Hrčiarka Andricus grossulariae
Andricus grossulariae (=mayri)
Popis druhu
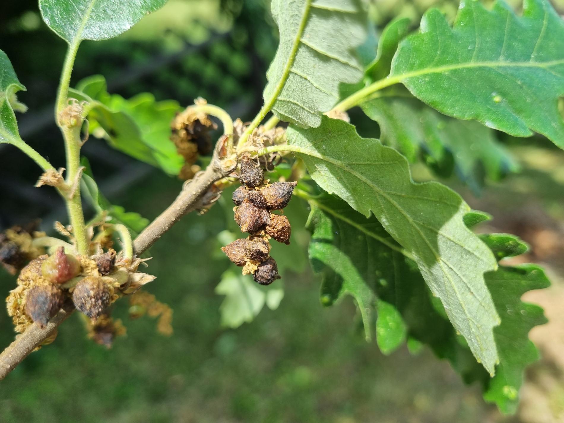
Andricus grossulariae je hálkotvorná osa, ktorá spôsobuje charakteristické hálky na čiaške žaluďov na duboch (Quercus spp.). Je známe aj pod menom Andricus mayri. Hálky nepohlavnej generácie sa vyvíjajú v žaluďoch, pričom zostávajú takmer úplne skryté v čiaške alebo púčiku a na povrchu majú zväzok zelených, dužinatých výrastkov. Pohlavná generácia vytvára drobné, guľovité hálky na samčích jahňadách Quercus cerris, často sa vyskytujúce v zhlukoch. Tento druh je monofágny a napáda najmä Quercus cerris, Q. frainetto, Q. infectoria, Q. lusitanica, Q. petraea, Q. pubescens, Q. pyrenaica a Q. robur. Je rozšírený po celej Európe, predovšetkým v miernom a teplom pásme. Hoci hálky vážne nepoškodzujú stromy, ich vysoká početnosť môže ovplyvniť tvorbu žaluďov a v niektorých prípadoch deformovať kvety.
Symptóm
Hálky nepohlavnej generácie sú guľovité, čiastočne ponorené do čiašky žaluďa s dužinatými výrastkami na povrchu. Pohlavná generácia vytvára malé, chlpaté, guľovité opuchy na samčích jahňadách, často v hustých zhlukoch.
Ohrozené dreviny: Dub
Miesto poškodenia: List/ihlica
Významnosť: Málo významný
Kategória škodcov: Hmyz
Zistený na Slovensku: Áno
Invázny druh: Nie
Zistený v EÚ: Áno
Pridaj komentár: Hrčiarka Andricus grossulariae
Mapa výskytu: Hrčiarka Andricus grossulariae
Legenda:

Body verifikované expertom

Neverifikované body




