Hrčiarka Acericecis campestre
Acericecis campestre
Popis druhu
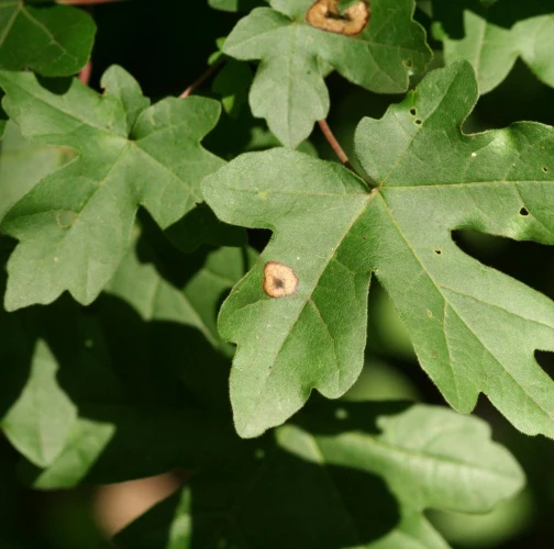
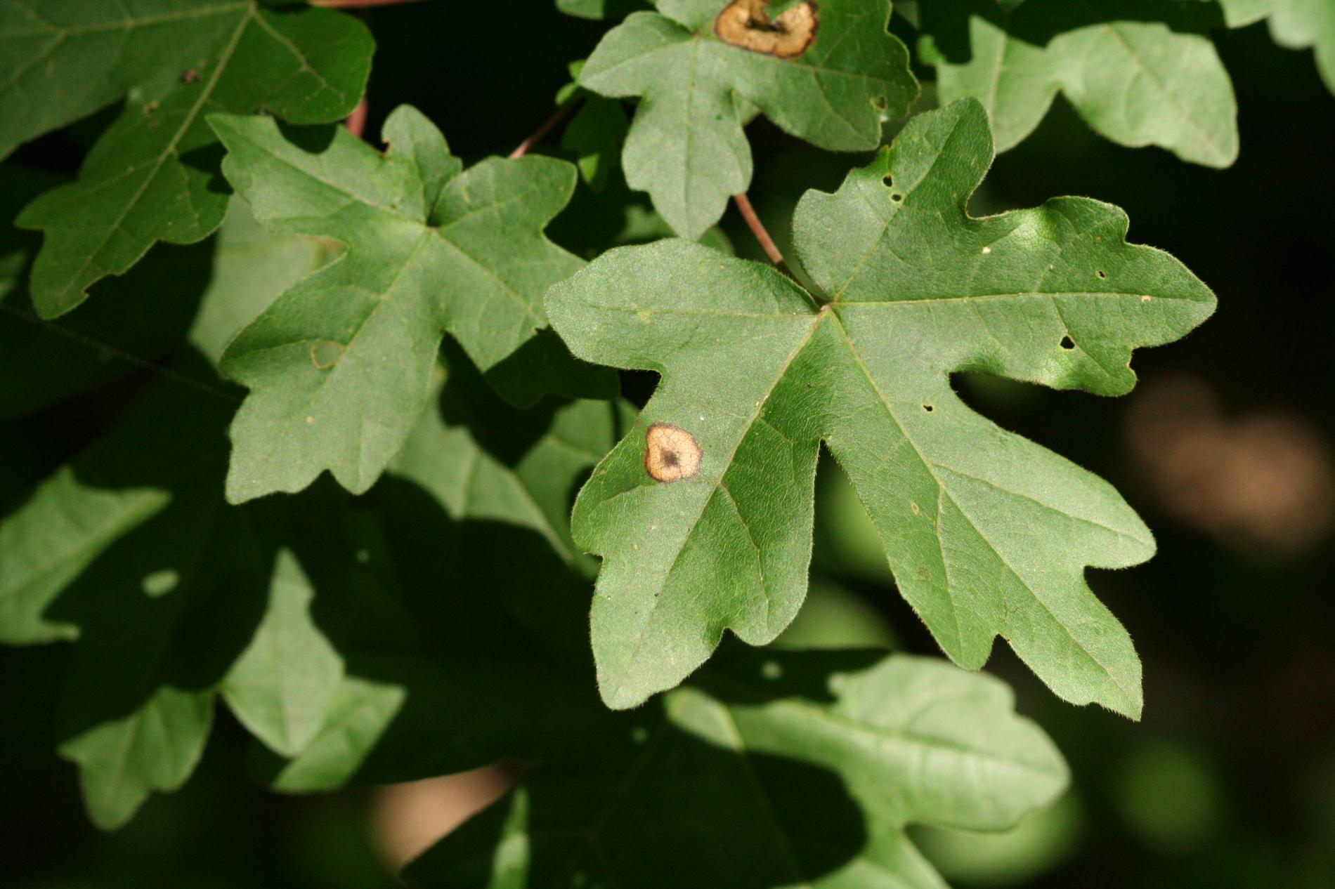
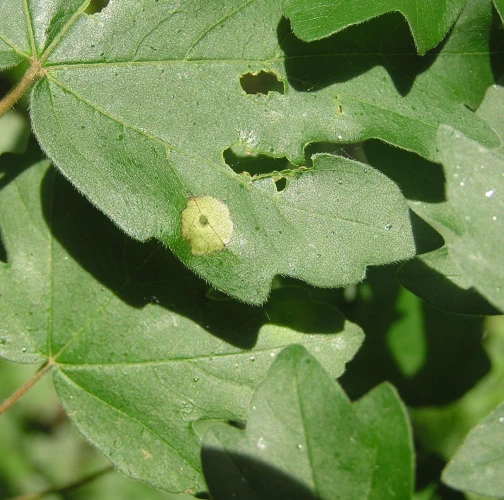
Hrčiarka Acericecis campestre je malý druh dvojkrídlovca, podobný komáru, len mnoho násobne menší. Na spodnej strane listu žije jedna larva v malom záreze; na vrchnej strane je nad miestom výskytu larvy malý výrastok, obyčajne menší ako 1 mm. Okolo tohto miesta sa vytvorí žltá zóna s priemerom približne 1 cm. Po odchode larvy z výrastku zostáva žltá škvrna, ktorá sa postupne zvädnutím vysuší. Larva je bielej farby, takmer priesvitná, krátka a široká. Druh má do roka jednu generáciu a kuklí sa v pôde. Žije len na javory poľnom (Acer campestre).
Symptóm
Okrúhla škvrna na listoch s tmavšou bodkou v strede. Asi 1 cm v priemere.
Ohrozené dreviny: Javor
Miesto poškodenia: List/ihlica
Významnosť: Málo významný
Kategória škodcov: Hmyz
Zistený na Slovensku: Áno
Invázny druh: Nie
Pridaj komentár: Hrčiarka Acericecis campestre
Mapa výskytu: Hrčiarka Acericecis campestre
náhľad mapy pre tlačLegenda:

Body verifikované expertom

Neverifikované body
Pozorovaný užívateľmi na týchto drevinách
Najviac pozorovaní druhu
Posledné pozorovania
V systéme je celkom 2 pozorovaní druhu Acericecis campestre




