Dutinárka Pemphigus vesicarius
Pemphigus vesicarius
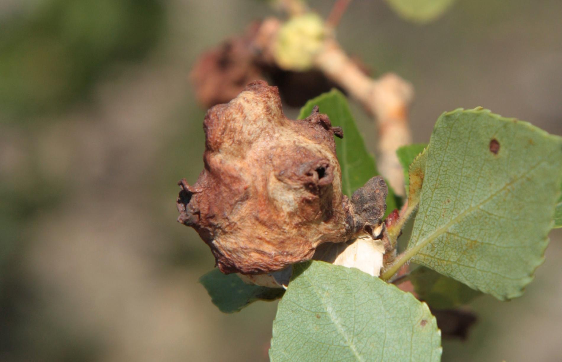
Popis druhu
Kolónia tejto vošky žije v pľuzgierovitej, tenkostennej, nepravidelne tvarovanej hálke s priemerom 3-4 cm. Zelená, neskôr hnedá až čierna. Hálka neopadáva a vydrží suchá na strome niekoľko rokov. Hostiteľskou drevinou je topoľ čierny a jeho hybridy. Hojnejšia na juhu Európy. Teplomilný druh.
Symptóm
Pľuzgierovitá, tenkostenná, nepravidelne tvarovaná hálka s priemerom 3-4 cm. Zelená, neskôr hnedá až čierna.
Ohrozené dreviny: Topoľ
Miesto poškodenia: Vetva
Významnosť: Málo významný
Kategória škodcov: Hmyz
Zistený na Slovensku: Áno
Invázny druh: Nie
Zistený v EÚ: Áno
Pridaj komentár: Dutinárka Pemphigus vesicarius
Mapa výskytu: Dutinárka Pemphigus vesicarius
Legenda:

Body verifikované expertom

Neverifikované body




