Dutinárka Pemphigus immunis
Pemphigus immunis
Popis druhu
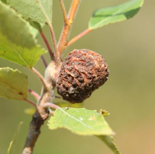
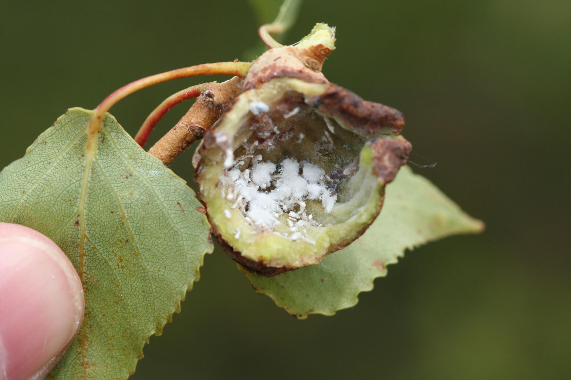
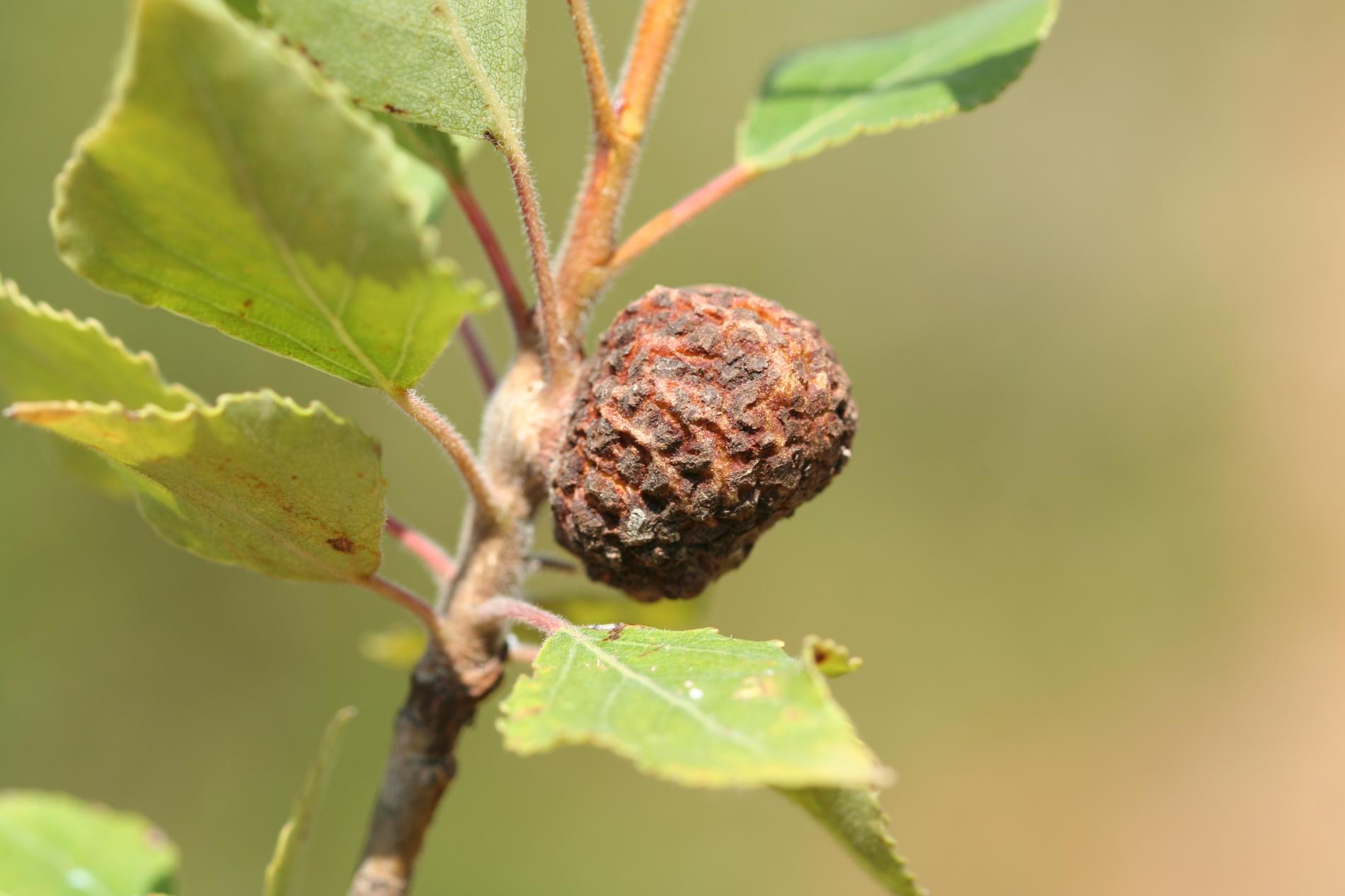
Táto voška vytvára zdrevnatené, zelené, červené, neskôr hnedé hálky na konáriku topoľov Populus spp. Hálky majú priemer asi 20 - 40 mm. Vnúti sú duté. Vyvíjajú sa v nich vošky, ktoré hálku opúšťajú bočnou, podlhovastou štrbinou. Bývajú často tak hojné, že strom je nimi doslova obsypaný.
Symptóm
Okrúhle až elipsovité hálky majú priemer asi 20 - 40 mm. Hálky sú zelené, červené, neskôr hnedé, zdrevnatené.
Ohrozené dreviny: Topoľ
Miesto poškodenia: List/ihlica
Významnosť: Málo významný
Kategória škodcov: Hmyz
Zistený na Slovensku: Áno
Invázny druh: Nie
Pridaj komentár: Dutinárka Pemphigus immunis
Mapa výskytu: Dutinárka Pemphigus immunis
Legenda:

Body verifikované expertom

Neverifikované body




