Byľomor ružicový
Rabdophaga rosaria
Popis druhu
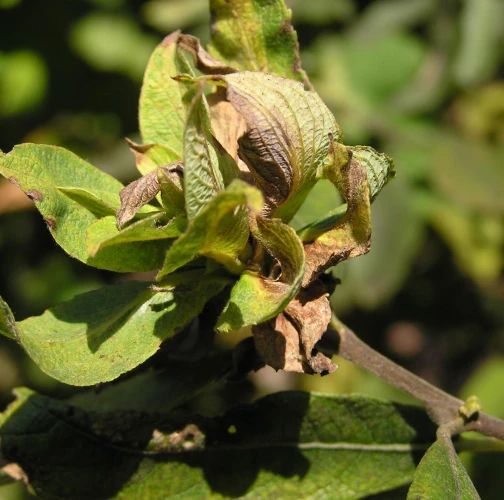
Na konci výhonkov sa vytvára zhluk 30 – 60 listov, ktoré vytvárajú kvetu ruži podobný útvar. Priemer takto nakopených listov dosahuje 30 – 50 mm. Vo vnútri žije malá asi 4 – 5 mm veľká larva škodcu. Druh má jednu generáciu do roka. Zhluk listov si zachováva svoj tvar aj v zime a listy neopadávajú. Hojná najmä v stredných polohách – okolo 500 m n. m.
Symptóm
Na konci výhonkov sa vytvára zhluk 30 – 60 listov, ktoré vytvárajú kvetu ruži podobný útvar.
Ohrozené dreviny: Vŕba
Miesto poškodenia: List/ihlica
Významnosť: Málo významný
Kategória škodcov: Hmyz
Zistený na Slovensku: Áno
Invázny druh: Nie
Zistený v EÚ: Áno
Pridaj komentár: Byľomor ružicový
Mapa výskytu: Byľomor ružicový
náhľad mapy pre tlačLegenda:

Body verifikované expertom

Neverifikované body
Pozorovaný užívateľmi na týchto drevinách
Najviac pozorovaní druhu
Posledné pozorovania
V systéme je celkom 3 pozorovaní druhu Rabdophaga rosaria




