en Prihlásenie | Registrácia | Zoznam prispievateľov

« Späť na výpis

Hrčiarka Dryocosmus cerriphilus

Dryocosmus cerriphilus

Popis druhu

Hrčiarka Dryocosmus cerriphilus je hálkotvorná osička z čeľade Cynipidae. Preferuje dreviny rodu Quercus (dub) a je úzko monofágna, pričom napáda hlavne Quercus cerris a pravdepodobne aj Quercus petraea. Tento druh má komplikovaný životný cyklus, v ktorom sa strieda pohlavná a nepohlavná generácia.

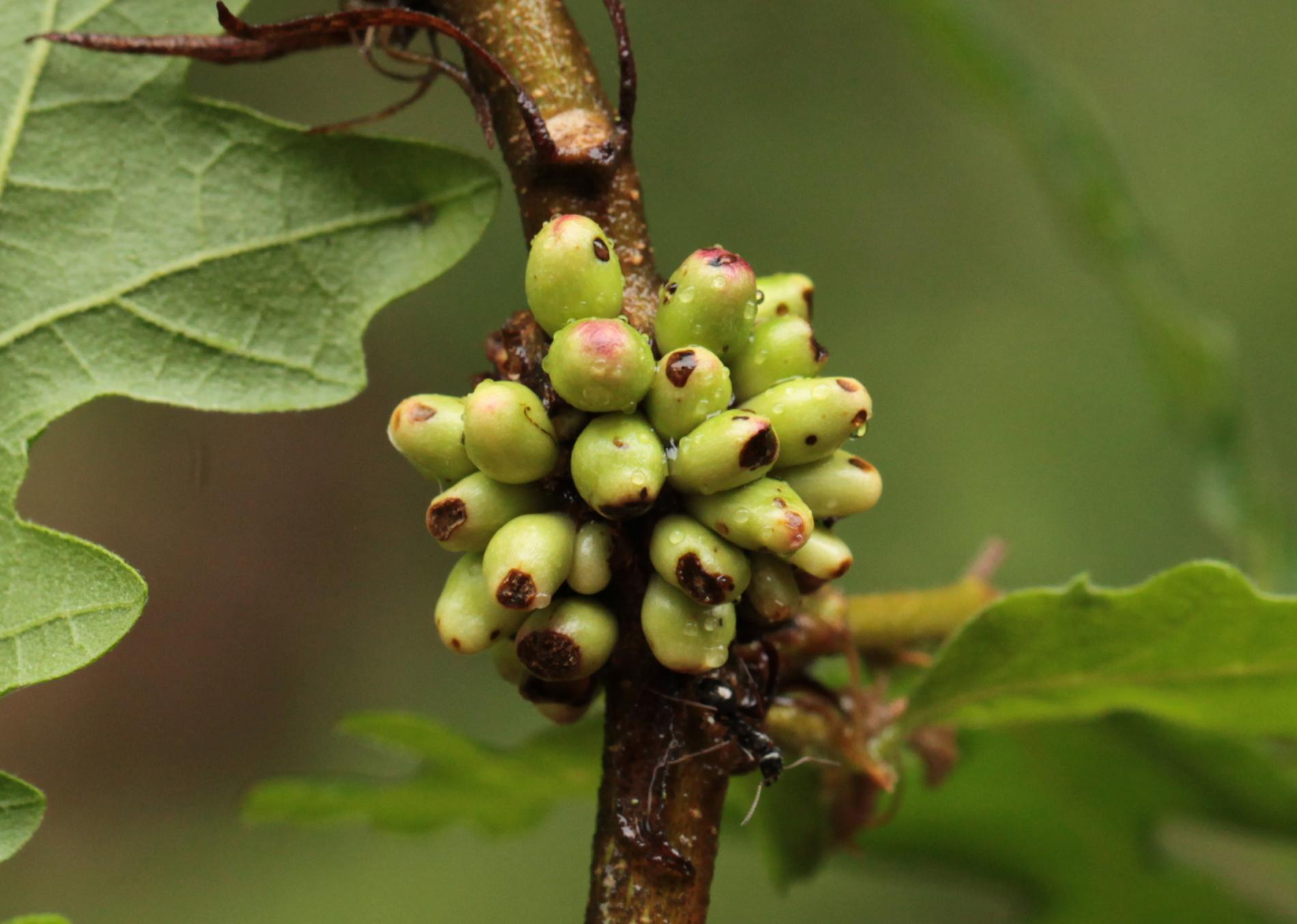
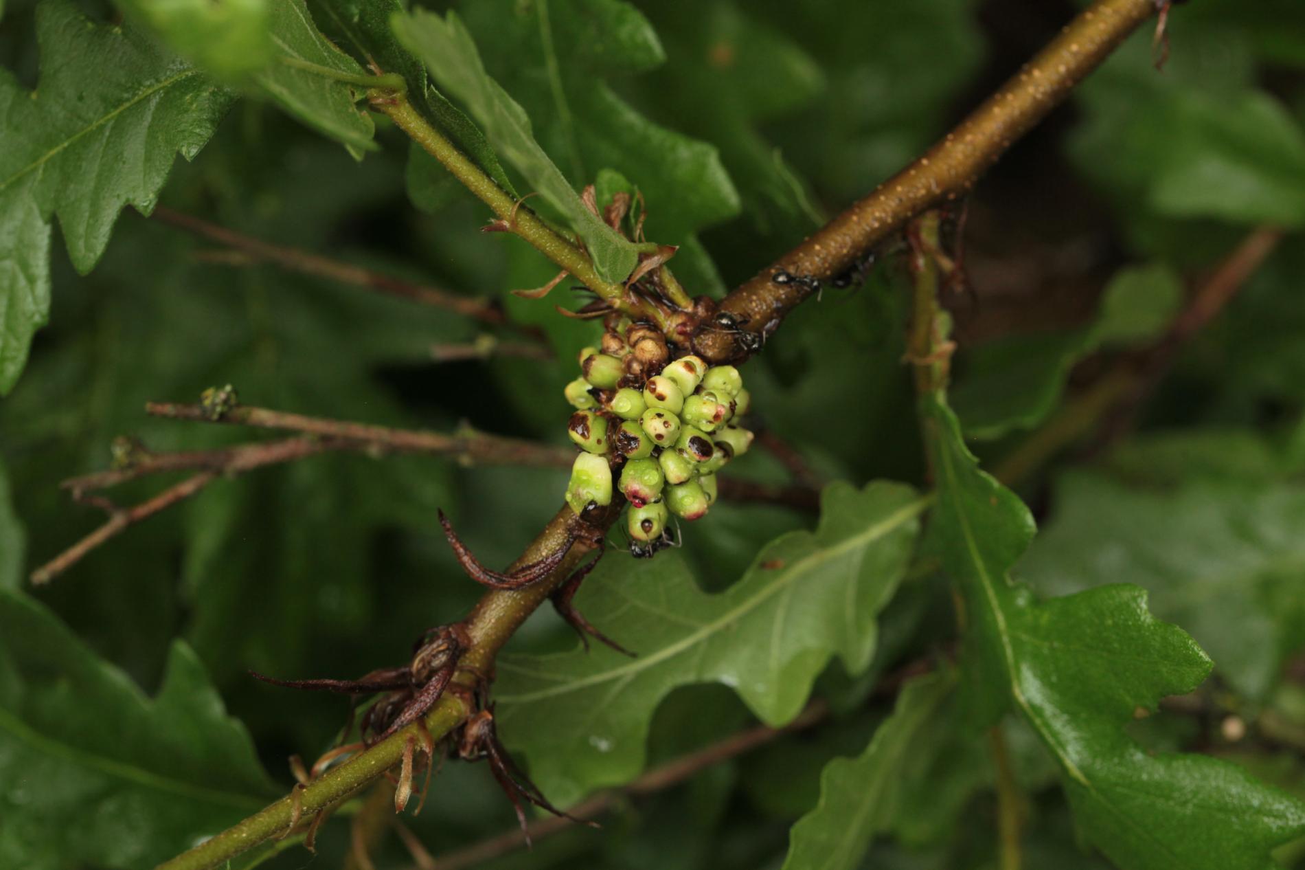
Hálky nepohlavnej generácie sa tvoria na vetvičkách, často sú v skupinách 20–30. Sú zelené, lepkavé a vajcovitého tvaru, s dĺžkou približne 5 mm. Hálky rovnomerne vyrastajú zo všetkých strán vetvičky a každá je jednokomorová. Čerstvé hálky často priťahujú mravce, pravdepodobne kvôli sekrétom poskytujúcim výživu. Pohlavná generácia produkuje menšie okrúhle hálky, približne 5 mm veľké, ktoré sa nachádzajú na okrajoch listov.

Dryocosmus cerriphilus sa vyskytuje v Európe v oblastiach kde sa nachádzajú jeho hostiteľské rastliny. Tento druh nie je rozšírený rovnomerne, ale lokálne môže byť hojný, najmä v dubových porastoch s vysokou hustotou jeho preferovaných hostiteľských druhov.

Prítomnosť hálok môže negatívne ovplyvniť zdravotný stav a vzhľad hostiteľských stromov. Na vetvičkách môžu hálky znižovať ich pevnosť a vitalitu, čo môže viesť k zhoršeniu celkového zdravotného stavu vetiev. Na listoch môžu menšie hálky narušiť estetický vzhľad lístia. Napriek týmto vplyvom sa Dryocosmus cerriphilus vo všeobecnosti nepovažuje za vážneho škodcu a predstavuje len minimálny problém.

Symptóm

Hálky asexuálnej generácie sú na vetvičkách, sú zelené, lepkavé a vajcovité, tvoriace husté zhluky 20–30 kusov. Na listoch vytvára sexuálna generácia menšie guľovité hálky na okrajoch, ktoré rovnomerne vyčnievajú na oboch stranách listovej plochy. Vetvičky s hálkami môžu byť zdeformované a v blízkosti čerstvých hálok sa často objavujú mravce.

Ohrozené dreviny: Dub

Miesto poškodenia: List/ihlica, Vetva

Významnosť: Málo významný

Kategória škodcov: Hmyz

Zistený na Slovensku: Áno

Invázny druh: Nie

Zistený v EÚ: Áno


Pridaj komentár: Hrčiarka Dryocosmus cerriphilus


Mapa výskytu: Hrčiarka Dryocosmus cerriphilus

Legenda:

1

Body verifikované expertom

3

Neverifikované body


Podobné poškodenie

Hrčiarka Neuroterus numismalis

Hrčiarka Neuroterus numismalis

Hrčiarka dubienková

Hrčiarka dubienková

Hrčiarka Dryocosmus cerriphilus

Hrčiarka Dryocosmus cerriphilus

Hrčiarka Andricus dentimitratus

Hrčiarka Andricus dentimitratus

Návrat hore