Byľomor lipový
Didymomyia tiliacea
Popis druhu
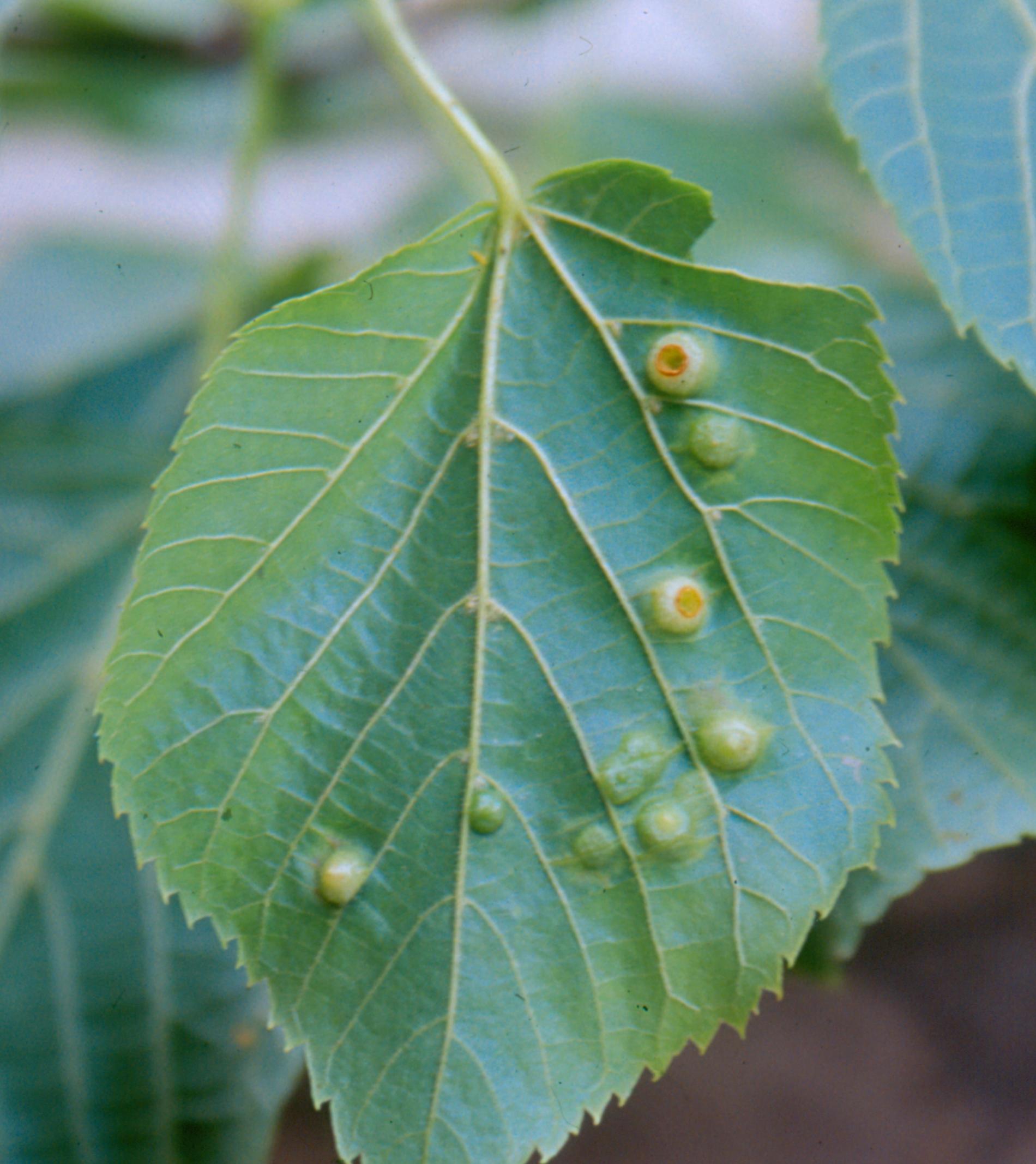
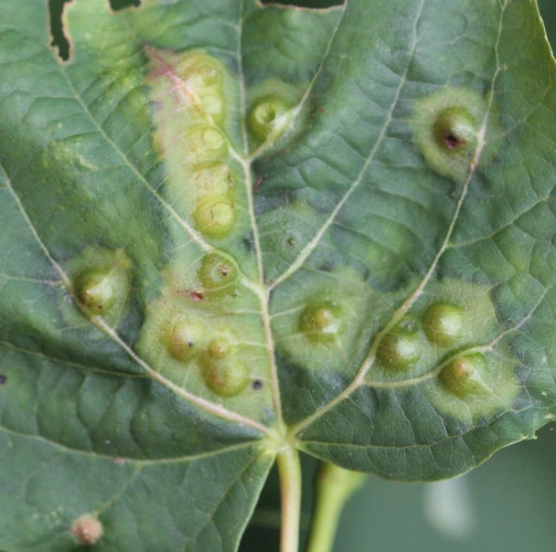
Byľomor lipový Didymomyia tiliacea, tiež známa ako Didymomyia reaumuriana, je pakomár patriaci do čeľade Diptera Cecidomyiidae. Tento škodca vyvoláva tvorbu hálok na listoch líp Tilia spp. Hálky môžu dorásť až do veľkosti 6 x 4 mm, spočiatku sa javia ako zelené a neskôr prechádzajú do hnedej alebo žltej farby. Sú viditeľné na vrchnej aj dolnej strane lipových listov. Na hornej strane možno pozorovať kužeľovité výrastky dlhé približne 2 mm, na spodnej strane sa hálky prejavujú ako menej nápadné opuchy.Spočiatku zelené, časom hálky postupne sčervenajú. Počas jesene sa hálky začnú zväčšovať a zvnútra hálky vzniká nová štruktúra v tvare kužeľa, ktorá slúži ako biotop pre jednu larvu škodcu. Larvy Didymomyia tiliacea majú žltú farbu. Po opadaní listov sa larvy zakuklia a počas jarného obdobia sa objavia imága.Prítomnosť Didymomyia tiliacea môže mať negatívny vplyv na postihnuté stromy líp. Vytvárajú sa hálky a mení sa vzhľad listov. Monitorovanie napadnutia, implementácia vhodných postupov manažmentu a pochopenie životného cyklu tohto druhu môže pomôcť pri zachovaní zdravia a vitality líp.
Symptóm
Tento škodca vyvoláva tvorbu hálok na listoch líp Tilia spp. Hálky môžu dorásť až do veľkosti 6 x 4 mm, spočiatku sa javia ako zelené a neskôr prechádzajú do hnedej alebo žltej farby. Sú viditeľné na vrchnej aj dolnej strane lipových listov. Na hornej strane možno pozorovať kužeľovité výrastky dlhé približne 2 mm, na spodnej strane sa hálky prejavujú ako menej nápadné opuchy.
Ohrozené dreviny: Lipa
Miesto poškodenia: List/ihlica
Významnosť: Málo významný
Kategória škodcov: Hmyz
Zistený na Slovensku: Áno
Invázny druh: Nie
Zistený v EÚ: Áno
Pridaj komentár: Byľomor lipový
Mapa výskytu: Byľomor lipový
Legenda:

Body verifikované expertom

Neverifikované body




