Hrčiarka Pontania proxima
Pontania proxima
Popis druhu
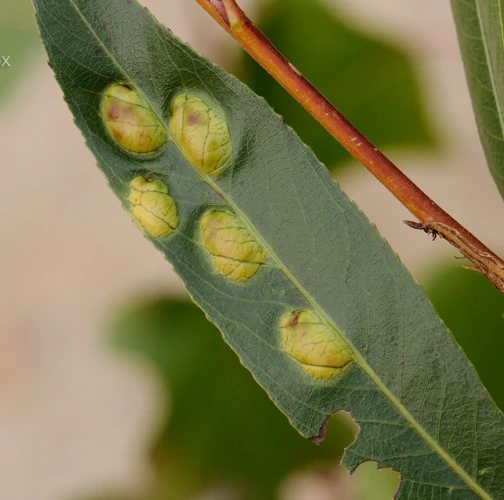
Hrčiarka Pontania proxima vytvára hálky ľadvinového tvaru listov vŕby. Sú veľké cca 0,5-1 cm, hladné, povrch s nádychom do červena alebo hneda. Často sa na jednom liste nachádza viac hálok 2-4. Vo vnútri žije v strede len jedna larva.
Symptóm
Hálky ľadvinového tvaru listov vŕby. Sú veľké cca 0,5-1 cm, hladné, povrch s nádychom do červena alebo hneda. Často sa na jednom liste nachádza viac hálok 2-4.
Ohrozené dreviny: Vŕba
Miesto poškodenia: List/ihlica
Významnosť: Málo významný
Kategória škodcov: Hmyz
Zistený na Slovensku: Áno
Invázny druh: Nie
Zistený v EÚ: Áno
Pridaj komentár: Hrčiarka Pontania proxima
Mapa výskytu: Hrčiarka Pontania proxima
náhľad mapy pre tlačLegenda:

Body verifikované expertom

Neverifikované body
Pozorovaný užívateľmi na týchto drevinách
Najviac pozorovaní druhu
Posledné pozorovania
V systéme je celkom 7 pozorovaní druhu Pontania proxima





