Hrdza korunová
Puccinia coronata
Popis druhu
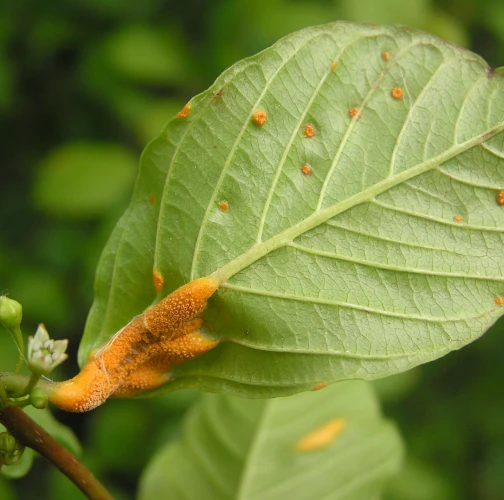
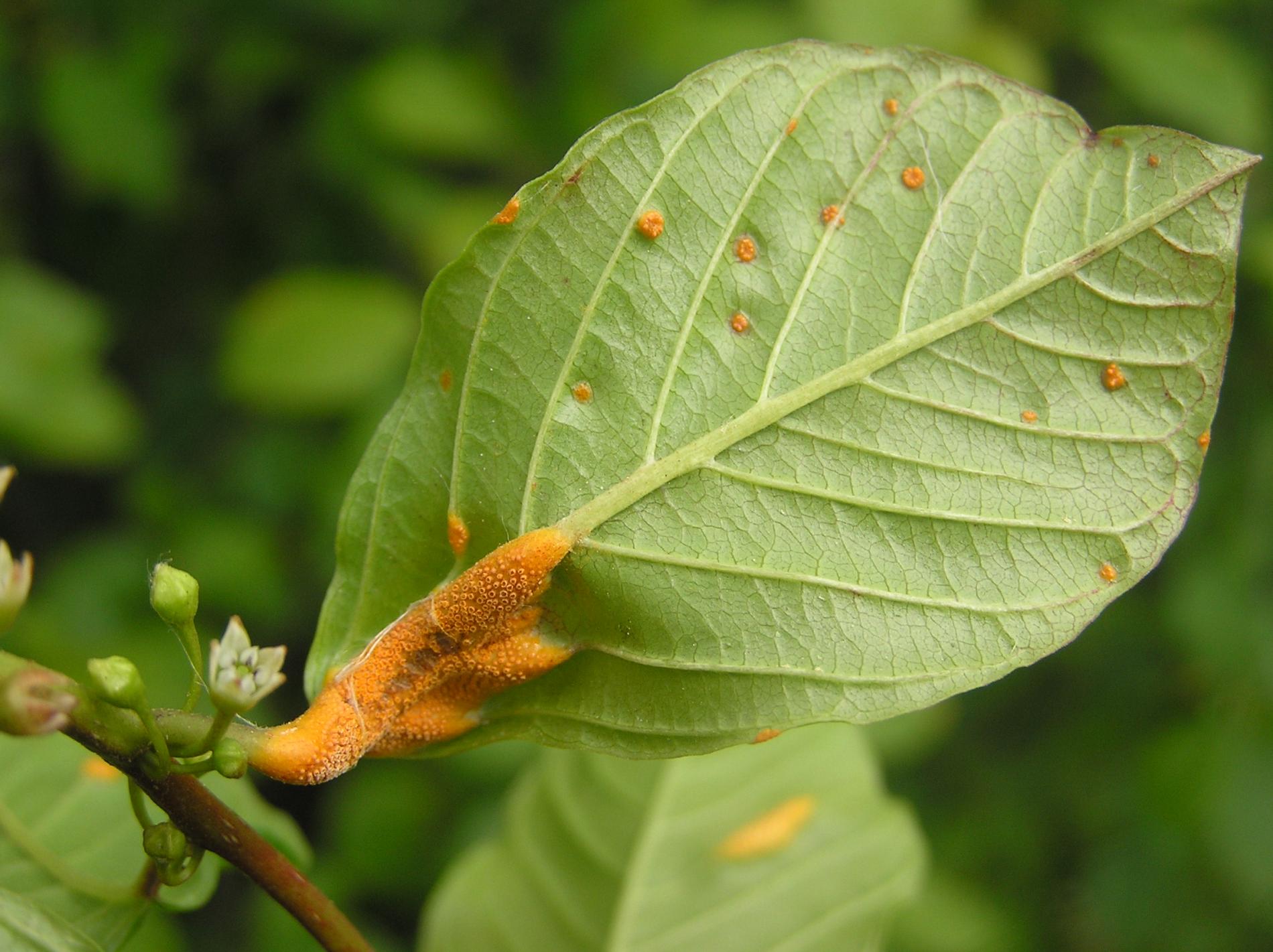
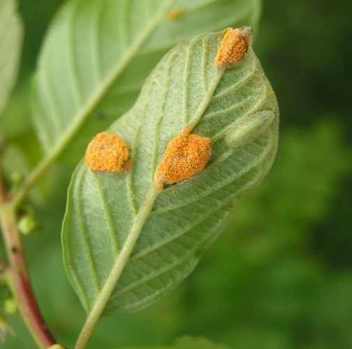
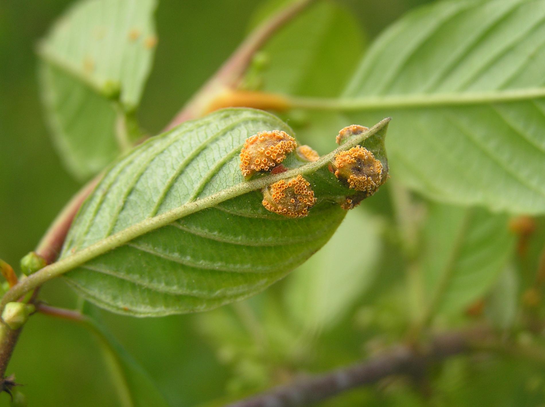
Hostiteľom oranžových écií – ložísk jarných spór sú druhy z rodu Rhamnus (krušina, rašetliak) a tvoria sa na jar na listoch a výhonkoch. Éciospóry infikujú trávy (cca 45 rodov tráv), na ktorých sa vyvíjajú ďalšie štádiá hrdze a to urédiá (ložiská letných spór). Hrdza prezimováva v štádiu télií (ložiská zimných spór) na tráve, na jar teliospóry vyklíčia a vytvoria sa bazídiospóry, ktoré infikujú mladé listy krušiny alebo rašetliaka a vytvoria sa éciá.
Symptóm
Oranžové zdurené ložiská na listoch a mladých výhonkoch.
Ohrozené dreviny: Krušina
Miesto poškodenia: List/ihlica, Vetva
Významnosť: Významný
Kategória škodcov: Huby
Zistený na Slovensku: Áno
Invázny druh: Nie
Zistený v EÚ: Áno
Pridaj komentár: Hrdza korunová
Mapa výskytu: Hrdza korunová
náhľad mapy pre tlačLegenda:

Body verifikované expertom

Neverifikované body
Najviac pozorovaní druhu
Posledné pozorovania
V systéme je celkom 2 pozorovaní druhu Puccinia coronata





