en Prihlásenie | Registrácia | Zoznam prispievateľov

« Späť na výpis

Fyloxéra viničová

Viteus (Dactylosphaera) vitifoliae

Popis druhu

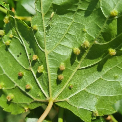
Fyloxéra viničová (Viteus vitifoliae alebo Dactylosphaera vitifolii) je významný a nebezpečný škodca viníc, ktorý pochádza zo Severnej Ameriky a je zavlečený do mnohých oblastí sveta vrátane Európy, Afriky, Južnej Ameriky a Ázie. Táto malá „voška“ spôsobila významnú redukciu pestovania viniča v mnohých častiach sveta. Tento druh hmyzu poškodzuje vinič tvorbou hálok na listoch (kladie vajíčka na povrch mladých listov kde sa následne vytvárajú hálky), a spôsobuje aj poškodenie na koreňoch kde sa vytvárajú tiež hálkovité útvary. Táto činnosť môže viesť k odumretiu kríku viniča počas niekoľkých rokov. Obranné opatrenia zahŕňajú likvidáciu napadnutých vinohradov, pestovanie odolných odrôd viniča, správnu výživu a pravidelné ošetrovanie viniča.  Fyloxéra viničová spôsobuje škody v larválnom aj dospelom štádiu. Napriek veľkému úsiliu zostáva Viteus vitifoliae  významnou hrozbou pre pestovanie viniča, najmä v regiónoch, kde sa pestujú náchylné odrody.

Symptóm

Malé hrbolčeky – hálky - alebo nepravidelné výrastky na povrchu mladých listov, spôsobené cicaním lariev fyloxéry. Hálkové útvary na koreňoch, ktoré vznikajú pri saní nymfami fyloxéry, čo môže viesť k rozpadu koreňov a prípadnému úhynu viniča. Celkové oslabenie a pokles vitality viniča, prejavujúci sa spomalením rastu, zníženou úrodou a v ťažkých prípadoch až úhynom viniča.

Ohrozené dreviny: Vinič

Miesto poškodenia: List/ihlica

Významnosť: Veľmi významný

Kategória škodcov: Hmyz

Zistený na Slovensku: Áno

Invázny druh: Áno

Zistený v EÚ: Áno


Pridaj komentár: Fyloxéra viničová


Mapa výskytu: Fyloxéra viničová

náhľad mapy pre tlač

Legenda:

1

Body verifikované expertom

3

Neverifikované body

Pozorovaný užívateľmi na týchto drevinách

 

Najviac pozorovaní druhu


Posledné pozorovania

V systéme je celkom 1 pozorovaní druhu Viteus (Dactylosphaera) vitifoliae

Milan Zubrik

Viteus (Dactylosphaera) vitifoliaeFyloxéra viničová
Milan Zubrik
Počet hlasov: 0
Uverejnené: 18.9.2023
Drevina: Vinič


Podobné poškodenie

Roztoč Vlnovník lipový

Roztoč Vlnovník lipový

Nosánik viničový

Nosánik viničový

Múčnatka jabloňová

Múčnatka jabloňová

Vlnovník viničový

Vlnovník viničový

Návrat hore