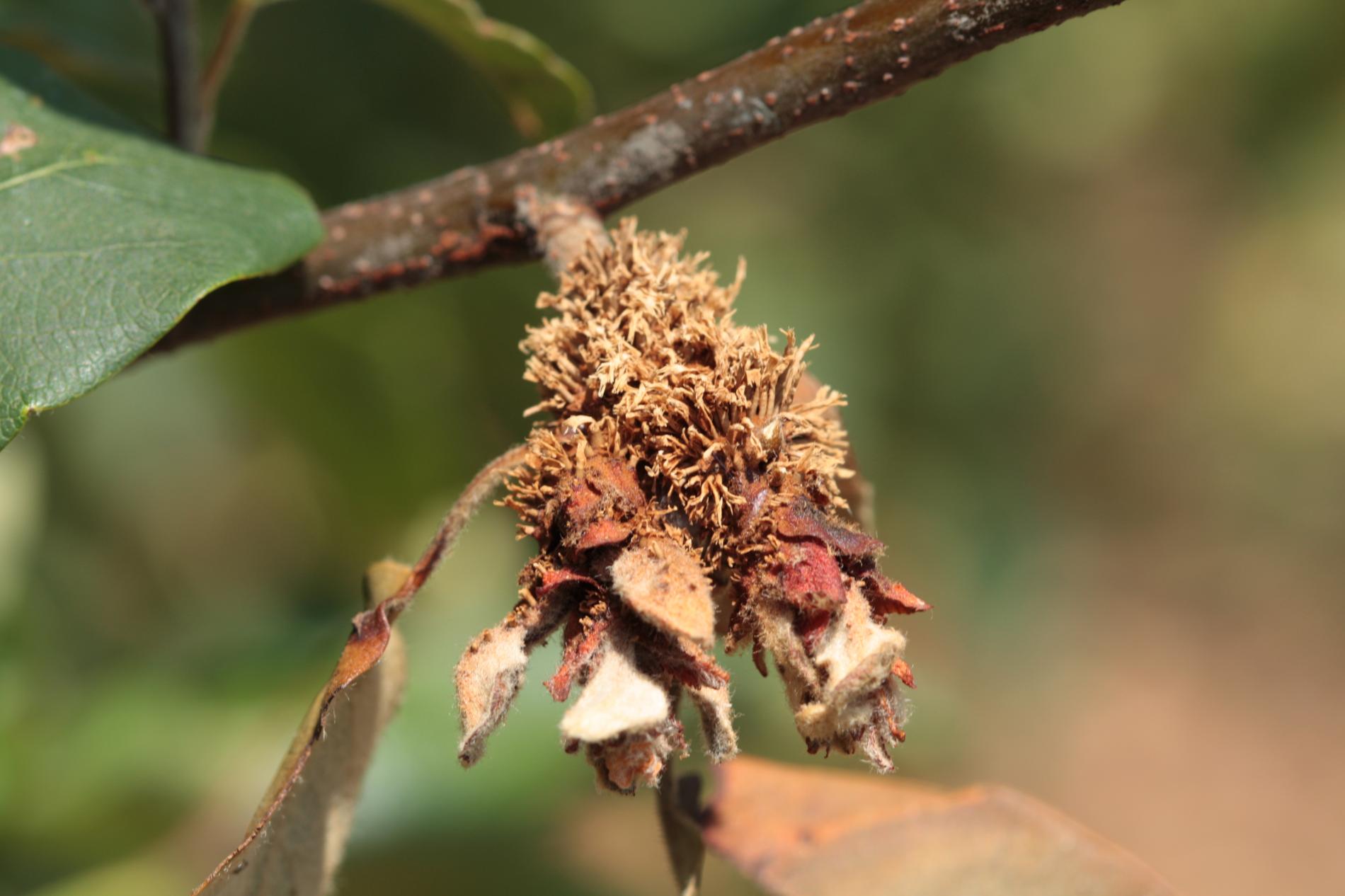
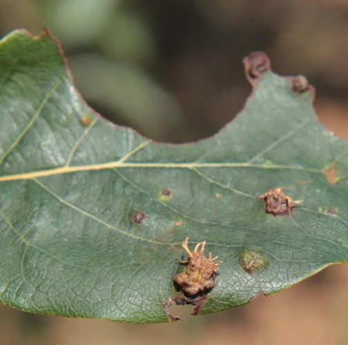
Primárnym hostiteľom tejto huby je borievka. Na hlohu tvorí ložiská spór, ktoré rastú v podobe výbežkov dlhých cca 0,5 cm na listoch a plodoch. Z nich sa uvoľňujú spóry, ktoré musia infikovať najskôr borievku aby sa uzavrel produkčný cyklus. Napadnuté stromy chradnú, môžu postupne odumierať jednotlivé vetvy a časti korún.
Symptóm
Na hlohu tvorí ložiská spór, ktoré rastú v podobe výbežkov dlhých cca 0,5 cm na listoch a plodoch.
Ohrozené dreviny: Dula, Hloh
Miesto poškodenia: List/ihlica
Významnosť: Významný
Kategória škodcov: Huby
Zistený na Slovensku: Áno
Invázny druh: Nie
Zistený v EÚ: Áno
Pridaj komentár: Hrdzavka hlohová
Mapa výskytu: Hrdzavka hlohová
Legenda:

Body verifikované expertom

Neverifikované body




