Hrčiarka Andricus solitarius
Andricus solitarius
Popis druhu
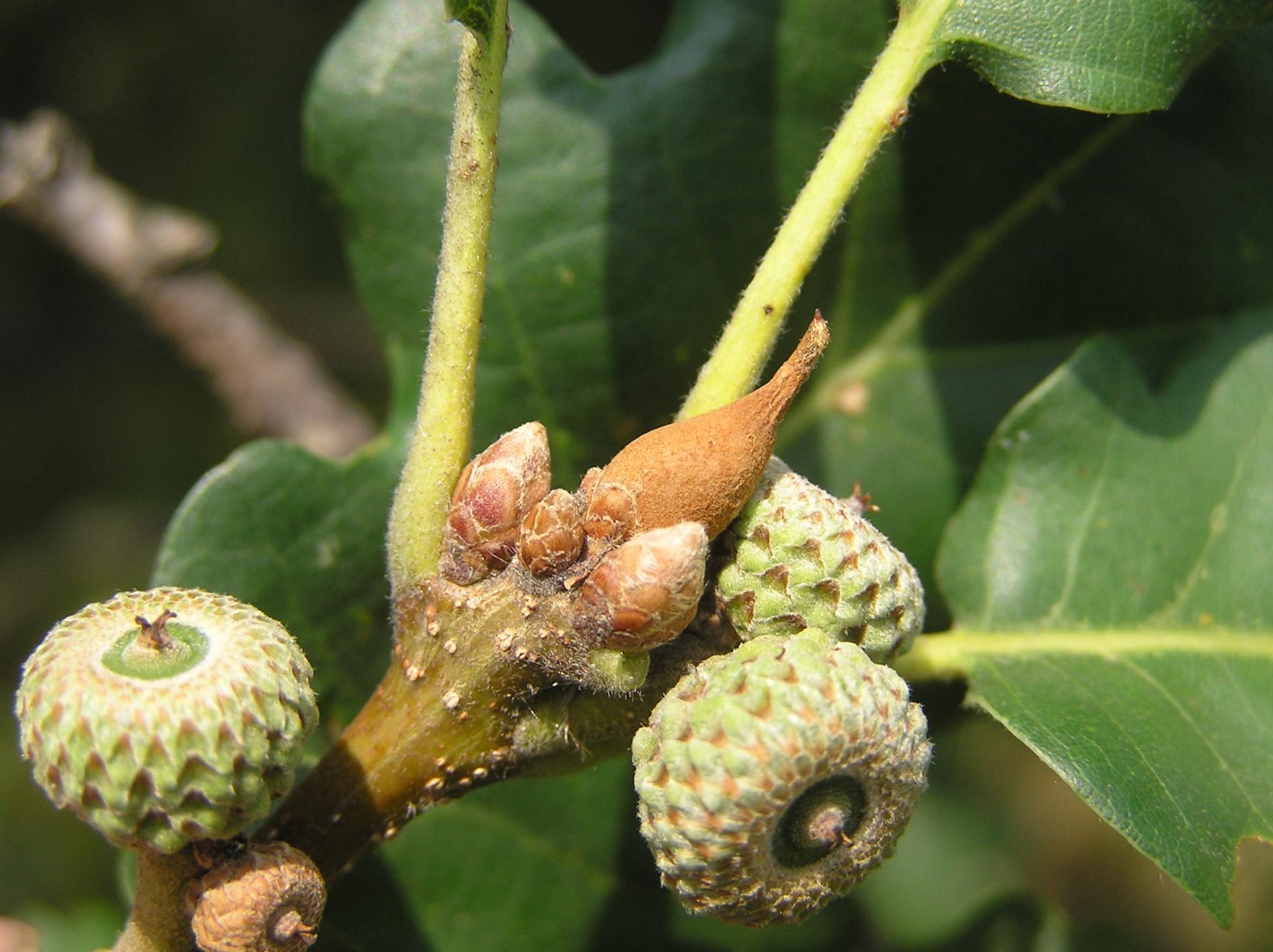
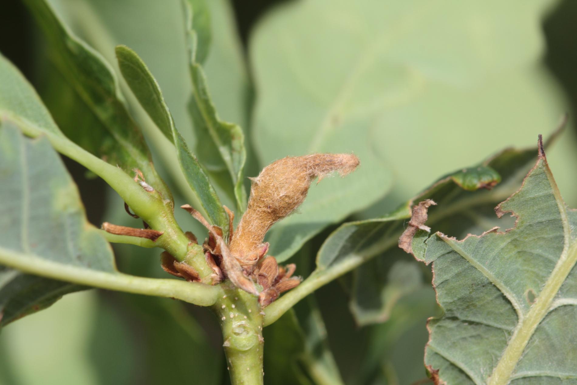
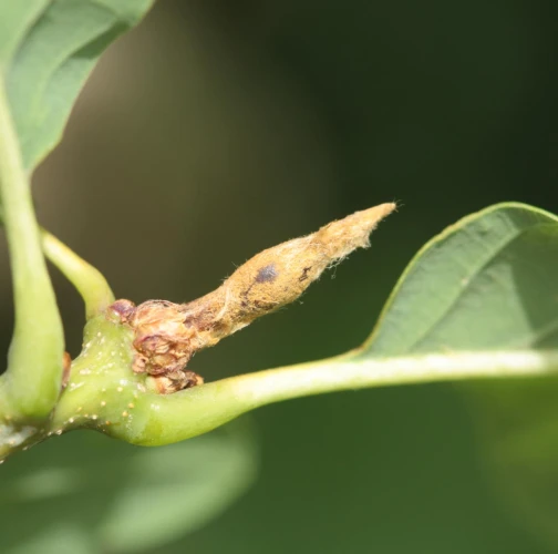
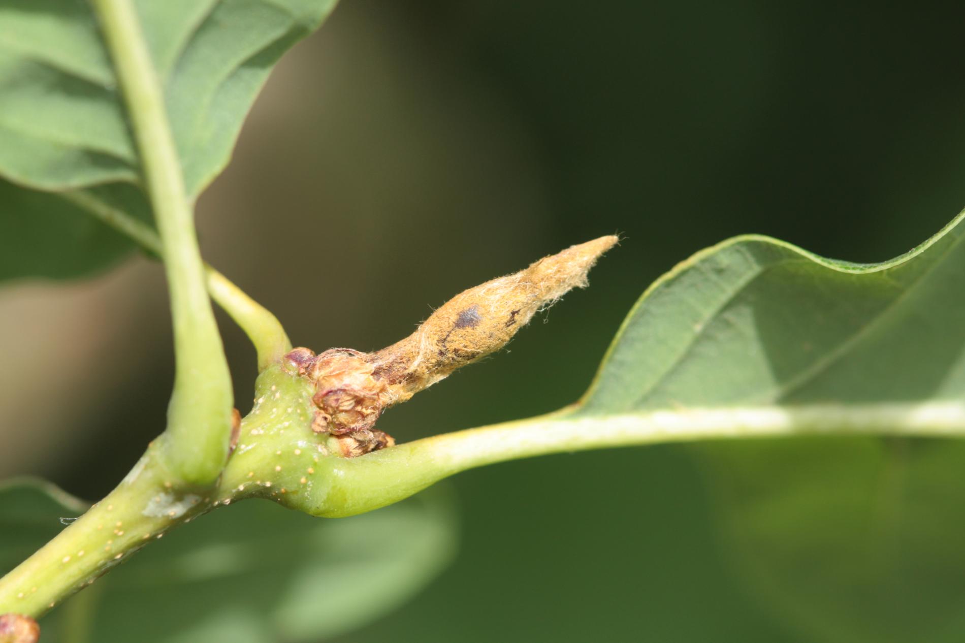
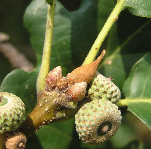
Medzi púčikmi na konci vetvičky sa vytvára fľaškovitá zdurenina veľkosti 0,5 – 2,0 cm. Je hnedej farby a má plstený, jemne chlpatý povrch. Chĺpky sa po vyschnutí hálky strácajú. Na jeseň, po opadnutí listov sa dajú ľahšie spozorovať. Osička hálku opúšťa okrúhlym výletovým otvorom na jej bočnej strane.
Symptóm
Medzi púčikmi na konci vetvičky - fľaškovitá zdurenina veľkosti 0,5 – 2,0 cm. Je hnedej farby a má plstený, jemne chlpatý povrch.
Ohrozené dreviny: Dub
Miesto poškodenia: Vetva
Významnosť: Málo významný
Kategória škodcov: Hmyz
Zistený na Slovensku: Áno
Invázny druh: Nie
Zistený v EÚ: Áno
Pridaj komentár: Hrčiarka Andricus solitarius
Mapa výskytu: Hrčiarka Andricus solitarius
Legenda:

Body verifikované expertom

Neverifikované body




