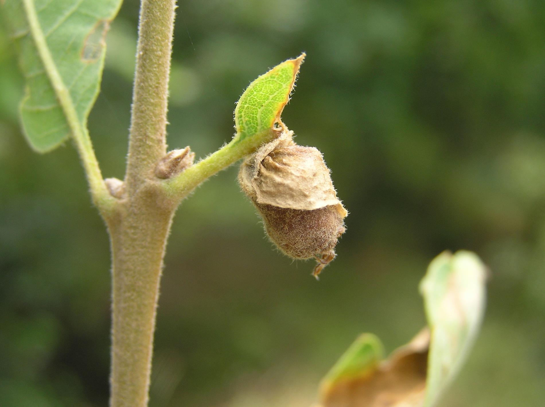
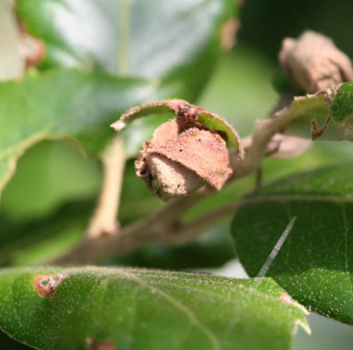
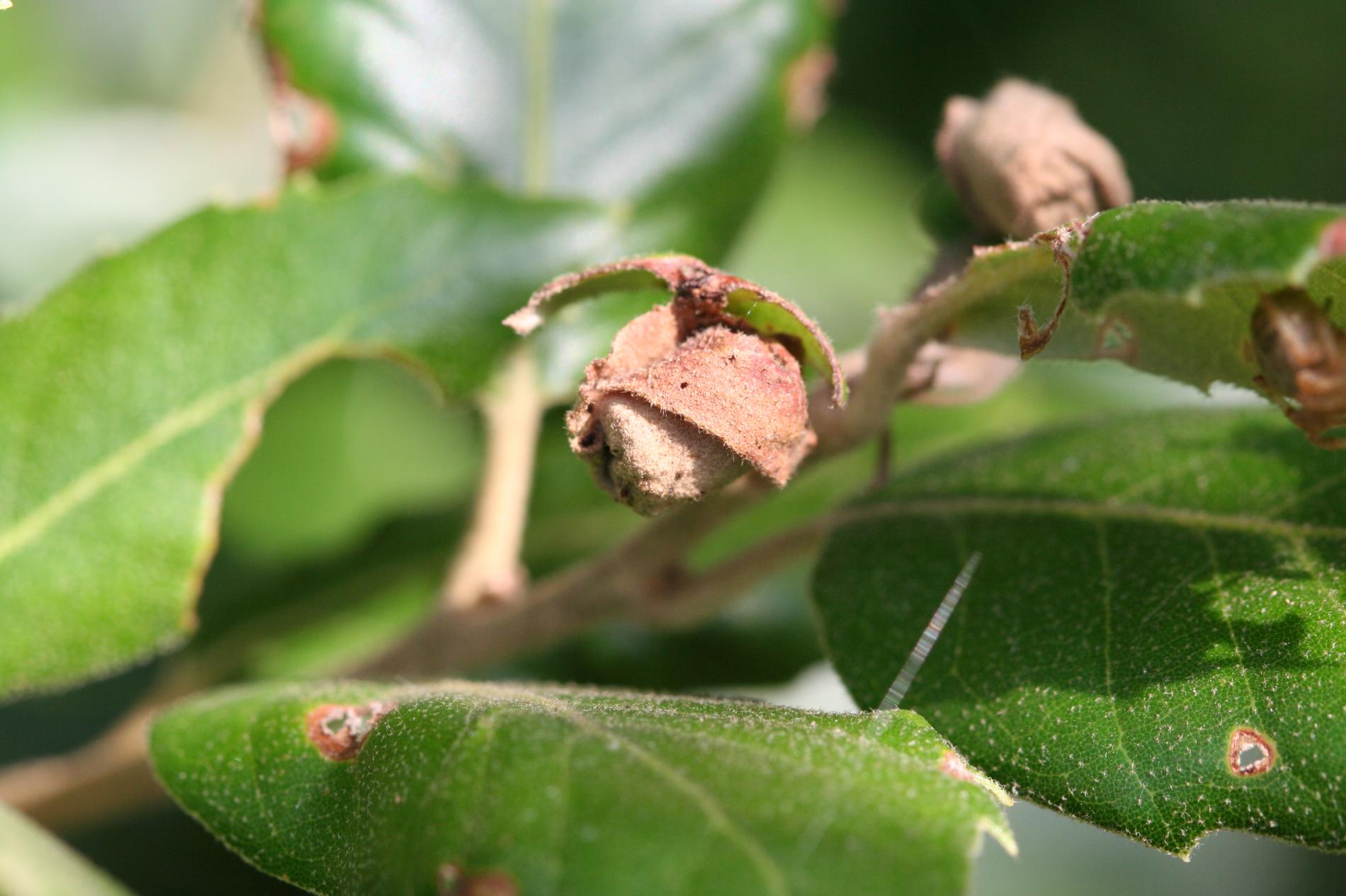
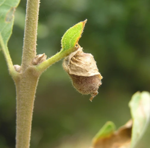
Nosánik dubový

Foto : M.ZúbrikKoncová časť listu zvinutá do asi 1 cm veľkého súdka. Foto : M.ZúbrikKoncová časť listu zvinutá do asi 1 cm veľkého súdka. Foto : M.ZúbrikFoto : M.ZúbrikKoncová časť listu zvinutá do asi 1 cm veľkého súdka. Foto : M.ZúbrikKoncová časť listu zvinutá do asi 1 cm veľkého súdka. Foto : M.ZúbrikKoncová časť listu zvinutá do asi 1 cm veľkého súdka. Foto : M.ZúbrikKoncová časť listu zvinutá do asi 1 cm veľkého súdka. Foto : M.ZúbrikFoto : M.ZúbrikKoncová časť listu zvinutá do asi 1 cm veľkého súdka. Foto : M.ZúbrikKoncová časť listu zvinutá do asi 1 cm veľkého súdka. Foto : M.ZúbrikKoncová časť listu zvinutá do asi 1 cm veľkého súdka. Foto : M.Zúbrikmilan Ján Kollár Ján Kollár Ján KollárMarián SlamkaMilan ZúbrikMilan ZúbrikMilan ZúbrikMilan ZúbrikMilan ZúbrikMilan ZúbrikMilan ZúbrikMilan ZúbrikMilan ZúbrikMilan ZúbrikMilan ZúbrikMilan ZúbrikMilan ZúbrikMilan ZúbrikMilan ZúbrikMilan ZúbrikMilan ZúbrikMilan ZúbrikMilan ZúbrikMilan ZúbrikMilan ZúbrikMilan ZúbrikMilan ZúbrikMilan ZúbrikMilan ZúbrikMilan ZúbrikMilan ZúbrikMilan ZúbrikMilan ZúbrikMilan ZúbrikMilan ZúbrikMilan ZúbrikMilan ZúbrikMilan ZúbrikMilan ZúbrikMilan ZúbrikMilan ZúbrikMilan ZúbrikMilan ZúbrikMilan ZúbrikMilan ZúbrikMilan ZúbrikMilan ZúbrikMilan ZúbrikMilan ZúbrikMilan ZúbrikMilan Zúbrik