Hrčiarka Andricus curvator
Andricus curvator
Popis druhu
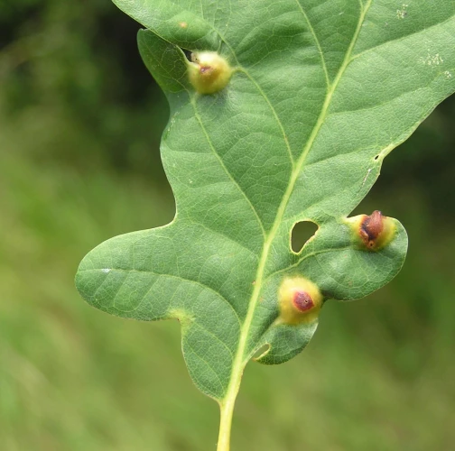
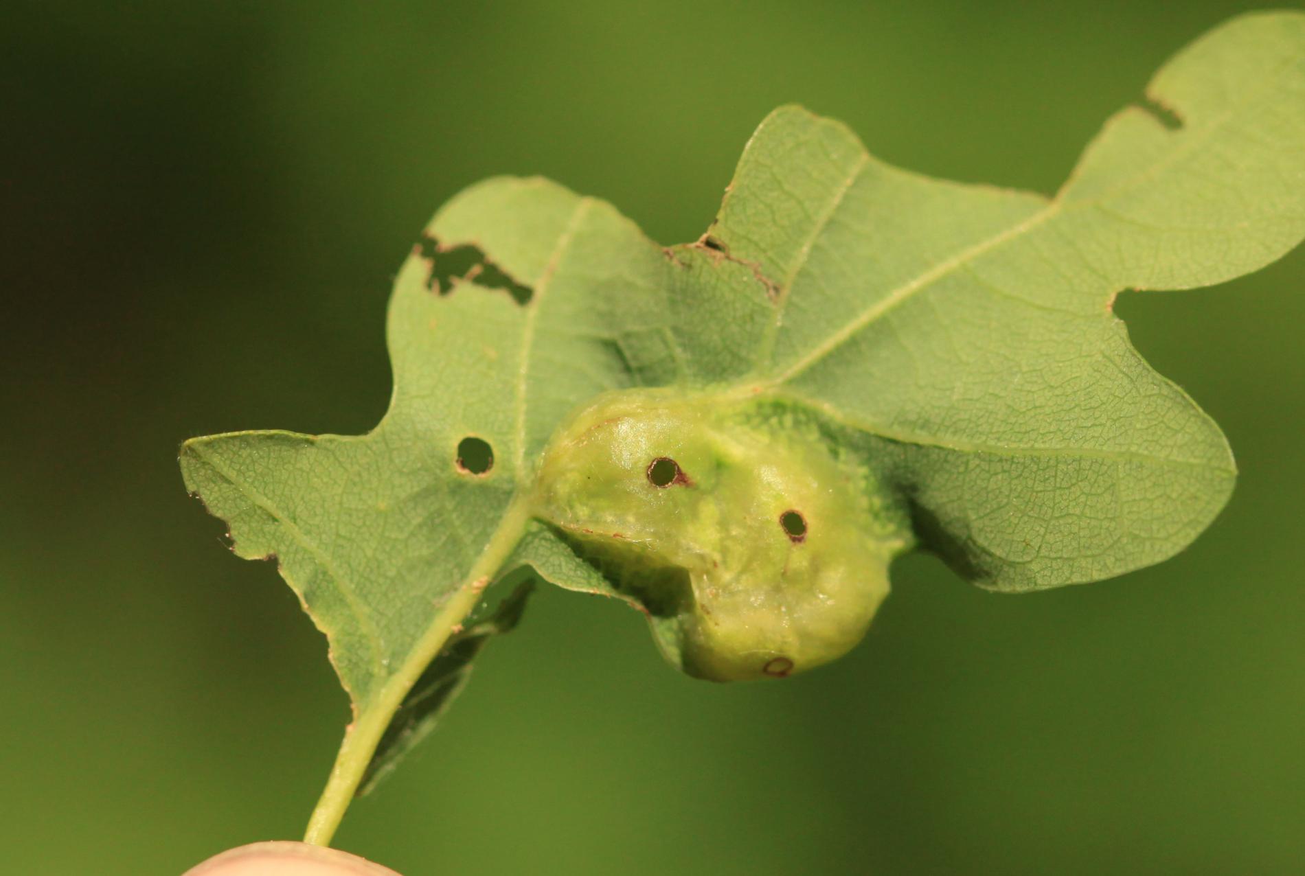
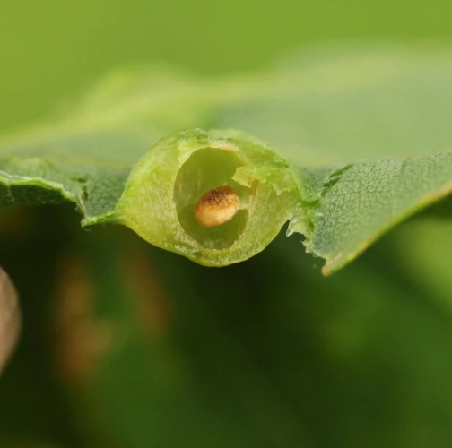
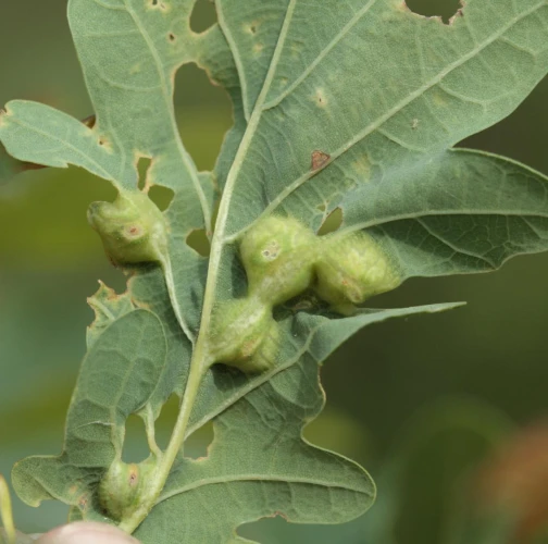
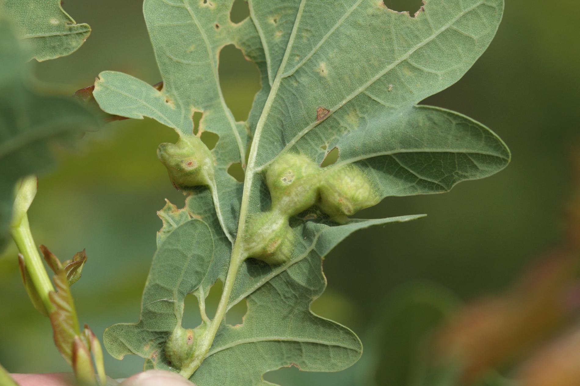
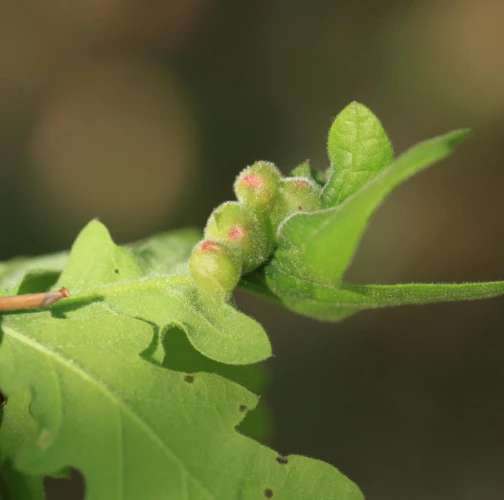
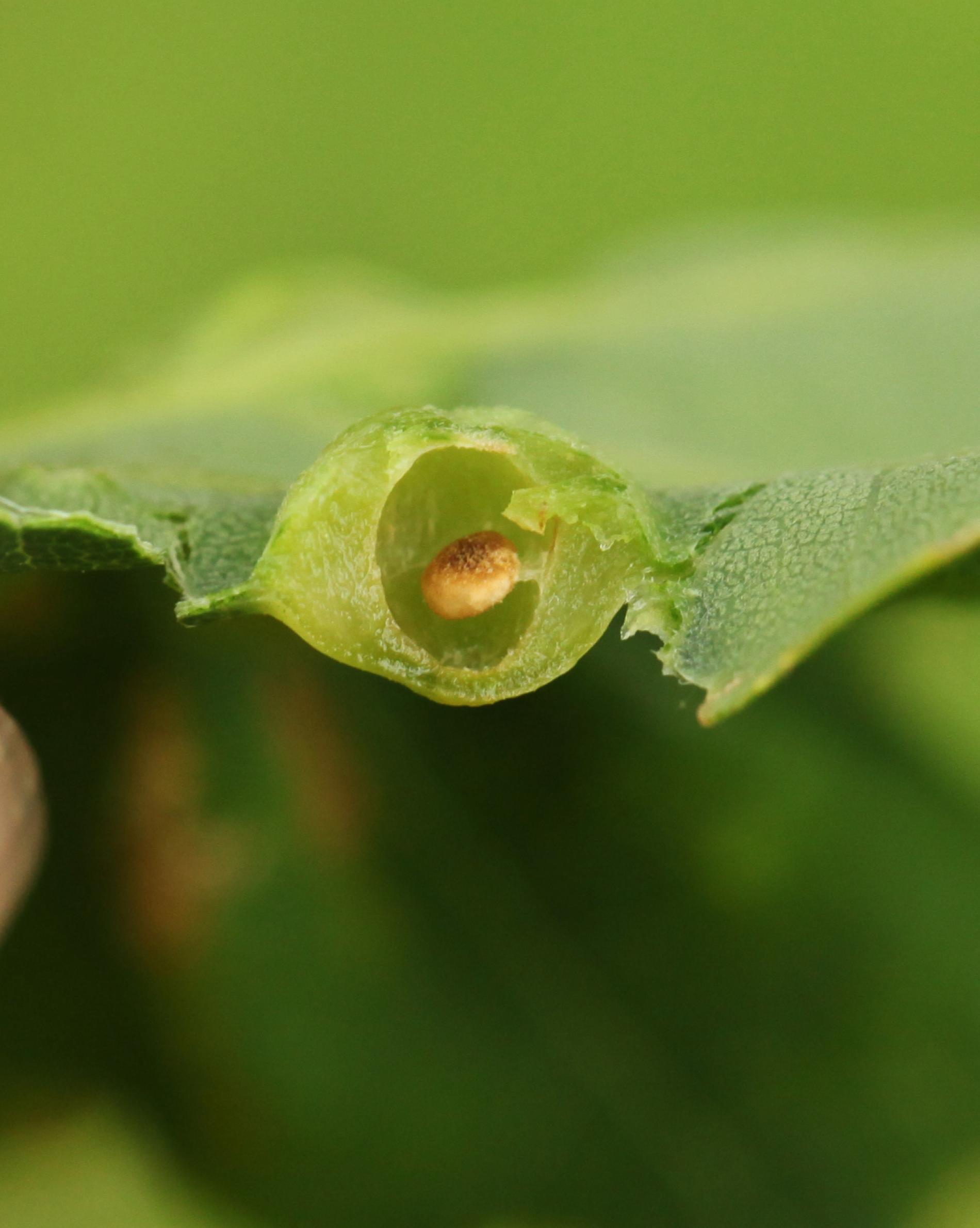
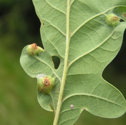
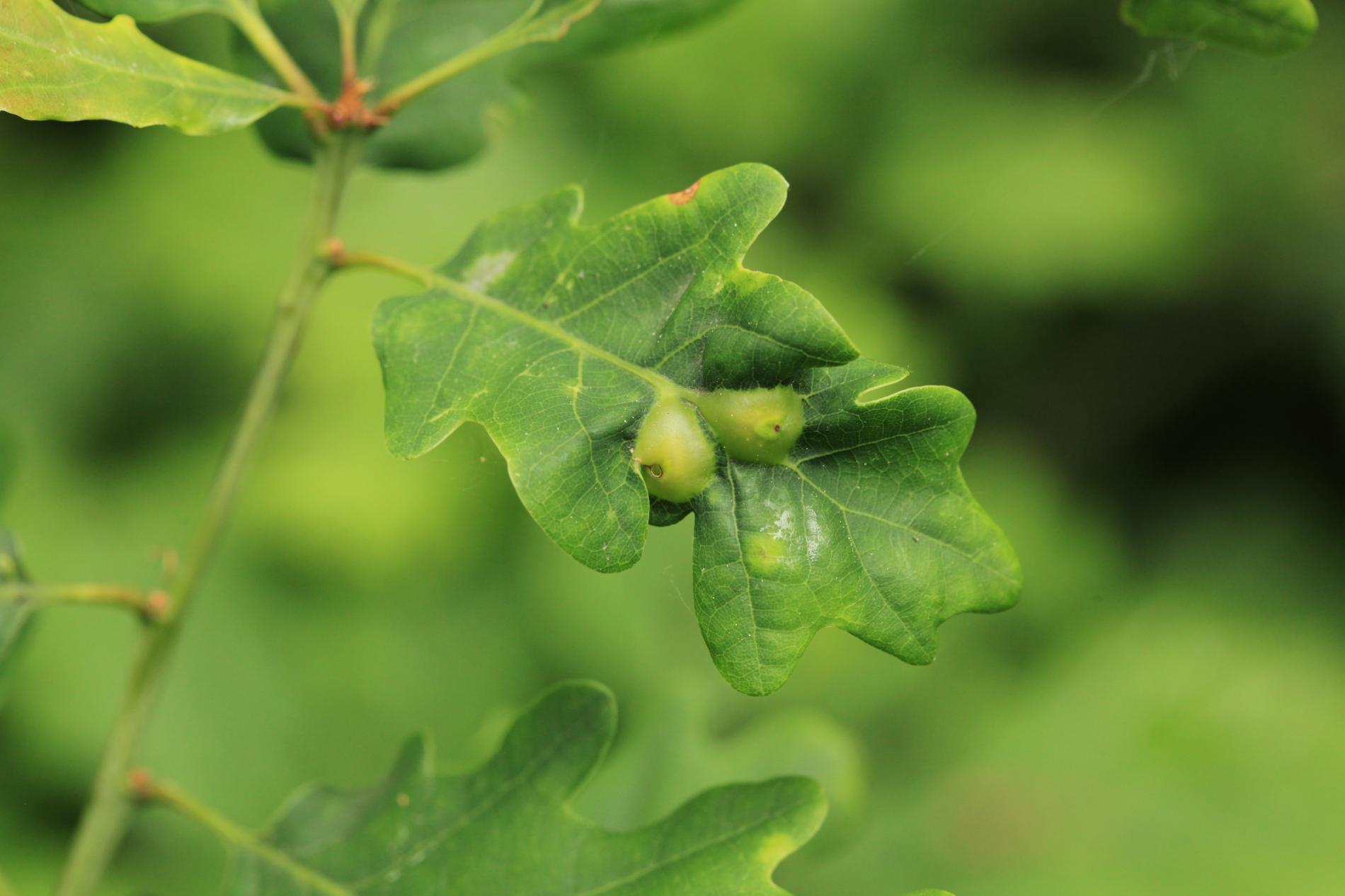
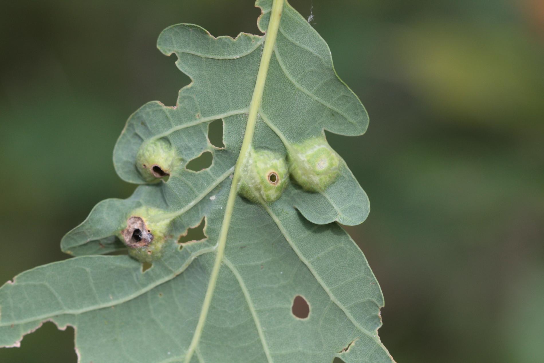
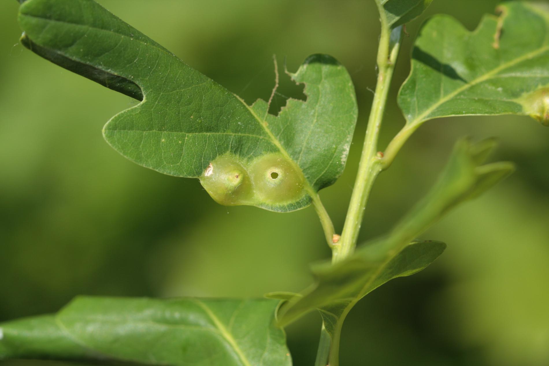
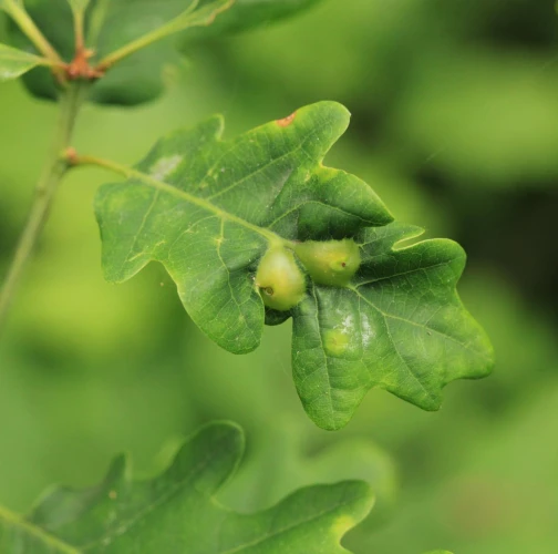
Na listoch sa tvoria zelené, asi 5 mm veľké, hrčkám podobné hálky. Ich vrchná časť je hnedočervená. Hálky sú viditeľné z obidvoch strán listu. Nachádzajú sa na žilke, menej často v medzižilovom priestore. Larva žije v hálke, kde sa aj kuklí. Po uschnutí hálky ju dospelá osička opúšťa. Imága sa objavujú na jar v marci a v apríli. Druhá (sexuálna) generácia potom v júni vytvára súdočkovitý útvar vedľa púčika. Na juhu Európy sa vyskytuje aj na iných druhoch dubov.
Symptóm
Na listoch sa tvoria zelené, asi 5 mm veľké, hrčkám podobné hálky. Ich vrchná časť je hnedočervená. Hálky sú viditeľné z obidvoch strán listu. Nachádzajú sa na žilke, menej často v medzižilovom priestore. Druhá (sexuálna) generácia potom v júni vytvára hnedý, súdočkovitý útvar vedľa púčika.
Ohrozené dreviny: Dub
Miesto poškodenia: List/ihlica
Významnosť: Málo významný
Kategória škodcov: Hmyz
Zistený na Slovensku: Áno
Invázny druh: Nie
Zistený v EÚ: Áno
Pridaj komentár: Hrčiarka Andricus curvator
Mapa výskytu: Hrčiarka Andricus curvator
Legenda:

Body verifikované expertom

Neverifikované body




