Hrčiarka Pseudoneuroterus macropterus
Pseudoneuroterus macropterus
Popis druhu
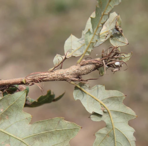
Koniec nových vetvičiek je v úseku 1-5 cm zhrubnutý na viac ako 3-4 x násobok normálnej hrúbky. Vo vnútri sa vyvíjajú larvy tejto hrčiarky. Je známe aj pod názvom Neuroterus macropterus. Na povrchu vetvičky môžu byť výleté otovory.
Symptóm
Koniec nových vetvičiek je v úseku 1-ť cm zhrubnutý na viac ako 3-4 x násobok normálnej hrúbky.
Ohrozené dreviny: Dub
Miesto poškodenia: Vetva
Významnosť: Málo významný
Kategória škodcov: Hmyz
Zistený na Slovensku: Áno
Zistený v EÚ: Áno
Pridaj komentár: Hrčiarka Pseudoneuroterus macropterus
Mapa výskytu: Hrčiarka Pseudoneuroterus macropterus
náhľad mapy pre tlačLegenda:

Body verifikované expertom

Neverifikované body
Pozorovaný užívateľmi na týchto drevinách
Najviac pozorovaní druhu
Posledné pozorovania
V systéme je celkom 1 pozorovaní druhu Pseudoneuroterus macropterus




