Dutinárka Pemphigus populi
Pemphigus populi
Popis druhu
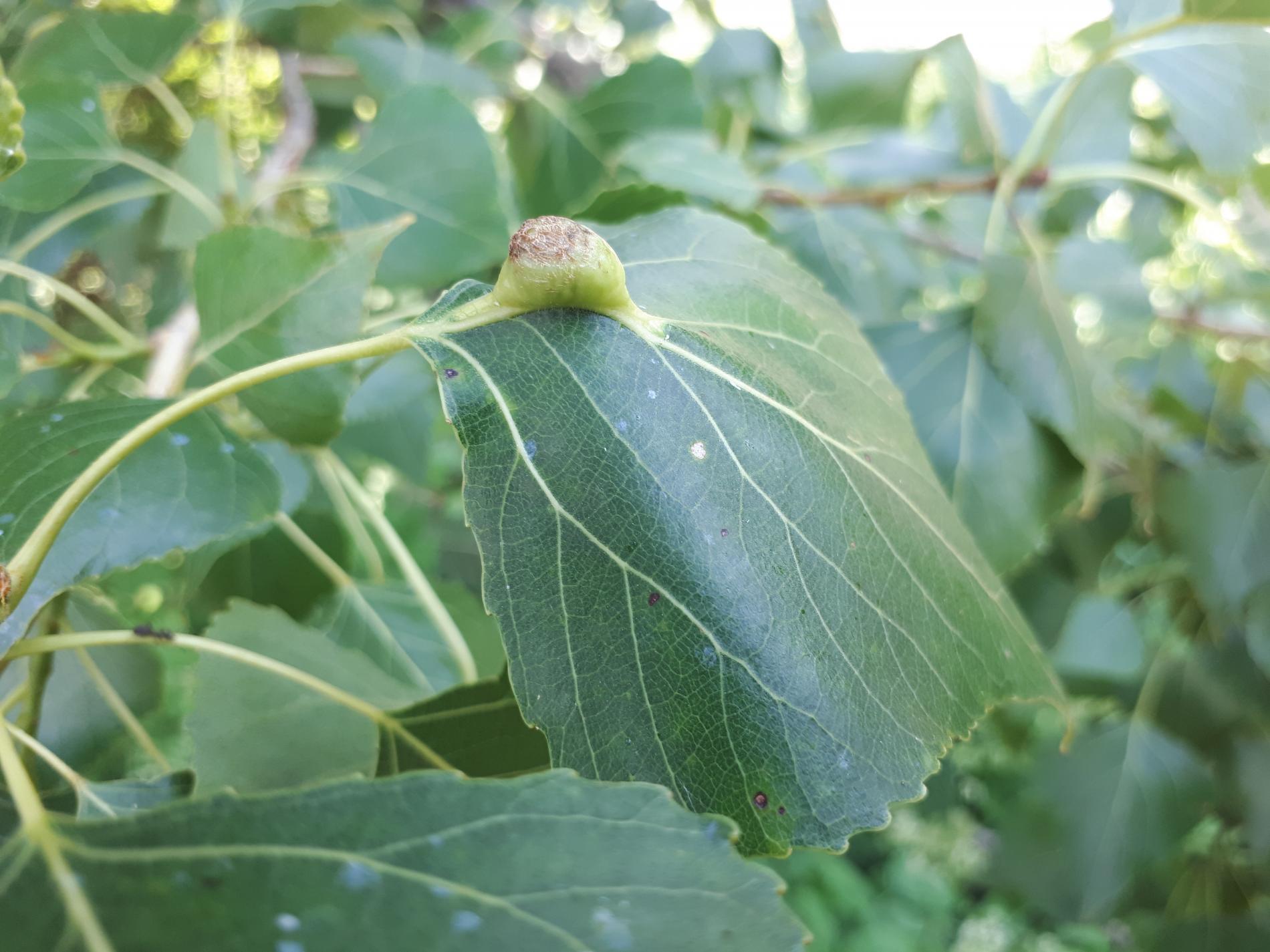
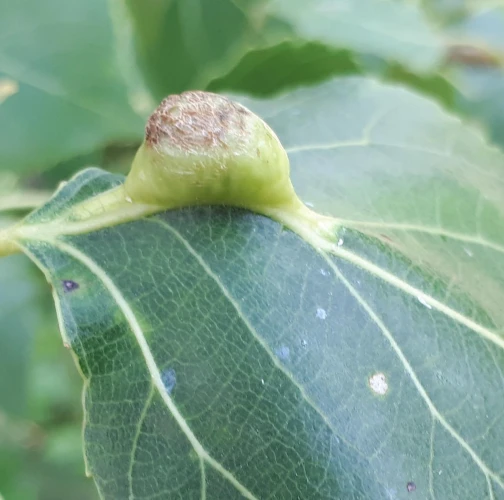
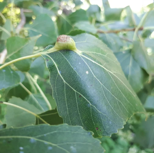
Stredná žilka je na vrchnej strane zhrubnutá, často zohnutá a na nej sa vytvára hálka veľkosti lieskového orecha. Hálka býva 10-25 mm dlhá a 5-8 mm hrubá. Na spodnej strane listu sa nachádza štrbinový otvor. V hálke žijú larvy vošiek, z ktorých sa vyvíjajú samičky. Tieto sa objavujú v júni a migrujú ku koreňom svojho alternatívneho hostiteľa, rastliny v radu Asteraceae, kde sa vyvíja letná generácia. Vplyv na zdravotný stav drevín je zanedbateľný. Znižuje estetickú hodnotu dreviny. Hostiteľskou drevinou je topoľ čierny, t. biely a ich hybridy. Topoľové lesy, plantáže, škôlky, parky a záhrady.
Symptóm
Guľovitá hálka v strednej časti strednej žilky na vrchnej strane listu takmer vo veľkosti lieskového orecha. Niekedy červená alebo červenkastá, často zelená.
Ohrozené dreviny: Topoľ
Miesto poškodenia: List/ihlica
Významnosť: Málo významný
Kategória škodcov: Hmyz
Zistený na Slovensku: Áno
Invázny druh: Nie
Zistený v EÚ: Áno
Pridaj komentár: Dutinárka Pemphigus populi
Mapa výskytu: Dutinárka Pemphigus populi
náhľad mapy pre tlačLegenda:

Body verifikované expertom

Neverifikované body
Pozorovaný užívateľmi na týchto drevinách
Najviac pozorovaní druhu
Posledné pozorovania
V systéme je celkom 1 pozorovaní druhu Pemphigus populi




