Hrčiarka Andricus tomentosus
Andricus tomentosus
Popis druhu
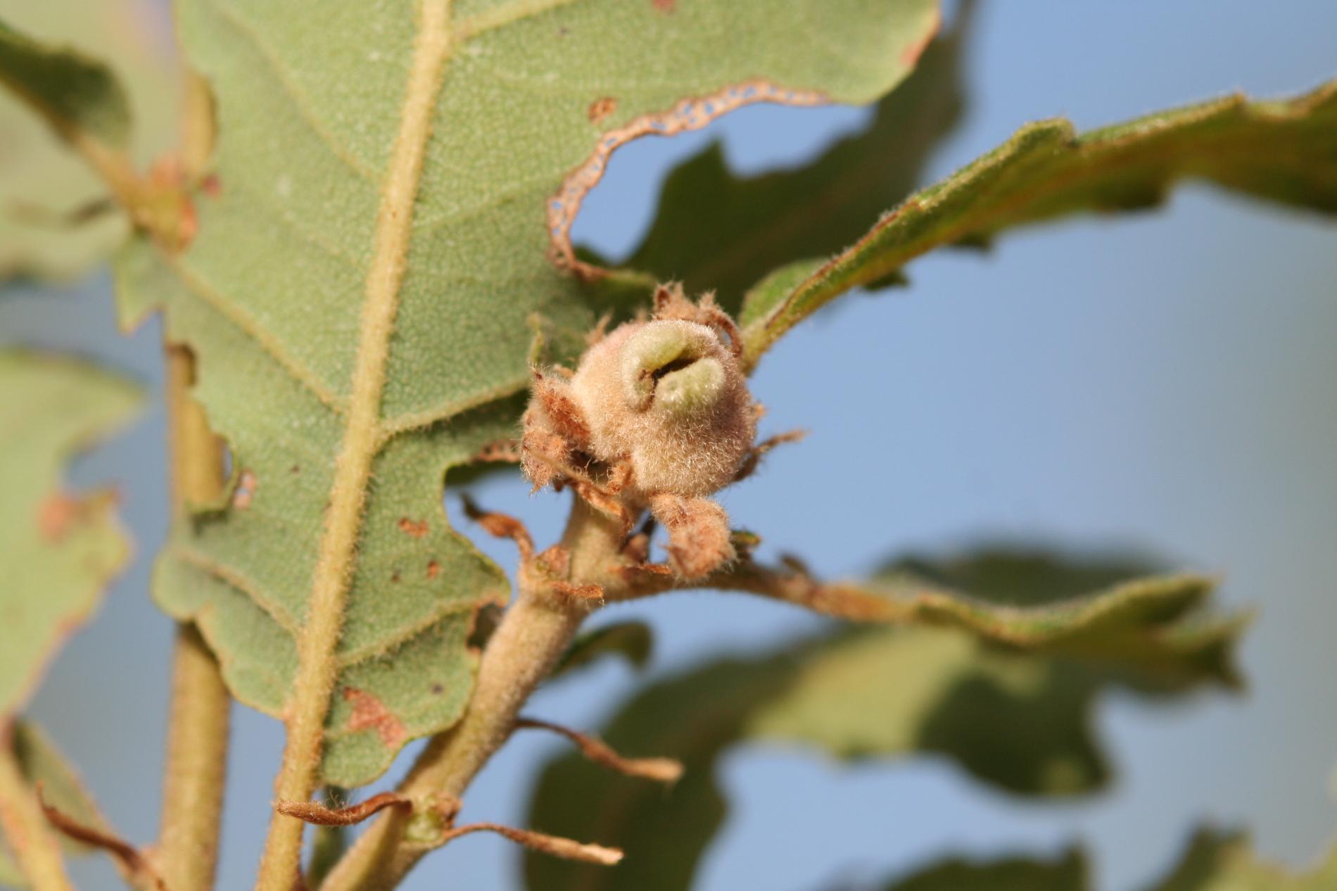
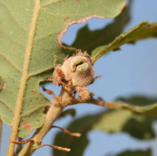
Široká kužeľovitá, až 2 cm vysoká hálka. S otvorom na vrchu - často špicatá na vrchu. Je báze je pripevnená k vetvičke a často viac či menej obklopuje vetvičku. Hálka je husto pokrytá hrdzavookrovou plsťou.
Symptóm
Široká kužeľovitá, až 2 cm vysoká hálka. Pokrytá jemnou plsťou.
Ohrozené dreviny: Dub
Miesto poškodenia: Vetva
Významnosť: Málo významný
Kategória škodcov: Hmyz
Zistený na Slovensku: Áno
Invázny druh: Nie
Zistený v EÚ: Áno
Pridaj komentár: Hrčiarka Andricus tomentosus
Mapa výskytu: Hrčiarka Andricus tomentosus
Legenda:

Body verifikované expertom

Neverifikované body




