Byľomor Craneiobia corni
Craneiobia corni
Popis druhu
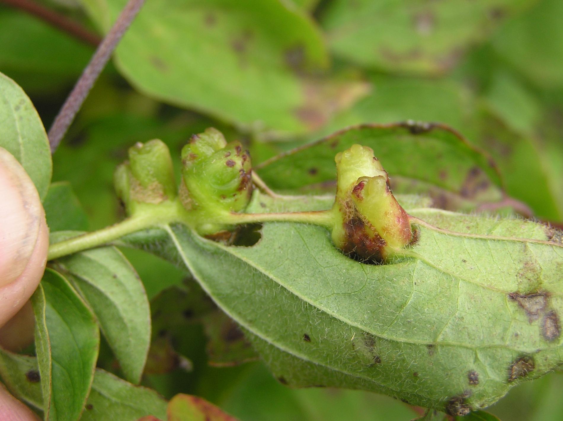
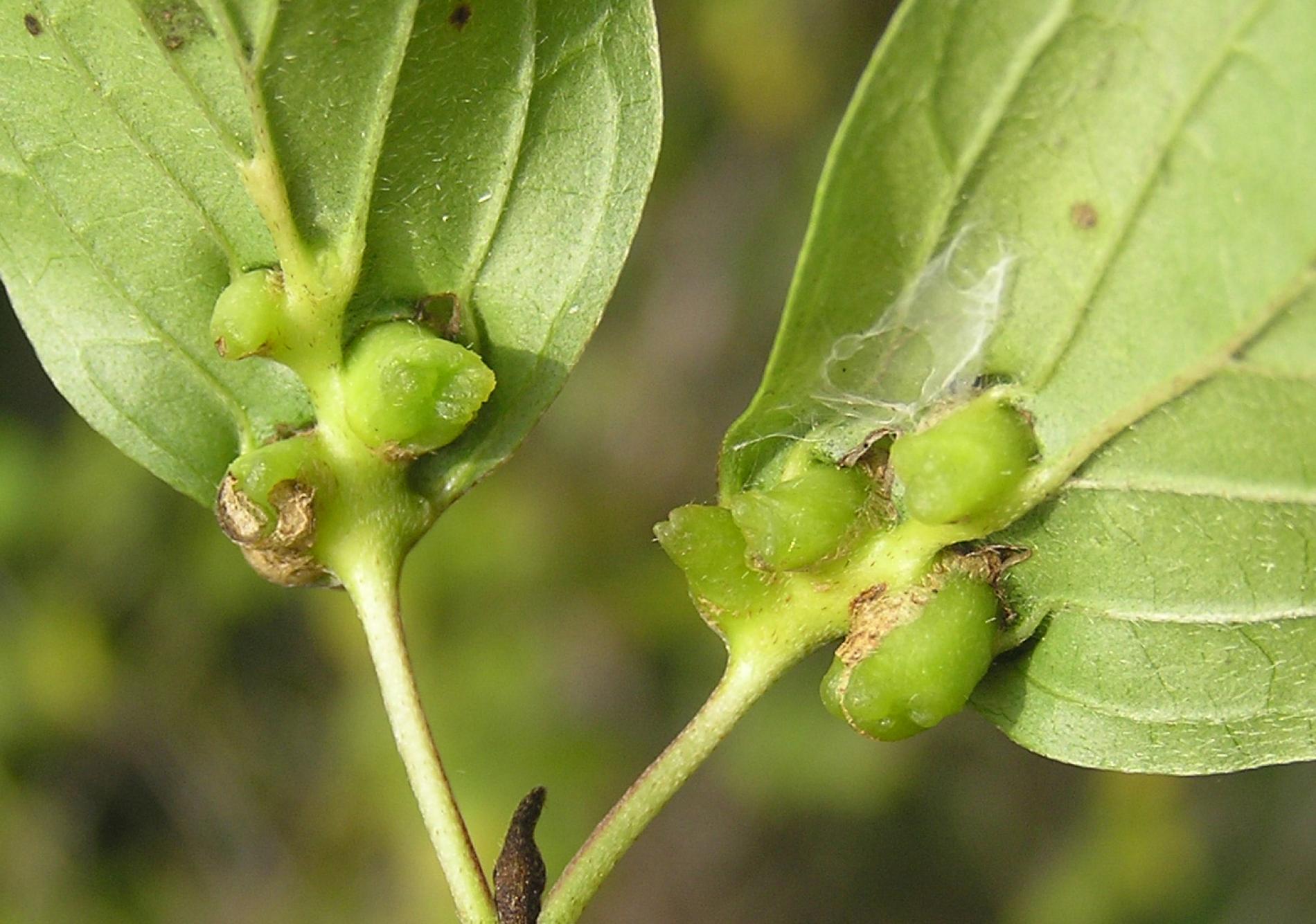
Na listoch svíbov najmä druhu Cornus mas L. a Cornus sanquinea L. sa vyskytujú masívne hálky. Z vrchnej strany vyzerajú ako relatívne pravidelné, hladké, kónické výrastky vysoké asi 5 – 6 mm a na spodnej strane listu ako nepravidelné „korene“ toho istého útvaru, veľké 8 – 15 mm. Farba hálok je zelená až červenohnedá. Nie je zriedkavý hromadný výskyt druhu, keď môžu byť napadnuté skoro všetky listy stromu.
Symptóm
Na listoch sa vyskytujú masívne hálky. Z vrchnej strany vyzerajú ako relatívne pravidelné, hladké, kónické výrastky vysoké asi 5 – 6 mm a na spodnej strane listu ako nepravidelné „korene“ toho istého útvaru, veľké 8 – 15 mm. Farba hálok je zelená až červenohnedá.
Ohrozené dreviny: Drieň
Miesto poškodenia: List/ihlica
Významnosť: Málo významný
Kategória škodcov: Hmyz
Zistený na Slovensku: Áno
Invázny druh: Nie
Zistený v EÚ: Áno
Pridaj komentár: Byľomor Craneiobia corni
Mapa výskytu: Byľomor Craneiobia corni
Legenda:

Body verifikované expertom

Neverifikované body




