Hrčiarka Neuroterus quercusbaccarum
Neuroterus quercusbaccarum
Popis druhu
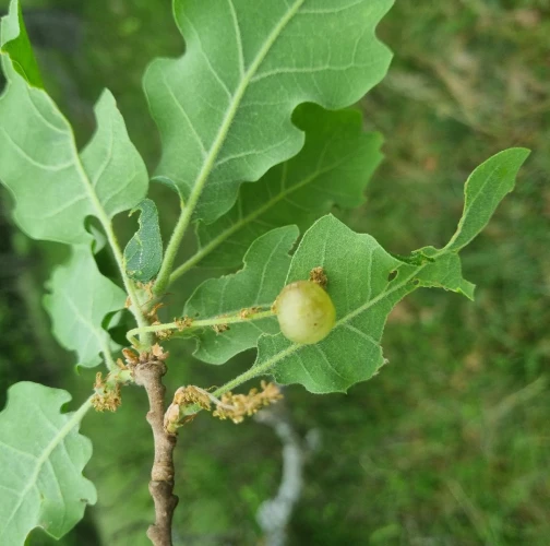
Hrčiarka Neuroterus quercusbaccarum vytvára hálky na listov duba. Druh má dve striedajúce sa generácie. Jarná, pohlavná generácia, sa vyvíja v obyčajne skupinových, guľovitých, bobuľovitých hálkach (v priemere 4-8 mm) ktoré sa tvoria na kvetoch resp. na listoch dubov skoro na jar. Často sa na jednom liste nachádza veľké mužstvo hálok. Vo vnútri žije v strede len jedna larva. Imága vychádzajú z hálok v júni. Druhá generácia sa vyvíja v plochých, plstenných hálkach na spodnej strane listov (priemer hálky cca 4-6 mm, hrúbka 2 mm). Sú pravidelne okrúhle, plstnaté, ploché. Hnedej alebo okrovo hnedej farby. Hálky druhej generácie padajú v auguste a v septembri, dospelé jedince sa potom objavujú nasledujúcu jar. Žije na Quercus pubescens a Quercus robur.
Symptóm
Hálky na spodnej strane listov duba. Sú veľké cca 0,2-0,5 cm, pravidelne okrúhle, plstnaté, ploché. Hnedej alebo okrovo hnedej farby. Často sa na jednom liste nachádza veľké mužstvo hálok.
Ohrozené dreviny: Dub
Miesto poškodenia: List/ihlica
Významnosť: Málo významný
Kategória škodcov: Hmyz
Zistený na Slovensku: Áno
Invázny druh: Nie
Zistený v EÚ: Áno
Pridaj komentár: Hrčiarka Neuroterus quercusbaccarum
Mapa výskytu: Hrčiarka Neuroterus quercusbaccarum
náhľad mapy pre tlačLegenda:

Body verifikované expertom

Neverifikované body
Pozorovaný užívateľmi na týchto drevinách
Najviac pozorovaní druhu
Posledné pozorovania
V systéme je celkom 25 pozorovaní druhu Neuroterus quercusbaccarum
Neuroterus quercusbaccarumHrčiarka Neuroterus quercusbaccarum
iva
Počet hlasov: 0
Uverejnené: 13.5.2023
Drevina: Dub
Neuroterus quercusbaccarumHrčiarka Neuroterus quercusbaccarum
Karol Ox
Počet hlasov: 0
Uverejnené: 29.1.2023
Drevina: Dub
Neuroterus quercusbaccarumHrčiarka Neuroterus quercusbaccarum
Karol Ox
Počet hlasov: 0
Uverejnené: 29.1.2023
Drevina: Dub





