Hrčiarka Andricus inflator
Andricus inflator
Popis druhu
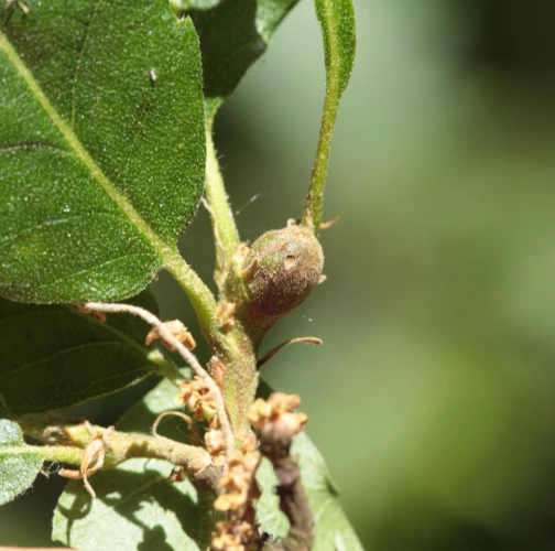
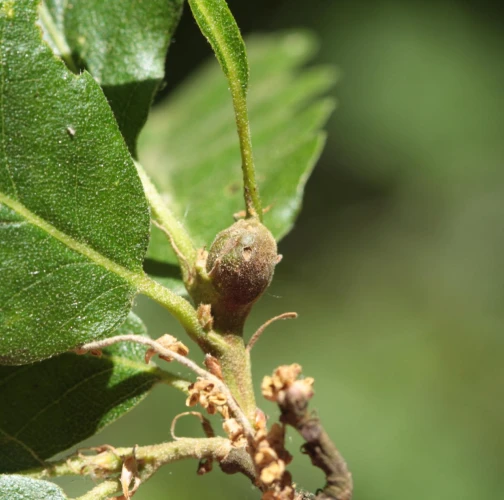
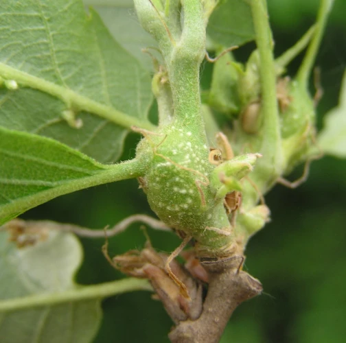
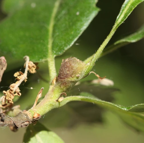
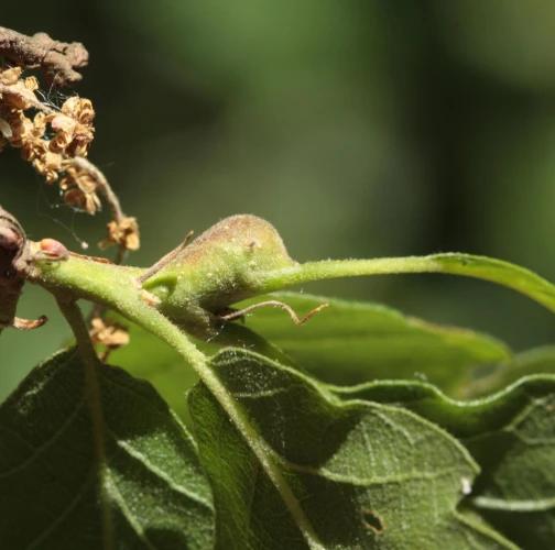
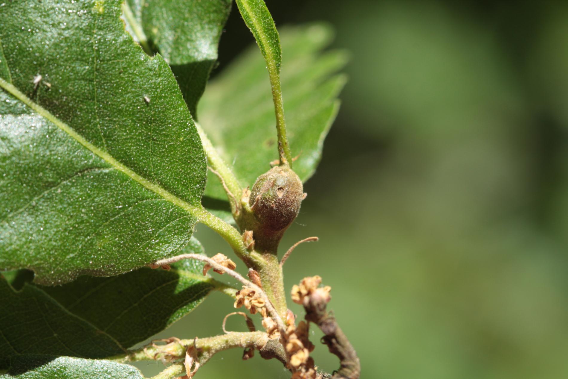
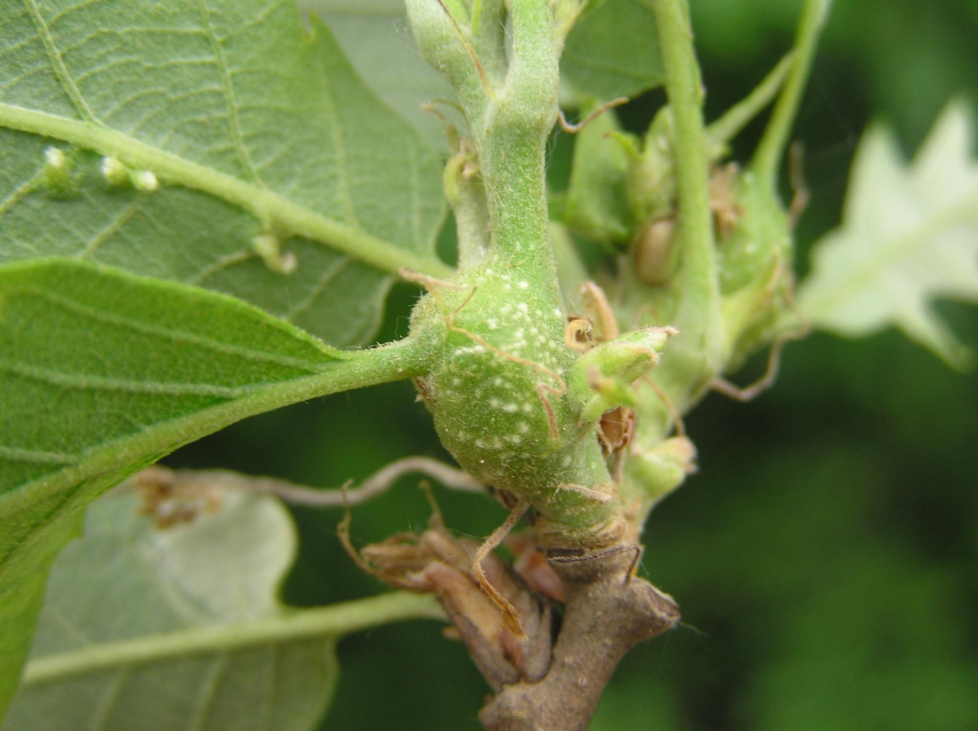
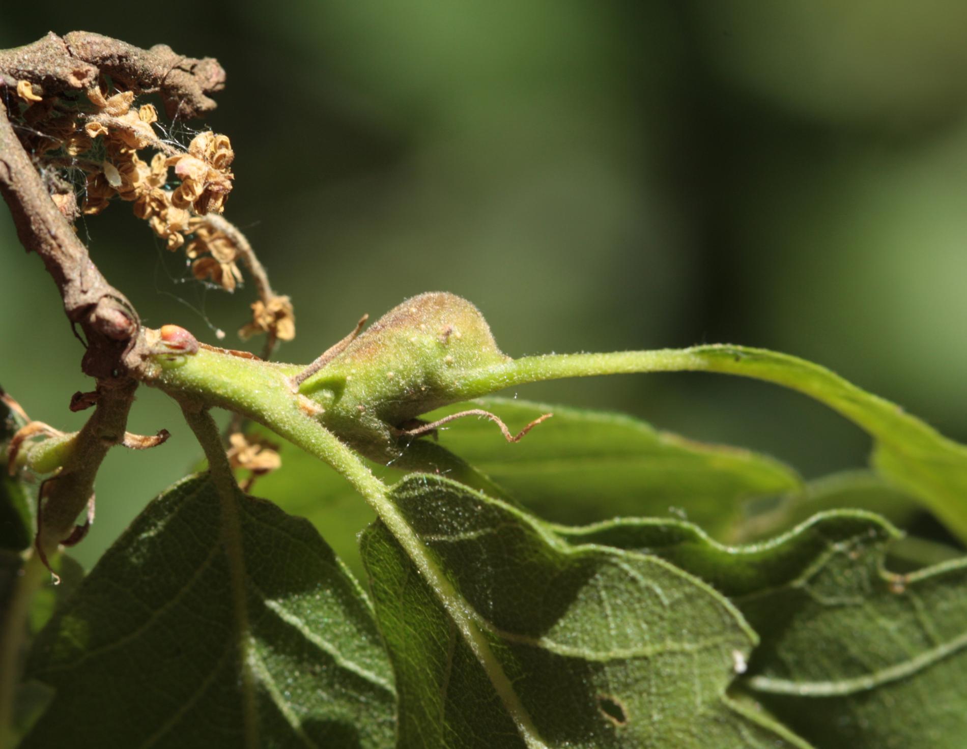
Na vetvičke sa malá súdkovitá zdurenina veľká cca 1 cm. Vo vnútri žije v strede len jedna larva. Hálkou často prerastajú listy.
Symptóm
Na vetvičke sa malá súdkovitá zdurenina veľká cca 1 cm.
Zistený v EÚ: Áno
Pridaj komentár: Hrčiarka Andricus inflator
Mapa výskytu: Hrčiarka Andricus inflator
Legenda:

Body verifikované expertom

Neverifikované body




