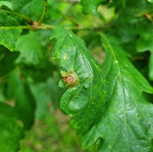
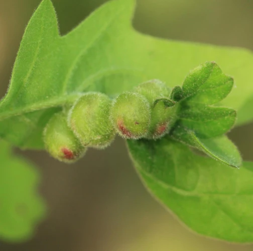
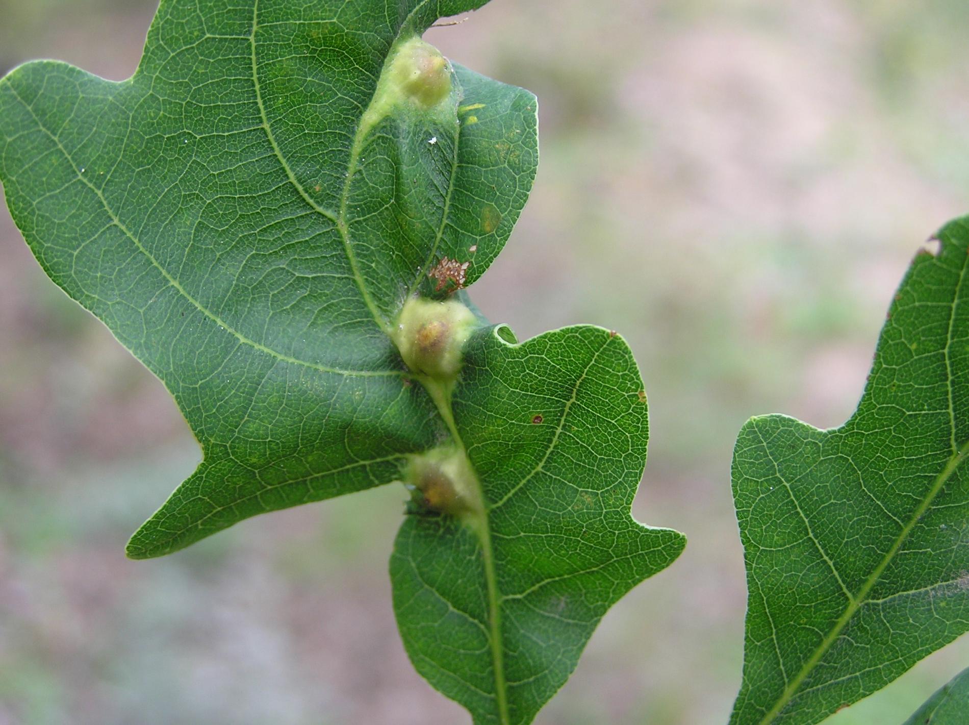
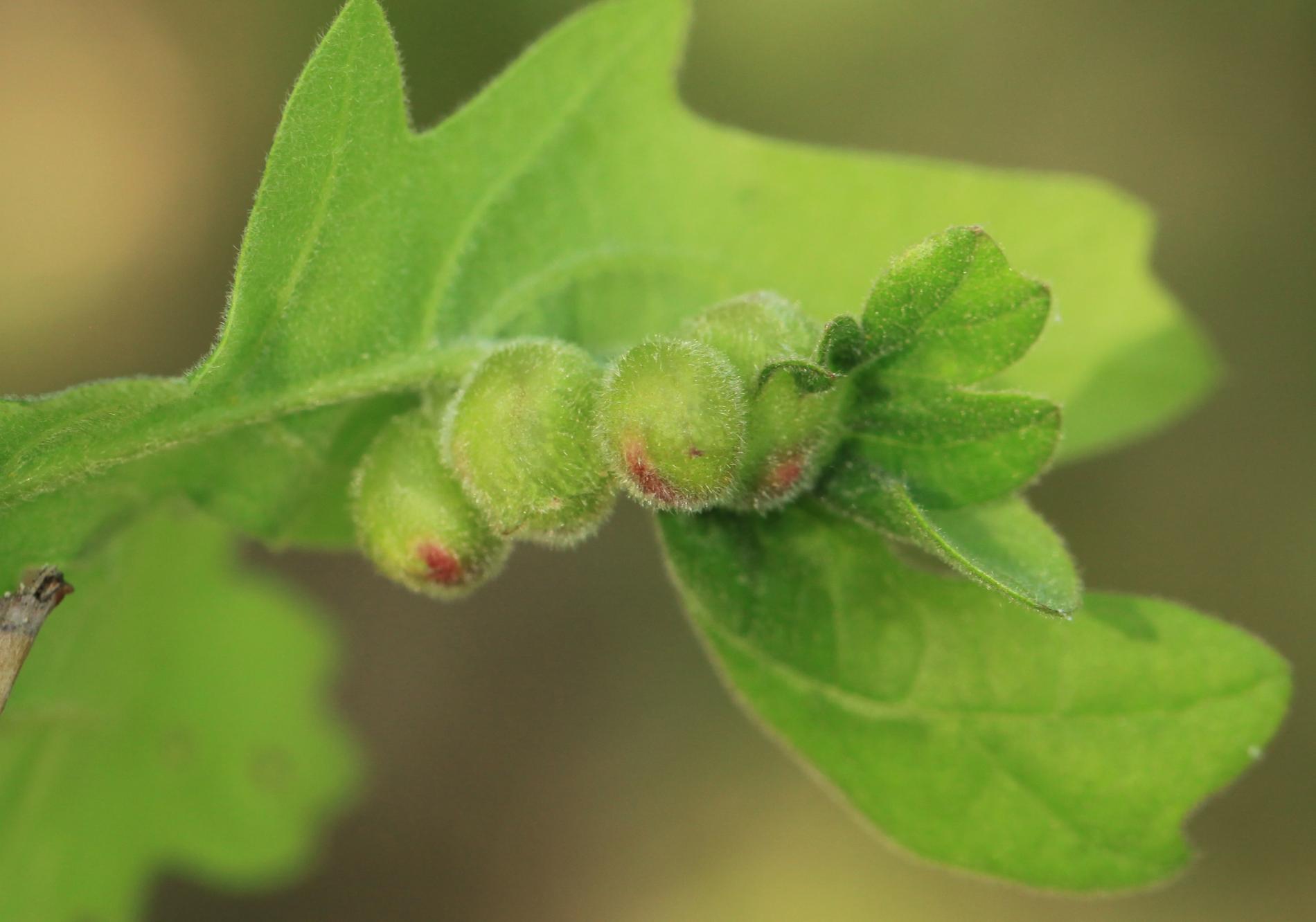
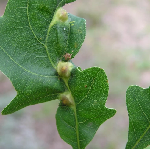
Hrčiarka Andricus curvator

Na listoch sa tvoria zelené, asi 5 mm veľké, hrčkám podobné hálky. Foto : M.ZúbrikNa listoch sa tvoria zelené, asi 5 mm veľké, hrčkám podobné hálky. Foto : M.ZúbrikNa listoch sa tvoria zelené, asi 5 mm veľké, hrčkám podobné hálky. Foto : M.ZúbrikMilan ZúbrikMilan ZúbrikMilan ZúbrikMilan ZúbrikMilan ZúbrikMilan ZúbrikMilan ZúbrikMilan ZúbrikMilan ZúbrikMilan ZúbrikMilan ZúbrikMilan ZúbrikMilan ZúbrikMilan ZúbrikMilan ZúbrikMilan ZúbrikMilan ZúbrikMilan ZúbrikMilan ZúbrikMilan ZúbrikMilan ZúbrikMilan ZúbrikMilan ZúbrikMilan ZúbrikMilan ZúbrikMilan ZúbrikMilan ZúbrikMilan Zúbrik