Hrčiarka Janetia cerris
Janetia cerris
Popis druhu
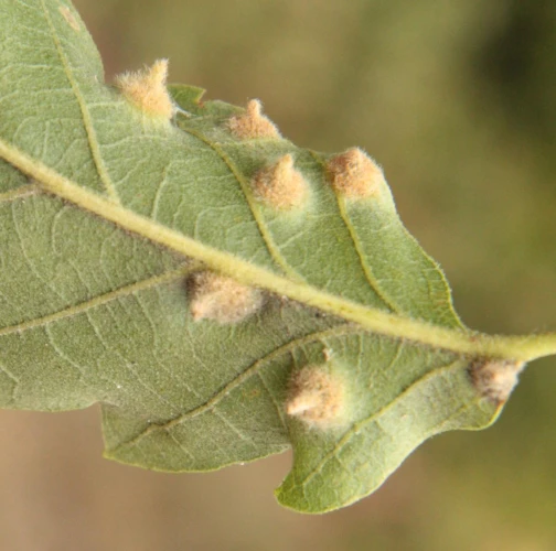
Na vrchnej strane listov duba cerového sa tvoria 2 - 3 mm vysoké diskovité hrbolčeky - hálky. Na liste sa objavujú v zhlukoch po 20 – 50 ks. Larva sa vyvíja vo vnútri hálky. Na jeseň, keď list opadne larva hálku opúšťa a kuklí sa v pôde. Počas roka má jednu generáciu.
Symptóm
Na vrchnej strane listov sa tvoria 2 - 3 mm vysoké diskovité hrbolčeky - hálky. Na liste sa objavujú v zhlukoch po 20 – 50 ks.
Ohrozené dreviny: Dub
Miesto poškodenia: List/ihlica
Významnosť: Málo významný
Kategória škodcov: Hmyz
Zistený na Slovensku: Áno
Invázny druh: Nie
Zistený v EÚ: Áno
Pridaj komentár: Hrčiarka Janetia cerris
Mapa výskytu: Hrčiarka Janetia cerris
náhľad mapy pre tlačLegenda:

Body verifikované expertom

Neverifikované body
Pozorovaný užívateľmi na týchto drevinách
Najviac pozorovaní druhu
Posledné pozorovania
V systéme je celkom 1 pozorovaní druhu Janetia cerris




