en Prihlásenie | Registrácia | Zoznam prispievateľov

« Späť na výpis

Dutinárka listová

Pemphigus populinigrae

Popis druhu

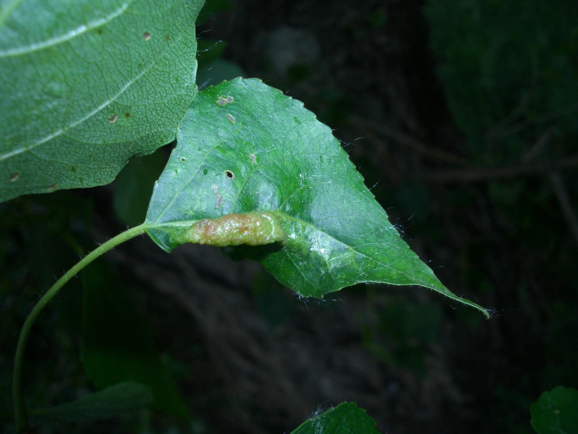
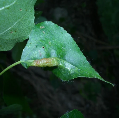
Pemphigus populinigrae, známa ako dutinárka listová, spôsobuje na listoch topoľa (najmä na topoli čiernom - Populus nigra a topoli bielom - Populus alba) tvorbu charakteristických hálok. Tieto hálky sú široké, vrecovitého tvaru a majú žltkastú až matne červenkastú farbu. Vznikajú na hlavnej listovej žilke na hornej strane listov a na spodnej strane sa nachádza štrbinový otvor. Vošky sa vyvíjajú v hálkach počas jari a neskôr sa okrídlené generácie presúvajú na sekundárnych hostiteľov, ktorými sú rastliny z rodov Filago a Gnaphalium (nevädzovité).

Druh je rozšírený v celej Európe až po východnú Sibír. Hálky na topoľoch nepredstavujú vážne nebezpečenstvo, ale môžu narúšať estetický vzhľad stromov. Na sekundárnych hostiteľoch môžu kolónie vošiek spôsobovať oslabenie rastu a chlorózu. Medovica vylučovaná voškami môže podporovať rozvoj čiernych plesní, čím sa zhoršuje zdravotný stav napadnutých rastlín.

Symptóm

Na topoľoch sa vytvárajú vrecovité hálky (1–2 cm) na hlavnej listovej žilke, sfarbené do žlta alebo červenkasta. Sú hladké, niekedy čiastočne rozdelené.

 

 

Ohrozené dreviny: Topoľ

Miesto poškodenia: List/ihlica

Významnosť: Málo významný

Kategória škodcov: Hmyz

Zistený na Slovensku: Áno

Invázny druh: Nie

Zistený v EÚ: Áno


Pridaj komentár: Dutinárka listová


Mapa výskytu: Dutinárka listová

Legenda:

1

Body verifikované expertom

3

Neverifikované body


Podobné poškodenie

Dutinárka topoľová

Dutinárka topoľová

Listovníček topolový

Listovníček topolový

Piadivka osiková

Piadivka osiková

Dutinárka Pemphigus immunis

Dutinárka Pemphigus immunis

Návrat hore