en Prihlásenie | Registrácia | Zoznam prispievateľov

« Späť na výpis

Hrčiarka Dryocosmus kuriphilus

Dryocosmus kuriphilus

Popis druhu

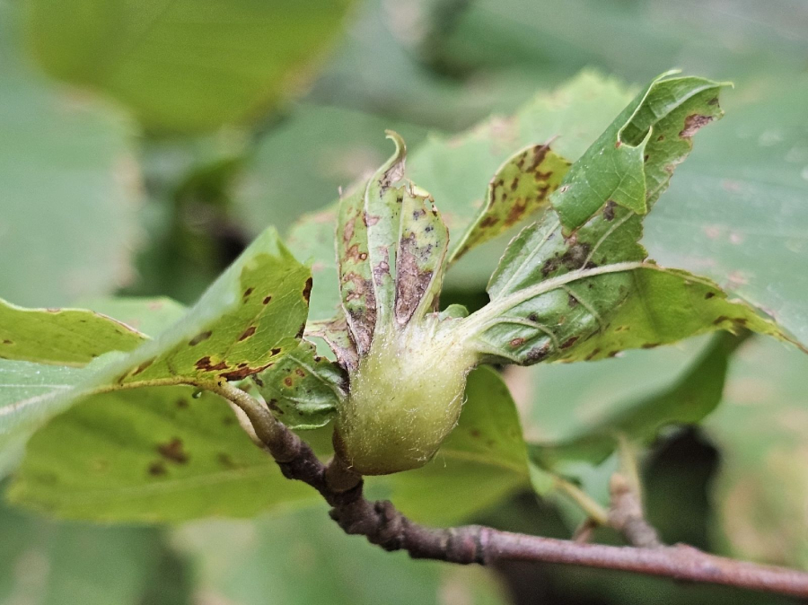
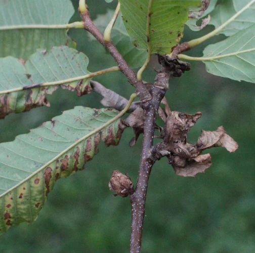
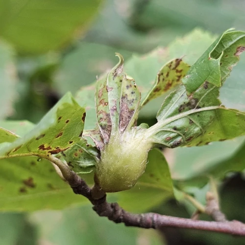
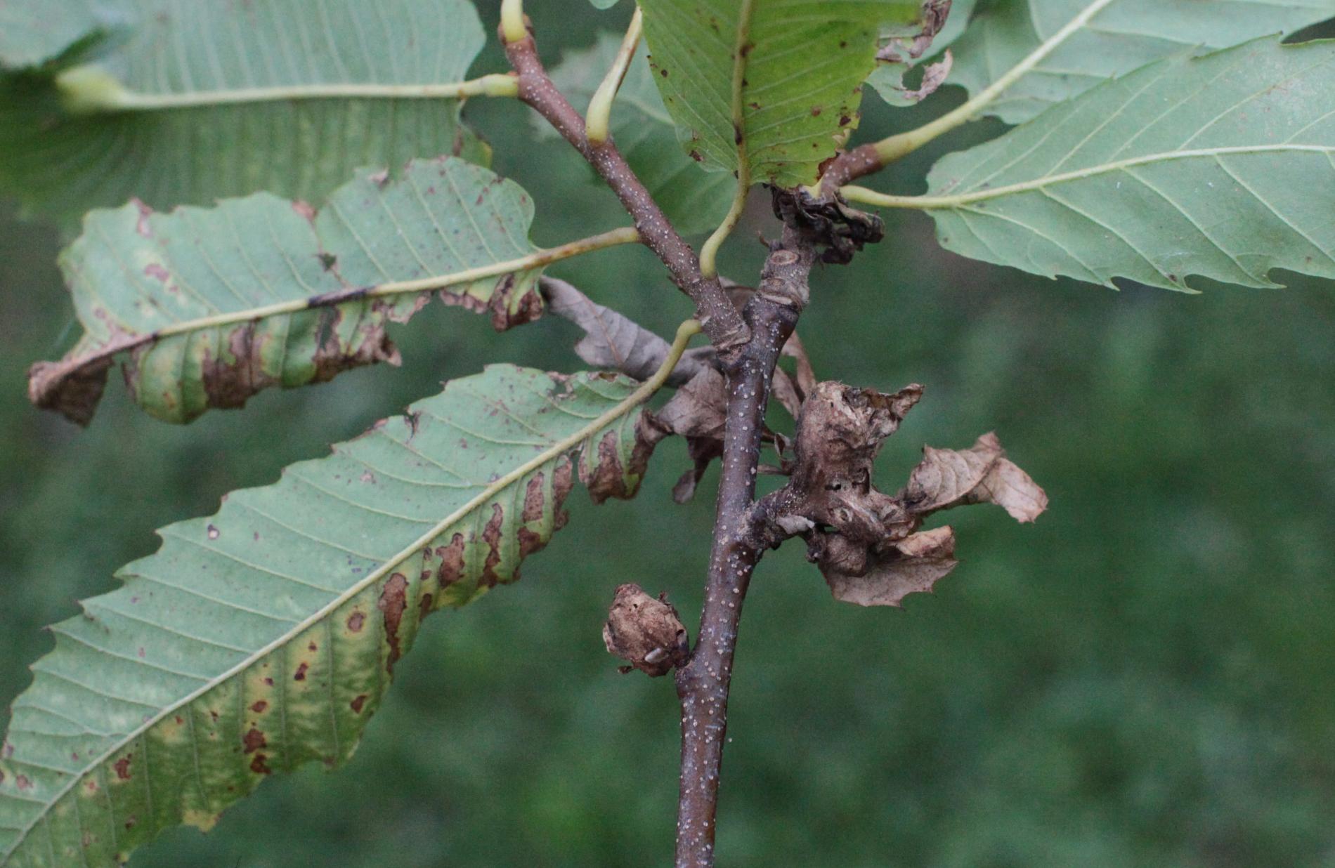
Hrčiarka Dryocosmus kuriphiluss je univoltinní druh, pričom samičky sa reprodukujú prostredníctvom partenogenézy. Samičky kladú vajíčka do vnútra púčikov. Larvy prezimujú vo vnútri púčika. V čase rašenia, na jar, ich prítomnosť vyvoláva tvorbu v priemere 5-20 mm veľkých, zelených alebo ružových hálok na báze listov. Larvy sa živia vnútri týchto hálok a dospelé osičky sa objavia v lete. Pôsobenie tejto hrčiarky znižuje tvorbu plodov až o 60-80 %. Pri silnom napadnutí môže dôjsť k odumretiu celých stromov. Je považovaný za jedného z najvážnejších škodcov gaštanu.

Symptóm

Hálky na báze listu. Zostávajú na vetvičke aj niekoľko rokov ako suché hrčky.

Ohrozené dreviny: Gaštan

Miesto poškodenia: List/ihlica

Významnosť: Významný

Kategória škodcov: Hmyz

Zistený na Slovensku: Áno

Invázny druh: Áno

Zistený v EÚ: Áno


Pridaj komentár: Hrčiarka Dryocosmus kuriphilus


Mapa výskytu: Hrčiarka Dryocosmus kuriphilus

náhľad mapy pre tlač

Legenda:

1

Body verifikované expertom

3

Neverifikované body

 

Najviac pozorovaní druhu


Posledné pozorovania

V systéme je celkom 1 pozorovaní druhu Dryocosmus kuriphilus


Podobné poškodenie

Hrčiarka Andricus galeatus

Hrčiarka Andricus galeatus

Hrčiarka Chilaspis nitida

Hrčiarka Chilaspis nitida

Hrčiarka Dryocosmus cerriphilus

Hrčiarka Dryocosmus cerriphilus

Hrčiarka Andricus conglomeratus

Hrčiarka Andricus conglomeratus

Návrat hore