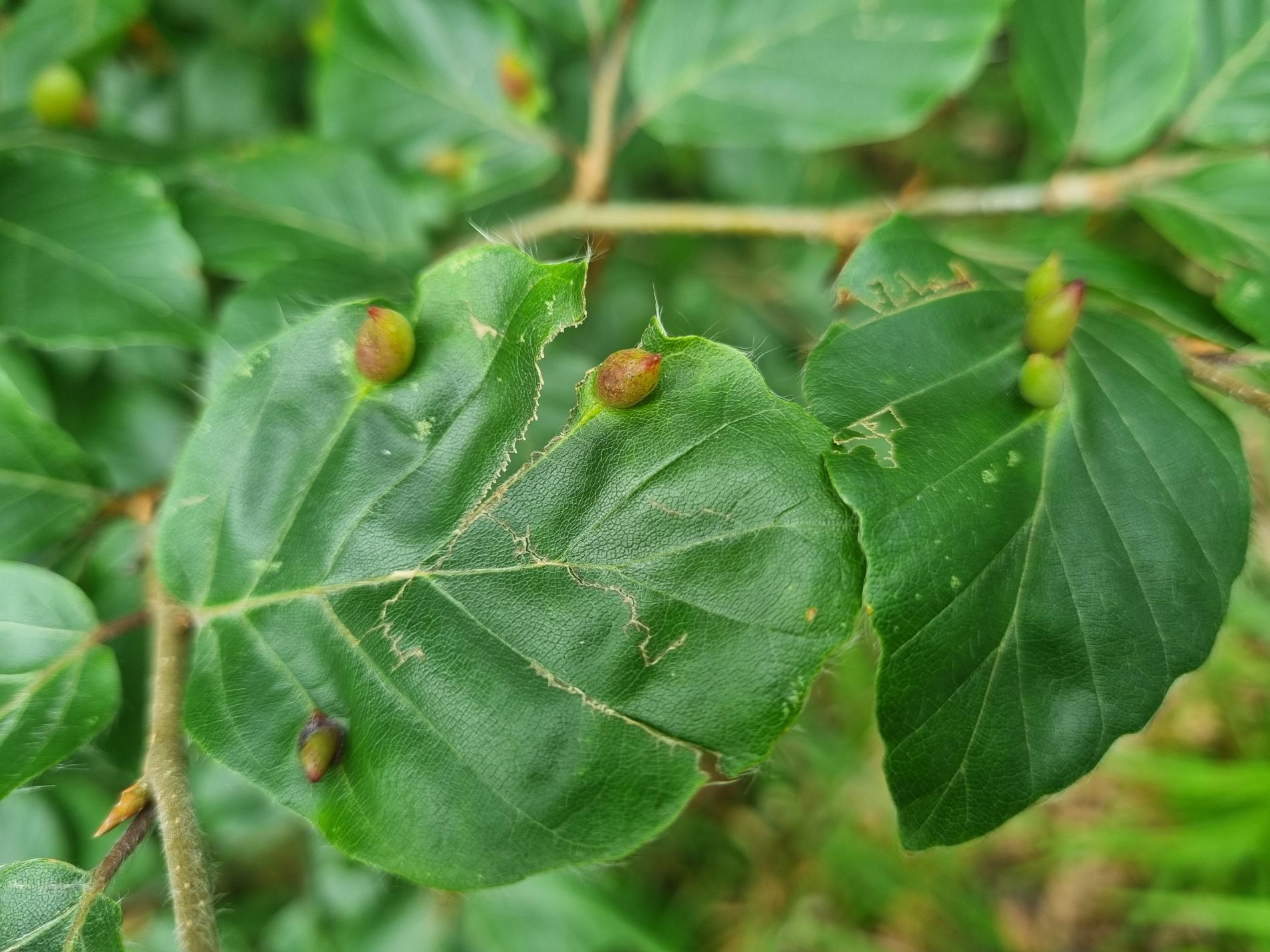
Byľomor bukový

Hálka na liste. Foto: M. Zúbrik Hálka na liste. Foto: M. Zúbrik Foto : M.ZúbrikFoto : M.ZúbrikFoto : M.ZúbrikFoto : M.ZúbrikFoto : M.ZúbrikmajoMichalSamuel SopkoMichaela BaukovázahradkarmilanMatejmajoMarketamajoak73Šimon JanovičŠimon JanovičŠimon JanovičKristína Pavol PoláčikPavol PoláčikPavol PoláčikPavol Poláčik Tim Tipple  Tim Tipple  Tim Tipple Tamara Pavurová Tamara Pavurová  Ján Kollár Ján KollárMilan ZúbrikMilan ZúbrikMilan ZúbrikMilan ZúbrikMilan ZúbrikMilan ZúbrikMilan ZúbrikMilan ZúbrikMilan ZúbrikMilan ZúbrikMilan ZúbrikMilan ZúbrikMilan ZúbrikMilan ZúbrikMilan ZúbrikMilan ZúbrikMilan ZúbrikMilan ZúbrikMilan ZúbrikMilan ZúbrikMilan ZúbrikMilan ZúbrikMilan ZúbrikMilan ZúbrikMilan ZúbrikMilan ZúbrikMilan ZúbrikMilan ZúbrikMilan ZúbrikMilan ZúbrikMilan ZúbrikMilan ZúbrikMilan ZúbrikMilan ZúbrikMilan ZúbrikMilan ZúbrikMilan ZúbrikMilan ZúbrikMilan ZúbrikMilan ZúbrikMilan ZúbrikMilan ZúbrikMilan ZúbrikMilan ZúbrikMilan ZúbrikMilan ZúbrikMilan ZúbrikMilan ZúbrikMilan Zúbrik Marek Barta Marek Barta Marek Barta Marek Barta Marek Barta