en Prihlásenie | Registrácia | Zoznam prispievateľov

« Späť na výpis

Byľomor Macrodiplosis pustularis

Macrodiplosis pustularis

Popis druhu

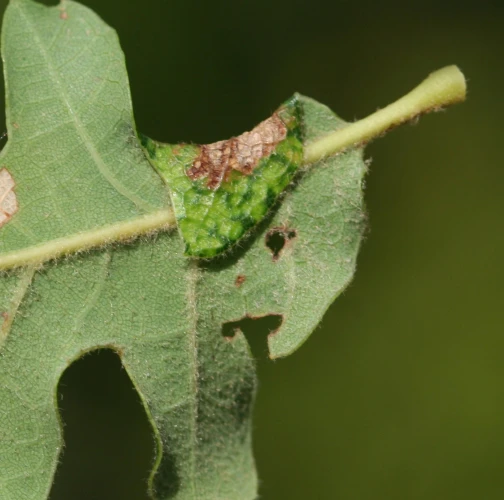
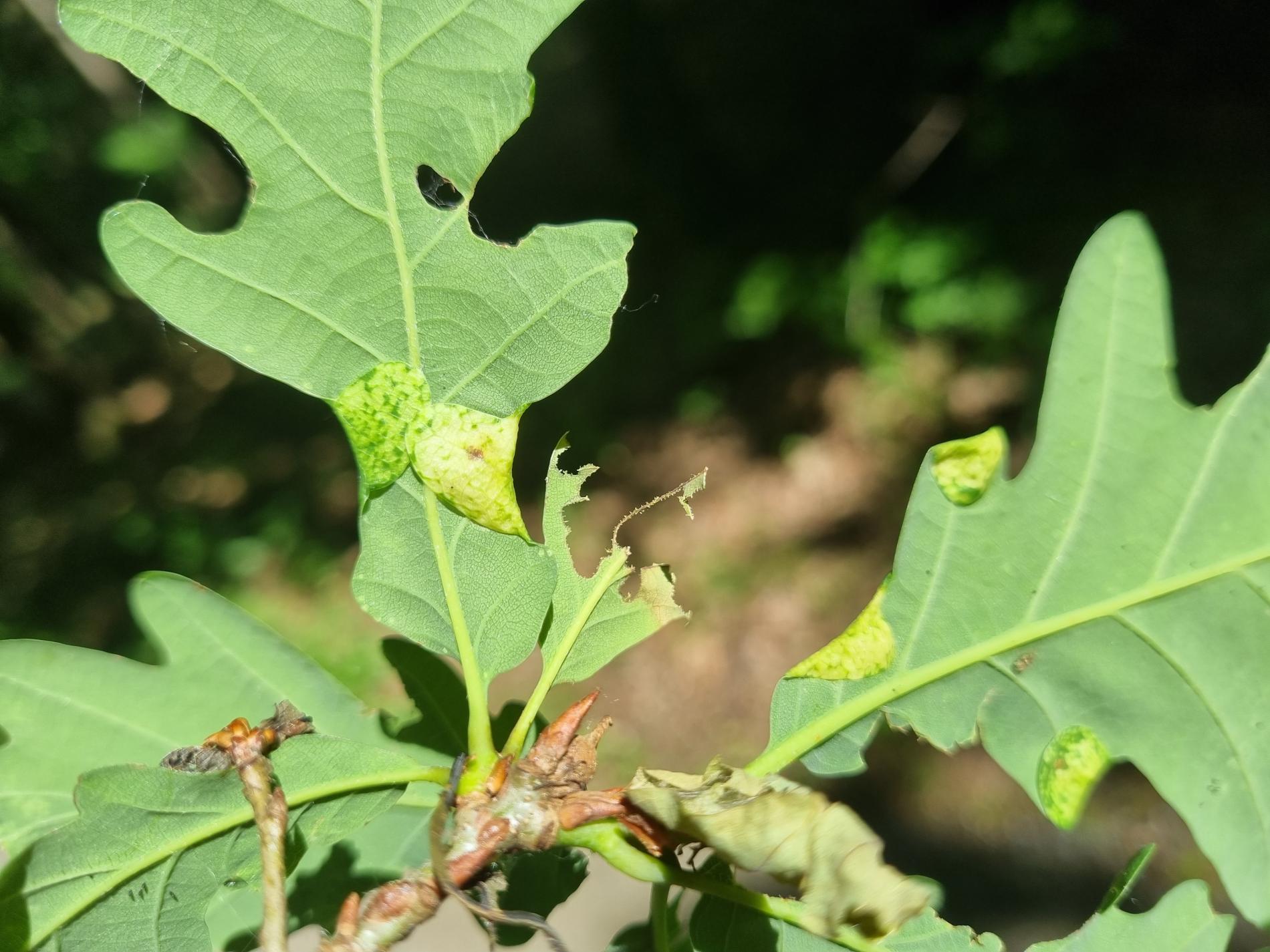
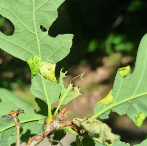
Macrodiplosis pustularis (= Macrodiplosis dryobia) je druh hálkotvorného komára patriaceho do čeľade Cecidomyiidae. Tieto drobné muchy sú známe svojím jedinečným životným cyklom, najmä schopnosťou vyvolávať tvorbu hálok na rastlinách, ktoré sú abnormálnymi výrastkami poskytujúcimi potravu a ochranu pre vyvíjajúce sa larvy. Hálky vytvorené druhom Macrodiplosis pustularis sa zvyčajne nachádzajú na listoch dubov. Larvy sa živia vo vnútri hálky, pričom konzumujú rastlinné tkanivo, ktoré bolo zmenené tak, aby vyhovovalo ich nutričným potrebám. Táto fáza trvá počas väčšiny vegetačného obdobia, po ktorom larvy zvyčajne padajú na zem, aby sa zakuklili. Hoci sa Macrodiplosis pustularis zvyčajne nepovažuje za významného škodcu, jeho hálkotvorná činnosť môže mať určitý vplyv na zdravie a estetickú hodnotu dubov, najmä ak je napadnutie veľmi silné. Hálky môžu spôsobiť deformácie listov a môžu znížiť fotosyntetickú efektivity strumu, aj keď celkový vplyv na zdravie stromu je zvyčajne minimálny.

Symptóm

Hálky sa nachádzajú na vonkajšom okraji listového laloka. Zložená časť listu sa mierne zdurí a ohýba sa nadol. Je pokrytá škvrnitým vzorom. Vo vnútri zloženého listu sa často nachádza viac lariev. Larvy žijú v liste až do júna alebo júla, keď sa zakuklia a spadnú na zem.

Ohrozené dreviny: Dub

Miesto poškodenia: List/ihlica

Významnosť: Málo významný

Kategória škodcov: Hmyz

Zistený na Slovensku: Áno

Invázny druh: Nie

Zistený v EÚ: Áno


Pridaj komentár: Byľomor Macrodiplosis pustularis


Mapa výskytu: Byľomor Macrodiplosis pustularis

Legenda:

1

Body verifikované expertom

3

Neverifikované body


Podobné poškodenie

Liskavka Crepidodera spp.

Liskavka Crepidodera spp.

Hrčiarka listová

Hrčiarka listová

Byľomor Lasioptera populnea

Byľomor Lasioptera populnea

Chochlatka dubová

Chochlatka dubová

Návrat hore