Hrčiarka Contarinia subulifex
Contarinia subulifex
Popis druhu
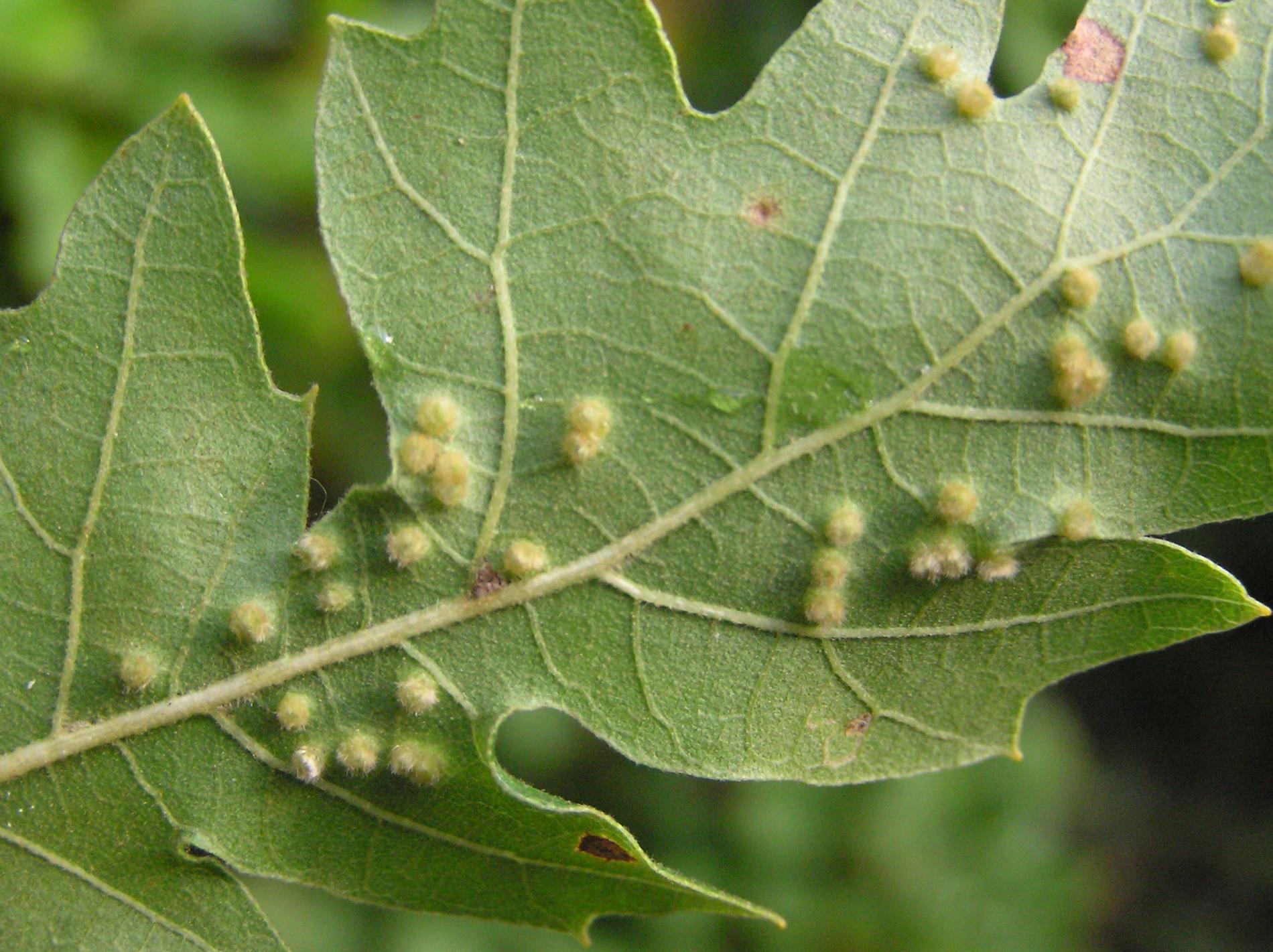
Asi 5 – 8 mm dlhé (1 mm široké) výrastky na vrchnej strane listov duba cerového. Hálky sa vyskytujú v skupinách a tvoria z listu „kefu“. Druh má jednu generáciu v roku. Larva sa kuklí v pôde.
Symptóm
Asi 5 – 8 mm dlhé (1 mm široké) výrastky na vrchnej strane listov.
Ohrozené dreviny: Dub
Miesto poškodenia: List/ihlica
Významnosť: Málo významný
Kategória škodcov: Hmyz
Zistený na Slovensku: Áno
Invázny druh: Nie
Zistený v EÚ: Áno
Pridaj komentár: Hrčiarka Contarinia subulifex
Mapa výskytu: Hrčiarka Contarinia subulifex
náhľad mapy pre tlačLegenda:

Body verifikované expertom

Neverifikované body
Pozorovaný užívateľmi na týchto drevinách
Najviac pozorovaní druhu
Posledné pozorovania
V systéme je celkom 2 pozorovaní druhu Contarinia subulifex




