Hrčiarka javorová
Pediaspis aceris
Popis druhu
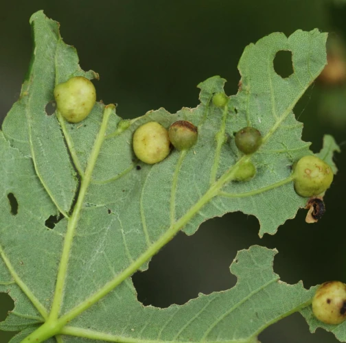
Pediaspis aceris má dve striedajúce sa generácie. Obojpohlavné pokolenie druhu na jar spôsobuje na listoch a kvetoch platanov tvorbu guľovitých hálok (s priemerom 6–10 mm). V prípadoch, keď sú hálky veľmi husto na liste, môžu brániť plnému rozvoju listov. Jednopohlavná generácia tohto druhu spôsobuje guľovité hálky (s priemerom 6–8 mm) na jemných koreňoch blízko povrchu pôdy toho istého hostiteľského stromu.
Symptóm
Hálky na listoch prípadne na koreňoch javorov.
Ohrozené dreviny: Javor
Miesto poškodenia: List/ihlica
Významnosť: Málo významný
Kategória škodcov: Hmyz
Zistený na Slovensku: Áno
Invázny druh: Nie
Zistený v EÚ: Áno
Pridaj komentár: Hrčiarka javorová
Mapa výskytu: Hrčiarka javorová
Legenda:

Body verifikované expertom

Neverifikované body




