en Prihlásenie | Registrácia | Zoznam prispievateľov

« Späť na výpis

Hrčiarka Cynips cornifex

Cynips cornifex

Popis druhu

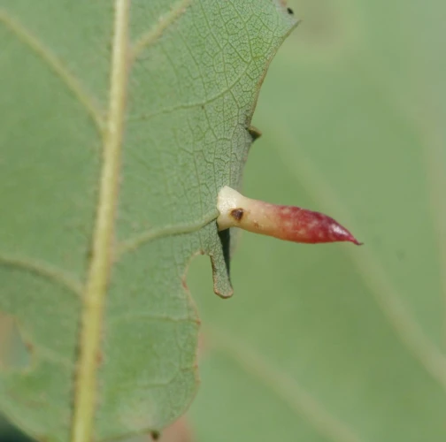
Asi 0,5-1 cm veľká stľpovité hálky obyčajne v skupinách na spodnej strane listu. 

Symptóm

Asi 0,5-1 cm veľká stľpovité hálky obyčajne v skupinách na spodnej strane listu. 

Ohrozené dreviny: Dub

Miesto poškodenia: List/ihlica

Významnosť: Málo významný

Kategória škodcov: Hmyz

Zistený na Slovensku: Áno

Invázny druh: Nie

Zistený v EÚ: Áno


Pridaj komentár: Hrčiarka Cynips cornifex


Mapa výskytu: Hrčiarka Cynips cornifex

Legenda:

1

Body verifikované expertom

3

Neverifikované body


Podobné poškodenie

Hrčiarka Cynips divisa

Hrčiarka Cynips divisa

Hrčiarka Dryomyia circinans

Hrčiarka Dryomyia circinans

Hrčiarka Cynips longiventris

Hrčiarka Cynips longiventris

Hrčiarka Contarinia subulifex

Hrčiarka Contarinia subulifex

Návrat hore