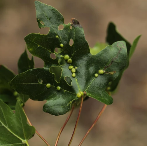
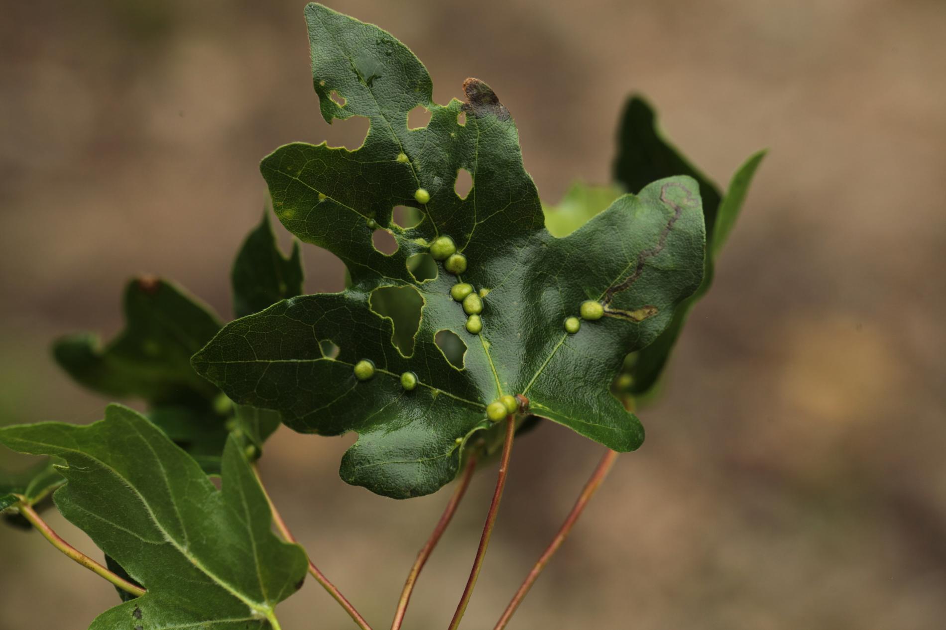
Roztoč Aceria macrochela

Drobné nádorovité útvary na vrchnej strane listov umiestnené vždy na žilkách. Foto: ZúbrikDrobné nádorovité útvary na vrchnej strane listov umiestnené vždy na žilkách. Foto: ZúbrikFoto: M. ZúbrikFoto: M. ZúbrikFoto: M. ZúbrikFoto: M. ZúbrikFoto: M. ZúbrikTomáš PecuchTomáš PecuchmajomajomajomajomajoMilan Zúbrik Ján KollárMilan ZúbrikMilan ZúbrikMilan ZúbrikMilan ZúbrikMilan ZúbrikMilan ZúbrikMilan ZúbrikMilan ZúbrikMilan ZúbrikMilan ZúbrikMilan ZúbrikMilan ZúbrikMilan ZúbrikMilan ZúbrikMilan ZúbrikMilan ZúbrikMilan ZúbrikMilan ZúbrikMilan ZúbrikMilan ZúbrikMilan ZúbrikMilan Zúbrik