Hrčiarka listová

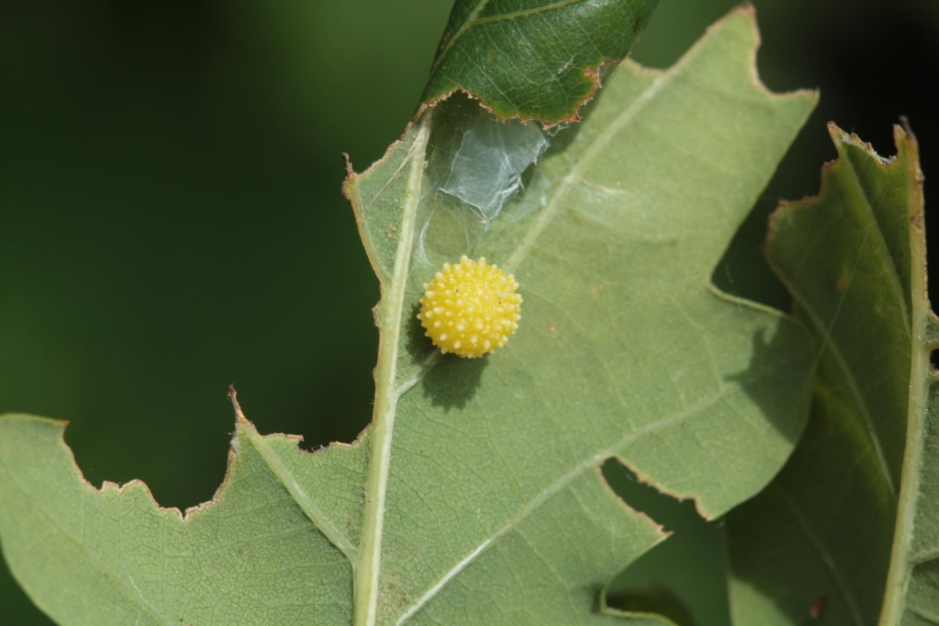
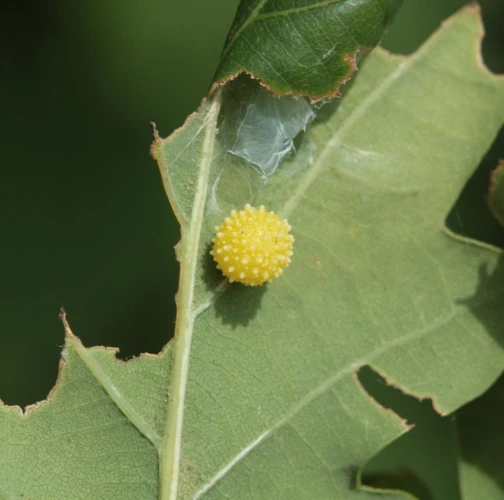
Hálka (guľka) s priemerom asi 15 – 25 mm na spodnej strane listu. Foto : M.ZúbrikHálka (guľka) s priemerom asi 15 – 25 mm na spodnej strane listu. Foto : M.ZúbrikHálka (guľka) s priemerom asi 15 – 25 mm na spodnej strane listu. Foto : M.ZúbrikFoto: M. ZúbrikFoto: M. ZúbrikFoto: M. ZúbrikSonicaTomáš JuskomilanmilanzahradkarmilanMarek MáčikAleksandra StaszakzahradkarMarián SlamkaMarián SlamkaDaNomilanmilanOzMarián SlamkaMarián SlamkamilanmilanmilanMarián SlamkaMarián SlamkaMarián Slamkamilan Ján Kollár Ján KollárMilan ZúbrikMilan ZúbrikMilan ZúbrikMilan ZúbrikMilan ZúbrikMilan ZúbrikMilan ZúbrikMilan ZúbrikMilan ZúbrikMilan ZúbrikMilan ZúbrikMilan ZúbrikMilan ZúbrikMilan ZúbrikMilan ZúbrikMilan ZúbrikMilan ZúbrikMilan ZúbrikMilan ZúbrikMilan ZúbrikMilan ZúbrikMilan ZúbrikMilan ZúbrikMilan ZúbrikMilan ZúbrikMilan ZúbrikMilan Zúbrik