Byľomor agátový
Obolodiplosis robiniae
Popis druhu
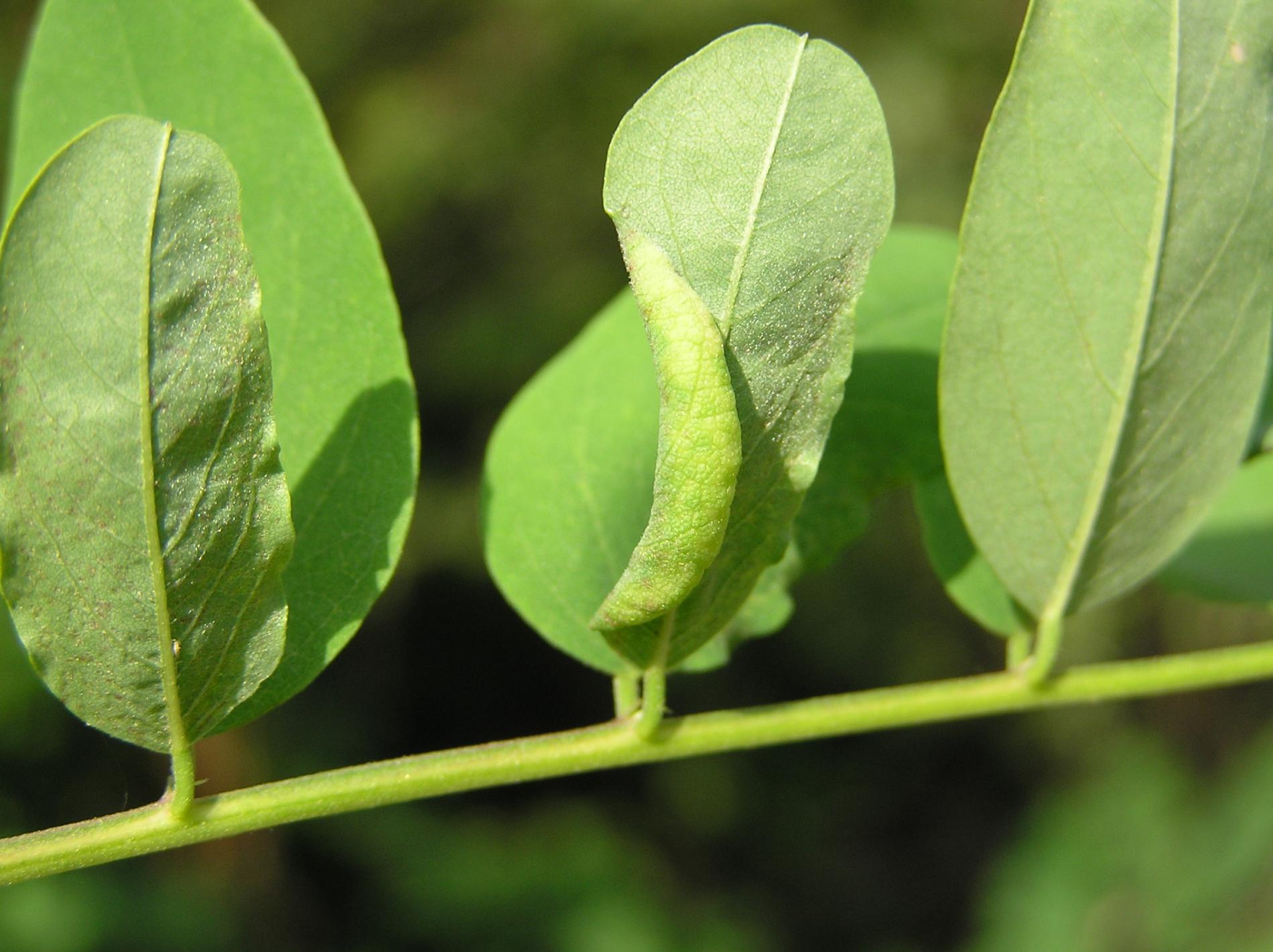
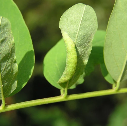
Obolodiplosis robiniae vytvára na listoch agáta malé váčky tvorené bočným zahnutím a zrolovaním listu. Nevyskytuje sa na iných drevinách okrem agátu. Tento druh pochádza zo Severnej Ameriky. Je známy z Maďarsku už od roku 2005. Na Slovensku sú o jeho výskyte správy z roku 2006 resp. 2007. LOS informovala verejnosť o výskyte Obolodiplosis robiniae v okolí Čifár v roku 2007. Kým v rokoch 2007-2009 bol pozorovaný skôr ojedinelý výskyt, v roku 2010 bol hojne zistený najmä v okresoch Nitra, Žarnovica, Levice, Dunajská Streda a ďalších. Na agátoch bolo v niektorých prípadoch napadnutých 80-90 % listov.
Symptóm
Na listoch agáta malé váčky tvorené bočným zahnutím a zrolovaním listu.
Ohrozené dreviny: Agát
Miesto poškodenia: List/ihlica
Významnosť: Málo významný
Kategória škodcov: Hmyz
Zistený na Slovensku: Áno
Invázny druh: Áno
Zistený v EÚ: Áno
Pridaj komentár: Byľomor agátový
Mapa výskytu: Byľomor agátový
náhľad mapy pre tlačLegenda:

Body verifikované expertom

Neverifikované body
Najviac pozorovaní druhu
Posledné pozorovania
V systéme je celkom 2 pozorovaní druhu Obolodiplosis robiniae




